
Het adres Tuindorpweg 1-k-55 bevindt zich in de plaats Maarsbergen, in de gemeente Maarsbergen en de provincie Utrecht. De oppervlakte van het object bedraagt 39 m². Dat is klein vergeleken met het Nederlandse gemiddelde. Het perceel waarop het adres ligt is 6860 m² groot. Het object is klein ten opzichte van de andere adressen in de straat. Het grootste verblijfsobject is 711 m² groot en het kleinste is 24 m². In het jaar 2023 is het pand waarin Tuindorpweg 1-k-55 ligt gebouwd. Dat is relatief recent: de meeste gebouwen in Nederland zijn gebouwd in de periode 1965-1984. In de straat is dit het nieuwste pand en stamt het oudste object uit het jaar 1925. Het gemiddelde bouwjaar in de straat is 2013. Voor het verblijfsobject gelden deze gebruiksdoelen: 'woonfunctie'.
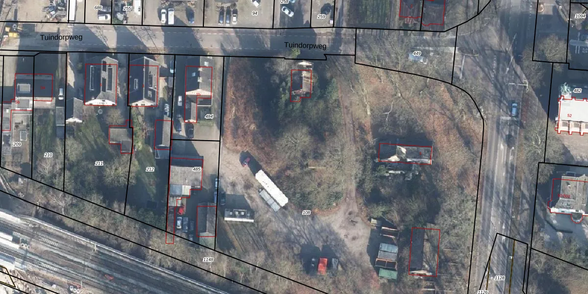
Het perceel waarop het adres ligt is MAA00-D-108. De afkorting 'MAA00' staat voor kadastrale gemeente Maarn. Het perceel is met 6860 m² relatief groot. Het gemiddelde ligt in de kadastrale gemeente Maarn op 5263,27 m². De grootste perceeloppervlakte in de kadastrale gemeente is 67,9 ha. De kleinste oppervlakte bedraagt 0 m². Op het perceel zijn 103 adressen aanwezig. In de Basisregistratie Kadaster (BRK) werden de grenzen van het perceel geregistreerd op 02-05-2023.
Er is geen energielabel geregistreerd voor het adres. Het hoogste energielabel in de straat is A+++++; het laagste is G. Het gemiddelde energielabel is er A. Het adres Tuindorpweg 1-k-55 heeft als status: 'verblijfsobject gevormd'. Het pand waarin dit adres ligt heeft als status: 'bouwvergunning verleend'.
Tuindorpweg 1-k-55 is een adres gelegen in de gemeente Utrechtse Heuvelrug, provincie Utrecht. Dit adres is geregistreerd in de Basisregistratie Adressen en Gebouwen (BAG) met als unieke identificatie 1581010000051236.
Het pand op Tuindorpweg 1-k-55 is gebouwd in 2023, wat betekent dat het 3 jaar oud is. Dit is een vrij nieuw pand. Het pand is dus waarschijnlijk goed geïsoleerd, geluidsdicht en voldoet aan de huidige bouwstandaarden. Op korte termijn zijn er waarschijnlijk weinig onderhoudskosten.
De woning op Tuindorpweg 1-k-55 heeft een gebruiksoppervlakte van 39 m². Dit is relatief klein vergeleken met de gemiddelde Nederlandse woning, die een oppervlakte heeft van ongeveer 119 m². De gebruiksoppervlakte is de maat die wordt gebruikt in de BAG-registratie, de landelijke registratie van de Nederlandse overheid.
Tuindorpweg 1-k-55 heeft als functie: wonen. Deze gebruiksfunctie(s) zijn vastgelegd in de BAG-registratie en geven aan waarvoor het adres officieel mag worden gebruikt.
Tuindorpweg 1-k-55 is gelegen op kadastraal perceel MAA00D108. Deze kadastrale aanduiding is uniek en wordt gebruikt door het Kadaster om eigendomsrechten en andere zakelijke rechten vast te leggen. Het perceel maakt onderdeel uit van de kadastrale gemeente Maarn.
Het perceel waarop Tuindorpweg 1-k-55 staat heeft een oppervlakte van 6860 m². Dit is een zeer groot perceel. De perceeloppervlakte wordt geregistreerd door het Kadaster. Gedetailleerde informatie over de maten van dit perceel kunt u vinden in het rapport Kadastrale kaart met maatvoering van Tuindorpweg 1-k-55.
De eigenaar van Tuindorpweg 1-k-55 is op te vragen op deze pagina.
De informatie over dit adres is afkomstig uit officiële overheidsregistraties, voornamelijk de Basisregistratie Adressen en Gebouwen (BAG) en de Basisregistratie Kadaster (BRK). Deze gegevens worden beheerd door respectievelijk gemeenten en het Kadaster, en worden regelmatig bijgewerkt. Energielabelgegevens komen uit de database van de Rijksdienst voor Ondernemend Nederland (RVO).
