
Gageldijk 77-C12 is gelegen in de plaats Maarssen, de gemeente Stichtse Vecht en de provincie Utrecht. De oppervlakte van het object bedraagt 38 m². Dat is klein vergeleken met het Nederlandse gemiddelde. Het perceel waarop het adres ligt is 9430 m² groot. Het object is klein ten opzichte van de andere adressen in de straat. Het grootste verblijfsobject is 3757 m² groot en het kleinste is 5 m². De meeste Nederlandse gebouwen zijn gebouwd in de periode 1965-1984. Zo ook het pand waarin Gageldijk 77-C12 ligt, dat gebouwd is in 1965. In de straat komt het nieuwste gebouw uit het jaar 2026 en het oudste uit 1800. Het bouwjaar van dit object is relatief oud. Voor het verblijfsobject gelden deze gebruiksdoelen: 'logiesfunctie'.
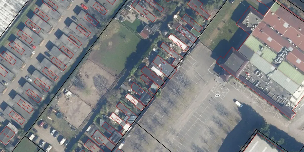
Het perceel waarop het adres ligt is MSN02-H-52. De afkorting 'MSN02' staat voor kadastrale gemeente Maarssen. Het perceel is met 9430 m² relatief groot. Het gemiddelde ligt in de kadastrale gemeente Maarssen op 1843,26 m². De grootste perceeloppervlakte in de kadastrale gemeente is 57,1 ha. De kleinste oppervlakte bedraagt 0 m². Op het perceel zijn 25 adressen aanwezig. De laatste wijziging in het de Basisregistratie Kadaster (BRK) was op 03-09-2025.
Er is geen energielabel geregistreerd voor het adres. Het hoogste energielabel in de straat is A+; het laagste is G. Het gemiddelde energielabel is er D. Het adres Gageldijk 77-C12 heeft als status: 'verblijfsobject in gebruik'. Het pand waarin dit adres ligt heeft als status: 'pand in gebruik'.
Gageldijk 77-C12 is een adres gelegen in de gemeente Stichtse Vecht, provincie Utrecht. Dit adres is geregistreerd in de Basisregistratie Adressen en Gebouwen (BAG) met als unieke identificatie 0333010000007496.
Het pand op Gageldijk 77-C12 is gebouwd in 1965, wat betekent dat het 61 jaar oud is. Dit is een ouder pand. Het pand heeft mogelijk aanzienlijke renovaties nodig om aan de huidige standaarden te voldoen.
De woning op Gageldijk 77-C12 heeft een gebruiksoppervlakte van 38 m². Dit is relatief klein vergeleken met de gemiddelde Nederlandse woning, die een oppervlakte heeft van ongeveer 119 m². De gebruiksoppervlakte is de maat die wordt gebruikt in de BAG-registratie, de landelijke registratie van de Nederlandse overheid.
Gageldijk 77-C12 heeft als functie: logies/verblijf. Deze gebruiksfunctie(s) zijn vastgelegd in de BAG-registratie en geven aan waarvoor het adres officieel mag worden gebruikt.
Gageldijk 77-C12 is gelegen op kadastraal perceel MSN02H52. Deze kadastrale aanduiding is uniek en wordt gebruikt door het Kadaster om eigendomsrechten en andere zakelijke rechten vast te leggen. Het perceel maakt onderdeel uit van de kadastrale gemeente Maarssen.
Het perceel waarop Gageldijk 77-C12 staat heeft een oppervlakte van 9430 m². Dit is een zeer groot perceel. De perceeloppervlakte wordt geregistreerd door het Kadaster. Gedetailleerde informatie over de maten van dit perceel kunt u vinden in het rapport Kadastrale kaart met maatvoering van Gageldijk 77-C12.
De eigenaar van Gageldijk 77-C12 is op te vragen op deze pagina.
De informatie over dit adres is afkomstig uit officiële overheidsregistraties, voornamelijk de Basisregistratie Adressen en Gebouwen (BAG) en de Basisregistratie Kadaster (BRK). Deze gegevens worden beheerd door respectievelijk gemeenten en het Kadaster, en worden regelmatig bijgewerkt. Energielabelgegevens komen uit de database van de Rijksdienst voor Ondernemend Nederland (RVO).
