
Straatweg 172 is een adres in Maarssen, dat zich bevindt binnen de gemeentegrenzen van Maarssen en de grenzen van de provincie Utrecht. De oppervlakte van het verblijfsobject is met 229 m² aan de grote kant. Het perceel heeft een oppervlakte van 5255 m². Het object is klein ten opzichte van de andere adressen in de straat. Het grootste verblijfsobject is 1,0 ha groot en het kleinste is 3 m². De meeste Nederlandse gebouwen zijn gebouwd in de periode 1965-1984. Zo ook het pand waarin Straatweg 172 ligt, dat gebouwd is in 1976. Dit object is relatief nieuw in de straat. Het nieuwste gebouw komt er uit het jaar 2022 en het oudste uit het jaar 1650. Het verblijfsobject heeft de volgende gebruiksdoelen: 'woonfunctie'.
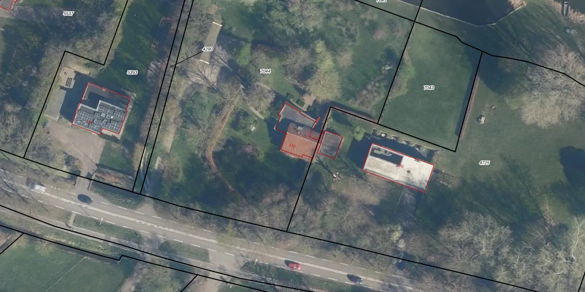
Het perceel waarop het adres ligt is MSN02-A-7044. De afkorting 'MSN02' staat voor kadastrale gemeente Maarssen. De gemiddelde perceeloppervlakte in de kadastrale gemeente Maarssen is 1843,26 m². Dit perceel is met zijn 5255 m² dus groter dan gemiddeld. De grootste perceeloppervlakte in de kadastrale gemeente is 57,1 ha. De kleinste oppervlakte bedraagt 0 m². Op het perceel bevinden zich geen andere adressen. De huidige grenzen van het perceel zijn digitaal in de Basisregistratie Kadaster (BRK) geregistreerd op 13-12-2023.
Er is geen energielabel geregistreerd voor het adres. Het hoogste energielabel in de straat is A++++; het laagste is G. Het gemiddelde energielabel is er C. Het adres Straatweg 172 heeft als status: 'verblijfsobject in gebruik'. Het pand waarin dit adres ligt heeft als status: 'pand in gebruik'.
Straatweg 172 is een adres gelegen in de gemeente Stichtse Vecht, provincie Utrecht. Dit adres is geregistreerd in de Basisregistratie Adressen en Gebouwen (BAG) met als unieke identificatie 0333010000010949.
Het pand op Straatweg 172 is gebouwd in 1976, wat betekent dat het 50 jaar oud is. Dit is een ouder pand. Het pand heeft mogelijk aanzienlijke renovaties nodig om aan de huidige standaarden te voldoen.
De woning op Straatweg 172 heeft een gebruiksoppervlakte van 229 m². Dit is ruim vergeleken met de gemiddelde Nederlandse woning, die een oppervlakte heeft van ongeveer 119 m². De gebruiksoppervlakte is de maat die wordt gebruikt in de BAG-registratie, de landelijke registratie van de Nederlandse overheid.
Straatweg 172 heeft als functie: wonen. Deze gebruiksfunctie(s) zijn vastgelegd in de BAG-registratie en geven aan waarvoor het adres officieel mag worden gebruikt.
Straatweg 172 is gelegen op kadastraal perceel MSN02A7044. Deze kadastrale aanduiding is uniek en wordt gebruikt door het Kadaster om eigendomsrechten en andere zakelijke rechten vast te leggen. Het perceel maakt onderdeel uit van de kadastrale gemeente Maarssen.
Het perceel waarop Straatweg 172 staat heeft een oppervlakte van 5255 m². Dit is een zeer groot perceel. De perceeloppervlakte wordt geregistreerd door het Kadaster. Gedetailleerde informatie over de maten van dit perceel kunt u vinden in het rapport Kadastrale kaart met maatvoering van Straatweg 172.
De eigenaar van Straatweg 172 is op te vragen op deze pagina.
De informatie over dit adres is afkomstig uit officiële overheidsregistraties, voornamelijk de Basisregistratie Adressen en Gebouwen (BAG) en de Basisregistratie Kadaster (BRK). Deze gegevens worden beheerd door respectievelijk gemeenten en het Kadaster, en worden regelmatig bijgewerkt. Energielabelgegevens komen uit de database van de Rijksdienst voor Ondernemend Nederland (RVO).
