
Fatimaplein 1 is een adres in Maastricht, dat zich bevindt binnen de gemeentegrenzen van Maastricht en de grenzen van de provincie Limburg. Het verblijfsobject is vergeleken met het Nederlandse gemiddelde aan de kleine kant: de oppervlakte is 56 m². Het perceel waarop het adres zich bevindt heeft een oppervlakte van 825 m². Het object is klein ten opzichte van de andere adressen in de straat. Het grootste verblijfsobject is 86 m² groot en het kleinste is 20 m². Het gebouw waarin Fatimaplein 1 ligt komt uit het jaar 1949. Objecten die gebouwd zijn vóór 1965 classificeren we hier als oud. Het nieuwste gebouw in de straat komt uit 1956 en het oudste uit 1948. Dit object is relatief oud. Het verblijfsobject heeft de volgende gebruiksdoelen: 'woonfunctie'.
Deze woning is voor het laatst verkocht op 1 november 2025. Meer informatie over deze transactie? Bestel het Woningtransactierapport om de verkoopprijs en andere informatie te zien.
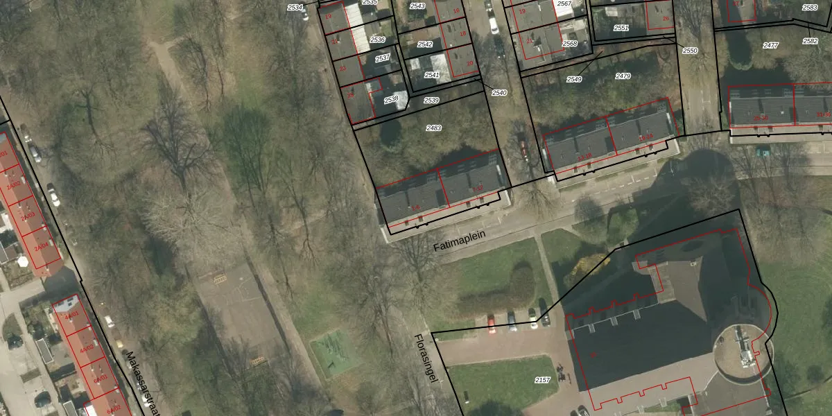
Het perceel waarop het adres ligt is MTT00-C-2483. De afkorting 'MTT00' staat voor kadastrale gemeente Maastricht. Het perceel is kleiner dan gemiddeld in Maastricht. Het perceel is 825 m² groot, terwijl het gemiddelde ligt op 1137,21 m². Het kleinste perceel in de kadastrale gemeente is 0 m² groot. De grootste perceeloppervlakte is 53,8 ha. Op het perceel liggen in totaal 12 adressen. De huidige grenzen van het perceel zijn digitaal in de Basisregistratie Kadaster (BRK) geregistreerd op 27-11-2008.
Het adres ligt in een gebouw van het type 'appartement met het subtype hoekvloer'. Bij de laatste meting is voor het adres het energielabel G geregistreerd. Het hoogste energielabel in de straat is C; het laagste is G. Het gemiddelde energielabel is er D. Het adres Fatimaplein 1 heeft als status: 'verblijfsobject in gebruik'. Het pand waarin dit adres ligt heeft als status: 'pand in gebruik'.
Fatimaplein 1 is een adres gelegen in de gemeente Maastricht, provincie Limburg. Dit adres is geregistreerd in de Basisregistratie Adressen en Gebouwen (BAG) met als unieke identificatie 0935010000016123.
Het pand op Fatimaplein 1 is gebouwd in 1949, wat betekent dat het 77 jaar oud is. Dit is een ouder pand. Het pand heeft mogelijk aanzienlijke renovaties nodig om aan de huidige standaarden te voldoen.
De woning op Fatimaplein 1 heeft een gebruiksoppervlakte van 56 m². Dit is relatief klein vergeleken met de gemiddelde Nederlandse woning, die een oppervlakte heeft van ongeveer 119 m². De gebruiksoppervlakte is de maat die wordt gebruikt in de BAG-registratie, de landelijke registratie van de Nederlandse overheid.
Fatimaplein 1 heeft als functie: wonen. Deze gebruiksfunctie(s) zijn vastgelegd in de BAG-registratie en geven aan waarvoor het adres officieel mag worden gebruikt.
Fatimaplein 1 is gelegen op kadastraal perceel MTT00C2483. Deze kadastrale aanduiding is uniek en wordt gebruikt door het Kadaster om eigendomsrechten en andere zakelijke rechten vast te leggen. Het perceel maakt onderdeel uit van de kadastrale gemeente Maastricht.
Het perceel waarop Fatimaplein 1 staat heeft een oppervlakte van 825 m². Dit is een groot perceel. De perceeloppervlakte wordt geregistreerd door het Kadaster. Gedetailleerde informatie over de maten van dit perceel kunt u vinden in het rapport Kadastrale kaart met maatvoering van Fatimaplein 1.
De eigenaar van Fatimaplein 1 is op te vragen op deze pagina.
De informatie over dit adres is afkomstig uit officiële overheidsregistraties, voornamelijk de Basisregistratie Adressen en Gebouwen (BAG) en de Basisregistratie Kadaster (BRK). Deze gegevens worden beheerd door respectievelijk gemeenten en het Kadaster, en worden regelmatig bijgewerkt. Energielabelgegevens komen uit de database van de Rijksdienst voor Ondernemend Nederland (RVO).
