
Heerderweg 96-D-08 is een adres in Maastricht, dat zich bevindt binnen de gemeentegrenzen van Maastricht en de grenzen van de provincie Limburg. Het perceel waarop het adres gelegen is heeft een oppervlakte van 1190 m². Het verblijfsobject is met 26 m² relatief klein. De oppervlakte van het adres is klein vergeleken met de andere objecten in de straat. De oppervlakte van het kleinste object in de straat bedraagt 9 m², terwijl het grootste object 2266 m² groot is. Het pand waarin Heerderweg 96-D-08 ligt is gebouwd in het jaar 1996. Panden die gebouwd zijn na het jaar 1984 noemen we hier relatief nieuw. Vergeleken met de andere panden in de straat is dit gebouw nieuw. Het vroegste bouwjaar is er 1902 en het laatste is 2022. Het verblijfsobject heeft de volgende gebruiksdoelen: 'woonfunctie'.
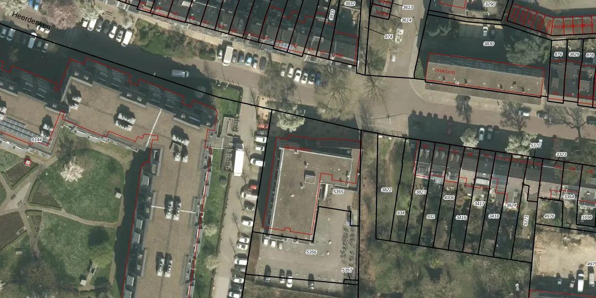
Het adres is gelegen op perceel 5355 in de sectie F en de kadastrale gemeente Maastricht. De kadastrale aanduiding is aldus MTT00-F-5355. De gemiddelde perceeloppervlakte in de kadastrale gemeente Maastricht is 1137,38 m². Dit perceel is met zijn 1190 m² dus groter dan gemiddeld. Het kleinste perceel in de kadastrale gemeente is 0 m² groot. De grootste perceeloppervlakte is 53,8 ha. Er zijn 56 adressen aanwezig op het perceel. De huidige grenzen van het perceel zijn digitaal in de Basisregistratie Kadaster (BRK) geregistreerd op 30-11-2009.
Het adres ligt in een gebouw van het type 'appartement met het subtype hoekdak'. Bij de laatste meting is voor het adres het energielabel B geregistreerd. Het hoogste energielabel in de straat is A+++; het laagste is G. Het gemiddelde energielabel is er B. Het adres Heerderweg 96-D-08 heeft als status: 'verblijfsobject in gebruik'. Het pand waarin dit adres ligt heeft als status: 'pand in gebruik'.
Heerderweg 96-D-08 is een adres gelegen in de gemeente Maastricht, provincie Limburg. Dit adres is geregistreerd in de Basisregistratie Adressen en Gebouwen (BAG) met als unieke identificatie 0935010000052883.
Het pand op Heerderweg 96-D-08 is gebouwd in 1996, wat betekent dat het 30 jaar oud is. Dit is een pand van middelbare leeftijd. Het pand is van gemiddelde leeftijd en zal waarschijnlijk verouderde elementen bevatten.
De woning op Heerderweg 96-D-08 heeft een gebruiksoppervlakte van 26 m². Dit is relatief klein vergeleken met de gemiddelde Nederlandse woning, die een oppervlakte heeft van ongeveer 119 m². De gebruiksoppervlakte is de maat die wordt gebruikt in de BAG-registratie, de landelijke registratie van de Nederlandse overheid.
Heerderweg 96-D-08 heeft als functie: wonen. Deze gebruiksfunctie(s) zijn vastgelegd in de BAG-registratie en geven aan waarvoor het adres officieel mag worden gebruikt.
Heerderweg 96-D-08 is gelegen op kadastraal perceel MTT00F5355. Deze kadastrale aanduiding is uniek en wordt gebruikt door het Kadaster om eigendomsrechten en andere zakelijke rechten vast te leggen. Het perceel maakt onderdeel uit van de kadastrale gemeente Maastricht.
Het perceel waarop Heerderweg 96-D-08 staat heeft een oppervlakte van 1190 m². Dit is een zeer groot perceel. De perceeloppervlakte wordt geregistreerd door het Kadaster. Gedetailleerde informatie over de maten van dit perceel kunt u vinden in het rapport Kadastrale kaart met maatvoering van Heerderweg 96-D-08.
De eigenaar van Heerderweg 96-D-08 is op te vragen op deze pagina.
De informatie over dit adres is afkomstig uit officiële overheidsregistraties, voornamelijk de Basisregistratie Adressen en Gebouwen (BAG) en de Basisregistratie Kadaster (BRK). Deze gegevens worden beheerd door respectievelijk gemeenten en het Kadaster, en worden regelmatig bijgewerkt. Energielabelgegevens komen uit de database van de Rijksdienst voor Ondernemend Nederland (RVO).
