
Mergelweg 62 is een adres in Maastricht, dat zich bevindt binnen de gemeentegrenzen van Maastricht en de grenzen van de provincie Limburg. De oppervlakte van het adres is 142 m². Dat is vergelijkbaar met het gemiddelde Nederlandse oppervlakte van 119 m². De oppervlakte van het perceel waarin het adres ligt is 150 m². Het object is klein ten opzichte van de andere adressen in de straat. Het grootste verblijfsobject is 1142 m² groot en het kleinste is 5 m². Het adres Mergelweg 62 ligt in een relatief oud pand uit het jaar 1958. Panden van vóór het jaar 1965 hebben we hier geclassificeerd als oud. Dit object is relatief nieuw in de straat. Het nieuwste gebouw komt er uit het jaar 2023 en het oudste uit het jaar 1850. Voor het verblijfsobject gelden deze gebruiksdoelen: 'woonfunctie'.
Deze woning is voor het laatst verkocht op 1 juni 2024. Meer informatie over deze transactie? Bestel het Woningtransactierapport om de verkoopprijs en andere informatie te zien.
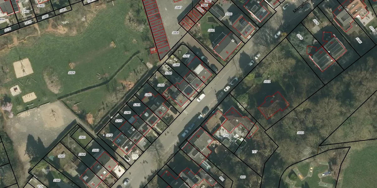
Het perceel waarop het adres ligt is PTR00-A-1284. De afkorting 'PTR00' staat voor kadastrale gemeente Sint Pieter. De gemiddelde perceelgrootte in Sint Pieter is 2115,7 m². Dit perceel is kleiner: de perceeloppervlakte bedraagt 150 m². De grootste perceeloppervlakte in de kadastrale gemeente is 47,6 ha. De kleinste oppervlakte bedraagt 0 m². Op het perceel bevinden zich geen andere adressen. De huidige grenzen van het perceel zijn digitaal in de Basisregistratie Kadaster (BRK) geregistreerd op 06-01-2006.
Het adres ligt in een gebouw van het type 'rijwoning tussen'. Bij de laatste meting is voor het adres het energielabel E geregistreerd. Het hoogste energielabel in de straat is A+; het laagste is G. Het gemiddelde energielabel is er C. Het adres Mergelweg 62 heeft als status: 'verblijfsobject in gebruik'. Het pand waarin dit adres ligt heeft als status: 'pand in gebruik'.
Mergelweg 62 is een adres gelegen in de gemeente Maastricht, provincie Limburg. Dit adres is geregistreerd in de Basisregistratie Adressen en Gebouwen (BAG) met als unieke identificatie 0935010000011183.
Het pand op Mergelweg 62 is gebouwd in 1958, wat betekent dat het 68 jaar oud is. Dit is een ouder pand. Het pand heeft mogelijk aanzienlijke renovaties nodig om aan de huidige standaarden te voldoen.
De woning op Mergelweg 62 heeft een gebruiksoppervlakte van 142 m². Dit is gemiddeld vergeleken met de gemiddelde Nederlandse woning, die een oppervlakte heeft van ongeveer 119 m². De gebruiksoppervlakte is de maat die wordt gebruikt in de BAG-registratie, de landelijke registratie van de Nederlandse overheid.
Mergelweg 62 heeft als functie: wonen. Deze gebruiksfunctie(s) zijn vastgelegd in de BAG-registratie en geven aan waarvoor het adres officieel mag worden gebruikt.
Mergelweg 62 is gelegen op kadastraal perceel PTR00A1284. Deze kadastrale aanduiding is uniek en wordt gebruikt door het Kadaster om eigendomsrechten en andere zakelijke rechten vast te leggen. Het perceel maakt onderdeel uit van de kadastrale gemeente Sint Pieter.
Het perceel waarop Mergelweg 62 staat heeft een oppervlakte van 150 m². Dit is een middelgroot perceel. De perceeloppervlakte wordt geregistreerd door het Kadaster. Gedetailleerde informatie over de maten van dit perceel kunt u vinden in het rapport Kadastrale kaart met maatvoering van Mergelweg 62.
De eigenaar van Mergelweg 62 is op te vragen op deze pagina.
De informatie over dit adres is afkomstig uit officiële overheidsregistraties, voornamelijk de Basisregistratie Adressen en Gebouwen (BAG) en de Basisregistratie Kadaster (BRK). Deze gegevens worden beheerd door respectievelijk gemeenten en het Kadaster, en worden regelmatig bijgewerkt. Energielabelgegevens komen uit de database van de Rijksdienst voor Ondernemend Nederland (RVO).
