
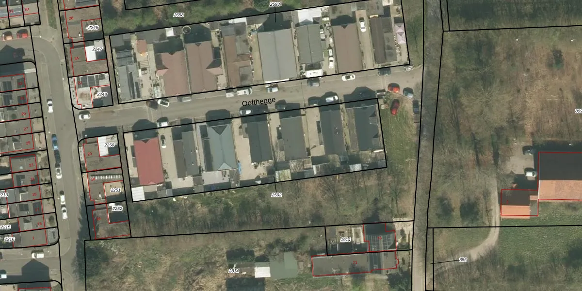
Oofthegge 10 is een adres in Maastricht, dat zich bevindt binnen de gemeentegrenzen van Maastricht en de grenzen van de provincie Limburg. De oppervlakte van het verblijfsobject is met 305 m² aan de grote kant. Het perceel heeft een oppervlakte van 2106 m². Vergeleken met de andere verblijfsobjecten in de straat is dit object groot. De oppervlakte van het grootste object in de straat is 312 m², die van het kleinste bedraagt 288 m². Het adres Oofthegge 10 ligt in een relatief oud pand uit het jaar null. Panden van vóór het jaar 1965 hebben we hier geclassificeerd als oud. Dit pand is het meest recent exemplaar in de straat. Het oudste object komt er uit null en het gemiddelde bouwjaar is null. Voor het verblijfsobject gelden deze gebruiksdoelen: 'standplaats'.
Het adres is gelegen op perceel 2592 in de sectie B en de kadastrale gemeente Amby. De kadastrale aanduiding is aldus ABY00-B-2592. Het perceel is met 2106 m² relatief groot. Het gemiddelde ligt in de kadastrale gemeente Amby op 1690,66 m². De grootste perceeloppervlakte in de kadastrale gemeente is 23,1 ha. De kleinste oppervlakte bedraagt 0 m². Op het perceel liggen in totaal 7 adressen. De huidige grenzen van het perceel zijn digitaal in de Basisregistratie Kadaster (BRK) geregistreerd op 30-08-2023.
Er is geen energielabel geregistreerd voor het adres. Het hoogste energielabel in de straat is G; het laagste is G. Het gemiddelde energielabel is er G. Het adres Oofthegge 10 heeft als status: 'plaats aangewezen'. Het pand waarin dit adres ligt heeft als status: 'undefined'.
Oofthegge 10 is een adres gelegen in de gemeente Maastricht, provincie Limburg. Dit adres is geregistreerd in de Basisregistratie Adressen en Gebouwen (BAG) met als unieke identificatie 0935030000000142.
De woning op Oofthegge 10 heeft een gebruiksoppervlakte van 305 m². Dit is ruim vergeleken met de gemiddelde Nederlandse woning, die een oppervlakte heeft van ongeveer 119 m². De gebruiksoppervlakte is de maat die wordt gebruikt in de BAG-registratie, de landelijke registratie van de Nederlandse overheid.
Oofthegge 10 heeft als functie: standplaats. Deze gebruiksfunctie(s) zijn vastgelegd in de BAG-registratie en geven aan waarvoor het adres officieel mag worden gebruikt.
Oofthegge 10 is gelegen op kadastraal perceel ABY00B2592. Deze kadastrale aanduiding is uniek en wordt gebruikt door het Kadaster om eigendomsrechten en andere zakelijke rechten vast te leggen. Het perceel maakt onderdeel uit van de kadastrale gemeente Amby.
Het perceel waarop Oofthegge 10 staat heeft een oppervlakte van 2106 m². Dit is een zeer groot perceel. De perceeloppervlakte wordt geregistreerd door het Kadaster. Gedetailleerde informatie over de maten van dit perceel kunt u vinden in het rapport Kadastrale kaart met maatvoering van Oofthegge 10.
De eigenaar van Oofthegge 10 is op te vragen op deze pagina.
De informatie over dit adres is afkomstig uit officiële overheidsregistraties, voornamelijk de Basisregistratie Adressen en Gebouwen (BAG) en de Basisregistratie Kadaster (BRK). Deze gegevens worden beheerd door respectievelijk gemeenten en het Kadaster, en worden regelmatig bijgewerkt. Energielabelgegevens komen uit de database van de Rijksdienst voor Ondernemend Nederland (RVO).
