
Lignestraat 53-N02 is gelegen in de plaats Made, de gemeente Drimmelen en de provincie Noord-Brabant. Het verblijfsobject is vergeleken met het Nederlandse gemiddelde aan de kleine kant: de oppervlakte is 18 m². Het perceel waarop het adres zich bevindt heeft een oppervlakte van 18 m². Het object is klein ten opzichte van de andere adressen in de straat. Het grootste verblijfsobject is 2333 m² groot en het kleinste is 6 m². De gemiddelde bouwperiode van gebouwen in Nederland ligt tussen de jaren 1965-1984. Dat geldt ook voor het bouwjaar van Lignestraat 53-N02: het is gebouwd in het jaar 1969. Het nieuwste gebouw in de straat komt uit 2013 en het oudste uit 1955. Dit object is relatief oud. Voor het verblijfsobject gelden deze gebruiksdoelen: 'overige gebruiksfunctie'.
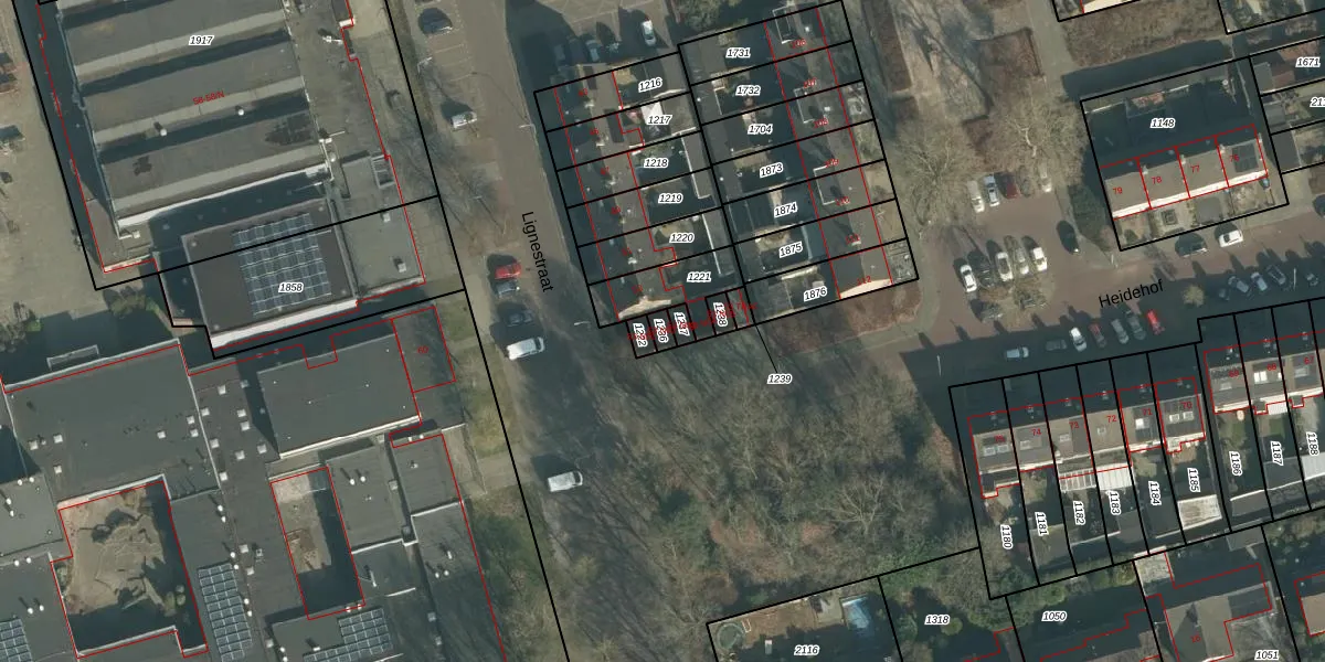
Het perceel waarop het adres ligt is MDE01-R-1236. De afkorting 'MDE01' staat voor kadastrale gemeente Made en Drimmelen. De gemiddelde perceelgrootte in Made en Drimmelen is 7295,91 m². Dit perceel is kleiner: de perceeloppervlakte bedraagt 18 m². Het kleinste perceel in de kadastrale gemeente is 0 m² groot. De grootste perceeloppervlakte is 3,79 km². Op het perceel bevinden zich geen andere adressen. De laatste wijziging in het de Basisregistratie Kadaster (BRK) was op 17-09-2012.
Er is geen energielabel geregistreerd voor het adres. Het hoogste energielabel in de straat is A++++; het laagste is G. Het gemiddelde energielabel is er B. Het adres Lignestraat 53-N02 heeft als status: 'verblijfsobject in gebruik'. Het pand waarin dit adres ligt heeft als status: 'pand in gebruik'.
Lignestraat 53-N02 is een adres gelegen in de gemeente Drimmelen, provincie Noord-Brabant. Dit adres is geregistreerd in de Basisregistratie Adressen en Gebouwen (BAG) met als unieke identificatie 1719010000011300.
Het pand op Lignestraat 53-N02 is gebouwd in 1969, wat betekent dat het 57 jaar oud is. Dit is een ouder pand. Het pand heeft mogelijk aanzienlijke renovaties nodig om aan de huidige standaarden te voldoen.
De woning op Lignestraat 53-N02 heeft een gebruiksoppervlakte van 18 m². Dit is relatief klein vergeleken met de gemiddelde Nederlandse woning, die een oppervlakte heeft van ongeveer 119 m². De gebruiksoppervlakte is de maat die wordt gebruikt in de BAG-registratie, de landelijke registratie van de Nederlandse overheid.
Lignestraat 53-N02 heeft als functie: overige doeleinden. Deze gebruiksfunctie(s) zijn vastgelegd in de BAG-registratie en geven aan waarvoor het adres officieel mag worden gebruikt.
Lignestraat 53-N02 is gelegen op kadastraal perceel MDE01R1236. Deze kadastrale aanduiding is uniek en wordt gebruikt door het Kadaster om eigendomsrechten en andere zakelijke rechten vast te leggen. Het perceel maakt onderdeel uit van de kadastrale gemeente Made en Drimmelen.
Het perceel waarop Lignestraat 53-N02 staat heeft een oppervlakte van 18 m². Dit is een klein perceel. De perceeloppervlakte wordt geregistreerd door het Kadaster. Gedetailleerde informatie over de maten van dit perceel kunt u vinden in het rapport Kadastrale kaart met maatvoering van Lignestraat 53-N02.
De eigenaar van Lignestraat 53-N02 is op te vragen op deze pagina.
De informatie over dit adres is afkomstig uit officiële overheidsregistraties, voornamelijk de Basisregistratie Adressen en Gebouwen (BAG) en de Basisregistratie Kadaster (BRK). Deze gegevens worden beheerd door respectievelijk gemeenten en het Kadaster, en worden regelmatig bijgewerkt. Energielabelgegevens komen uit de database van de Rijksdienst voor Ondernemend Nederland (RVO).
