
Van Vurenstraat 51-H is een adres in Made, dat zich bevindt binnen de gemeentegrenzen van Made en de grenzen van de provincie Noord-Brabant. Het verblijfsobject is vergeleken met het Nederlandse gemiddelde aan de kleine kant: de oppervlakte is 18 m². Het perceel waarop het adres zich bevindt heeft een oppervlakte van 2395 m². In de straat is dit het kleinste object. Het grootste verblijfsobject heeft een oppervlakte van 213 m². De gemiddelde grootte is er 72 m². De meeste Nederlandse gebouwen zijn gebouwd in de periode 1965-1984. Zo ook het pand waarin Van Vurenstraat 51-H ligt, dat gebouwd is in 1971. Dit object is relatief nieuw in de straat. Het nieuwste gebouw komt er uit het jaar 1973 en het oudste uit het jaar 1968. Het verblijfsobject heeft de volgende gebruiksdoelen: 'overige gebruiksfunctie'.
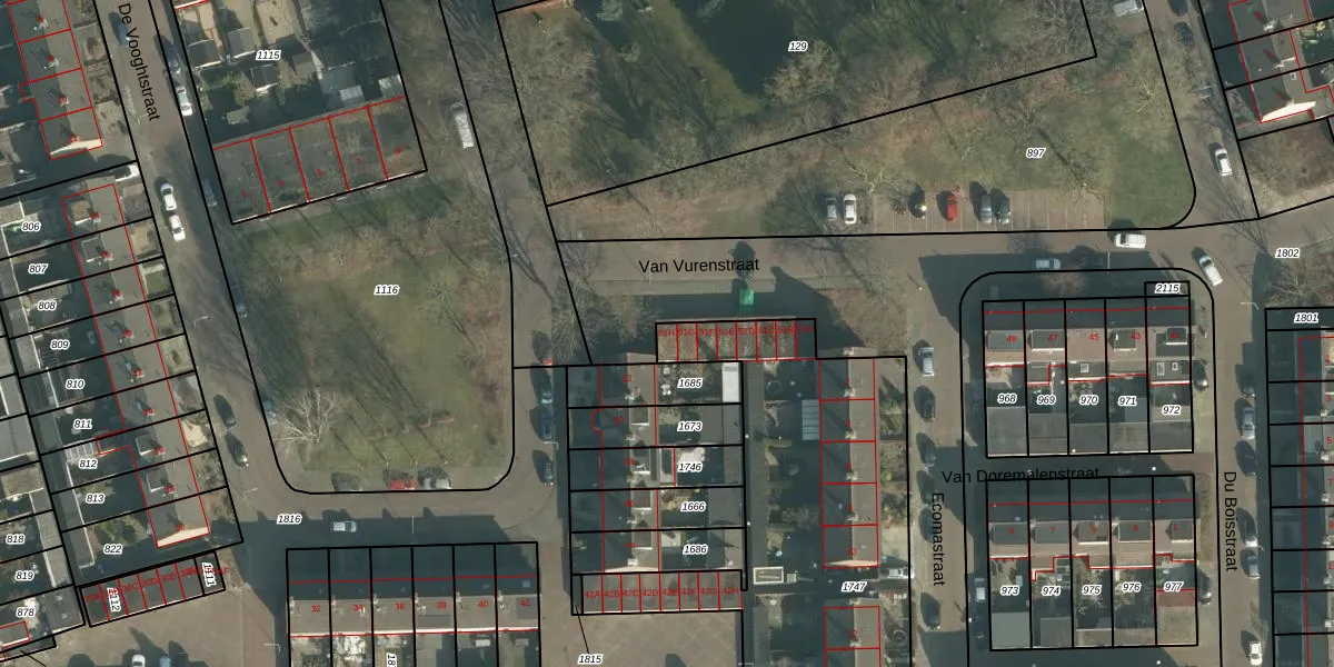
Het perceel waarop het adres ligt is MDE01-R-1747. De afkorting 'MDE01' staat voor kadastrale gemeente Made en Drimmelen. Het perceel is kleiner dan gemiddeld in Made en Drimmelen. Het perceel is 2395 m² groot, terwijl het gemiddelde ligt op 7289,69 m². De grootste perceeloppervlakte in de kadastrale gemeente is 3,79 km². De kleinste oppervlakte bedraagt 0 m². Op het perceel liggen in totaal 28 adressen. De huidige grenzen van het perceel zijn digitaal in de Basisregistratie Kadaster (BRK) geregistreerd op 08-02-2010.
Er is geen energielabel geregistreerd voor het adres. Het hoogste energielabel in de straat is A; het laagste is G. Het gemiddelde energielabel is er C. Het adres Van Vurenstraat 51-H heeft als status: 'verblijfsobject in gebruik'. Het pand waarin dit adres ligt heeft als status: 'pand in gebruik'.
Van Vurenstraat 51-H is een adres gelegen in de gemeente Drimmelen, provincie Noord-Brabant. Dit adres is geregistreerd in de Basisregistratie Adressen en Gebouwen (BAG) met als unieke identificatie 1719010000013668.
Het pand op Van Vurenstraat 51-H is gebouwd in 1971, wat betekent dat het 55 jaar oud is. Dit is een ouder pand. Het pand heeft mogelijk aanzienlijke renovaties nodig om aan de huidige standaarden te voldoen.
De woning op Van Vurenstraat 51-H heeft een gebruiksoppervlakte van 18 m². Dit is relatief klein vergeleken met de gemiddelde Nederlandse woning, die een oppervlakte heeft van ongeveer 119 m². De gebruiksoppervlakte is de maat die wordt gebruikt in de BAG-registratie, de landelijke registratie van de Nederlandse overheid.
Van Vurenstraat 51-H heeft als functie: overige doeleinden. Deze gebruiksfunctie(s) zijn vastgelegd in de BAG-registratie en geven aan waarvoor het adres officieel mag worden gebruikt.
Van Vurenstraat 51-H is gelegen op kadastraal perceel MDE01R1747. Deze kadastrale aanduiding is uniek en wordt gebruikt door het Kadaster om eigendomsrechten en andere zakelijke rechten vast te leggen. Het perceel maakt onderdeel uit van de kadastrale gemeente Made en Drimmelen.
Het perceel waarop Van Vurenstraat 51-H staat heeft een oppervlakte van 2395 m². Dit is een zeer groot perceel. De perceeloppervlakte wordt geregistreerd door het Kadaster. Gedetailleerde informatie over de maten van dit perceel kunt u vinden in het rapport Kadastrale kaart met maatvoering van Van Vurenstraat 51-H.
De eigenaar van Van Vurenstraat 51-H is op te vragen op deze pagina.
De informatie over dit adres is afkomstig uit officiële overheidsregistraties, voornamelijk de Basisregistratie Adressen en Gebouwen (BAG) en de Basisregistratie Kadaster (BRK). Deze gegevens worden beheerd door respectievelijk gemeenten en het Kadaster, en worden regelmatig bijgewerkt. Energielabelgegevens komen uit de database van de Rijksdienst voor Ondernemend Nederland (RVO).
