
Klipperstraat 48 is een adres in Makkum, dat zich bevindt binnen de gemeentegrenzen van Makkum en de grenzen van de provincie Friesland. Het perceel waarop het adres gelegen is heeft een oppervlakte van 2836 m². Het verblijfsobject is met 75 m² relatief klein. Het object is klein ten opzichte van de andere adressen in de straat. Het grootste verblijfsobject is 2168 m² groot en het kleinste is 67 m². In Nederland komt het grootste deel van de gebouwen uit de periode 1965-1984. Ook het bouwjaar van Klipperstraat 48 is afkomstig uit die periode: het betreft namelijk een pand uit 1975. Het bouwjaar is oud vergeleken met dat van de andere panden in de straat. Het oudste bouwjaar is er 1955 en de nieuwste is 2022. De volgende gebruiksdoelen zijn geregistreerd voor dit adres: 'woonfunctie'.
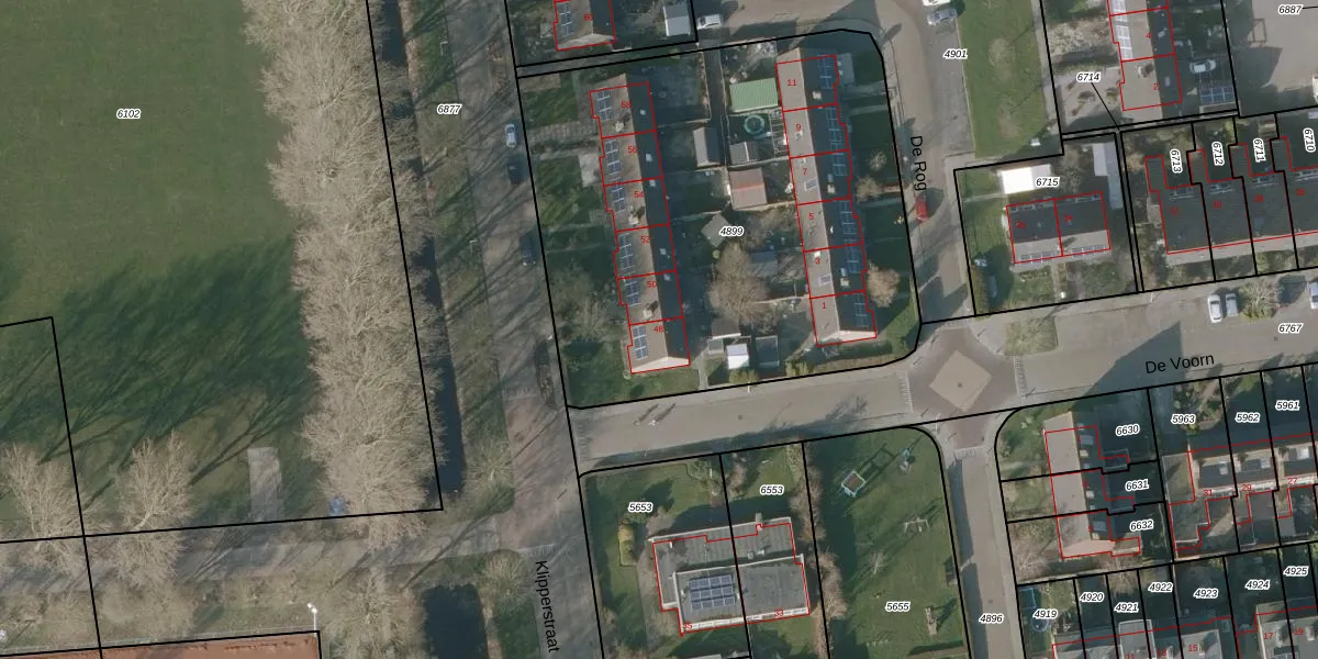
Het perceel waarop het adres ligt is MKM00-A-4899. De afkorting 'MKM00' staat voor kadastrale gemeente Makkum. Het perceel is 2836 m² groot. Dat is kleiner dan de gemiddelde perceeloppervlakte in Makkum, dat op 4,0 ha ligt. Het grootste perceel in de kadastrale gemeente is 68,76 km². Het kleinste perceel heeft een oppervlakte van 0 m². Er zijn 12 adressen aanwezig op het perceel. De huidige grenzen van het perceel zijn digitaal in de Basisregistratie Kadaster (BRK) geregistreerd op 25-06-1999.
Het adres ligt in een gebouw van het type 'twee-onder-een-kap / rijwoning hoek met het subtype rijwoning'. Bij de laatste meting is voor het adres het energielabel A geregistreerd. Het hoogste energielabel in de straat is A++++; het laagste is G. Het gemiddelde energielabel is er A+. Het adres Klipperstraat 48 heeft als status: 'verblijfsobject in gebruik'. Het pand waarin dit adres ligt heeft als status: 'pand in gebruik'.
Klipperstraat 48 is een adres gelegen in de gemeente Súdwest-Fryslân, provincie Friesland. Dit adres is geregistreerd in de Basisregistratie Adressen en Gebouwen (BAG) met als unieke identificatie 0710010000163015.
Het pand op Klipperstraat 48 is gebouwd in 1975, wat betekent dat het 51 jaar oud is. Dit is een ouder pand. Het pand heeft mogelijk aanzienlijke renovaties nodig om aan de huidige standaarden te voldoen.
De woning op Klipperstraat 48 heeft een gebruiksoppervlakte van 75 m². Dit is onder het gemiddelde vergeleken met de gemiddelde Nederlandse woning, die een oppervlakte heeft van ongeveer 119 m². De gebruiksoppervlakte is de maat die wordt gebruikt in de BAG-registratie, de landelijke registratie van de Nederlandse overheid.
Klipperstraat 48 heeft als functie: wonen. Deze gebruiksfunctie(s) zijn vastgelegd in de BAG-registratie en geven aan waarvoor het adres officieel mag worden gebruikt.
Klipperstraat 48 is gelegen op kadastraal perceel MKM00A4899. Deze kadastrale aanduiding is uniek en wordt gebruikt door het Kadaster om eigendomsrechten en andere zakelijke rechten vast te leggen. Het perceel maakt onderdeel uit van de kadastrale gemeente Makkum.
Het perceel waarop Klipperstraat 48 staat heeft een oppervlakte van 2836 m². Dit is een zeer groot perceel. De perceeloppervlakte wordt geregistreerd door het Kadaster. Gedetailleerde informatie over de maten van dit perceel kunt u vinden in het rapport Kadastrale kaart met maatvoering van Klipperstraat 48.
De eigenaar van Klipperstraat 48 is op te vragen op deze pagina.
De informatie over dit adres is afkomstig uit officiële overheidsregistraties, voornamelijk de Basisregistratie Adressen en Gebouwen (BAG) en de Basisregistratie Kadaster (BRK). Deze gegevens worden beheerd door respectievelijk gemeenten en het Kadaster, en worden regelmatig bijgewerkt. Energielabelgegevens komen uit de database van de Rijksdienst voor Ondernemend Nederland (RVO).
