
Het adres Mezenlaan 2 bevindt zich in de plaats Malden, in de gemeente Malden en de provincie Gelderland. De oppervlakte bedraagt 175 m², waarmee het adres groter dan gemiddeld is. De grootte van het perceel waarop het adres ligt is 471 m². De oppervlakte van het adres is klein vergeleken met de andere objecten in de straat. De oppervlakte van het kleinste object in de straat bedraagt 161 m², terwijl het grootste object 344 m² groot is. De meeste Nederlandse gebouwen zijn gebouwd in de periode 1965-1984. Zo ook het pand waarin Mezenlaan 2 ligt, dat gebouwd is in 1970. Dit is het oudste object in de straat. Het nieuwste pand komt uit 2021 en het gemiddelde bouwjaar in de straat is 1977. De volgende gebruiksdoelen zijn geregistreerd voor dit adres: 'woonfunctie'.
Deze woning is voor het laatst verkocht op 1 oktober 2024. Meer informatie over deze transactie? Bestel het Woningtransactierapport om de verkoopprijs en andere informatie te zien.
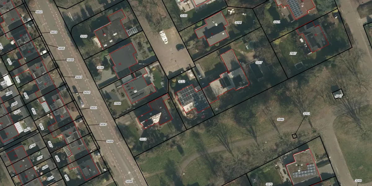
Het adres is gelegen op perceel 3112 in de sectie G en de kadastrale gemeente Heumen. De kadastrale aanduiding is aldus HMN01-G-3112. Het perceel is 471 m² groot. Dat is kleiner dan de gemiddelde perceeloppervlakte in Heumen, dat op 2941,35 m² ligt. De grootste perceeloppervlakte in de kadastrale gemeente is 50,5 ha. De kleinste oppervlakte bedraagt 0 m². Er zijn geen andere adressen aanwezig op het perceel. In de Basisregistratie Kadaster (BRK) werden de grenzen van het perceel geregistreerd op 25-11-2002.
Het adres ligt in een gebouw van het type 'vrijstaande woning'. Bij de laatste meting is voor het adres het energielabel A++++ geregistreerd. Het hoogste energielabel in de straat is A++++; het laagste is G. Het gemiddelde energielabel is er A++++. Het adres Mezenlaan 2 heeft als status: 'verblijfsobject in gebruik'. Het pand waarin dit adres ligt heeft als status: 'pand in gebruik'.
Mezenlaan 2 is een adres gelegen in de gemeente Heumen, provincie Gelderland. Dit adres is geregistreerd in de Basisregistratie Adressen en Gebouwen (BAG) met als unieke identificatie 0252010000013308.
Het pand op Mezenlaan 2 is gebouwd in 1970, wat betekent dat het 56 jaar oud is. Dit is een ouder pand. Het pand heeft mogelijk aanzienlijke renovaties nodig om aan de huidige standaarden te voldoen.
De woning op Mezenlaan 2 heeft een gebruiksoppervlakte van 175 m². Dit is ruim vergeleken met de gemiddelde Nederlandse woning, die een oppervlakte heeft van ongeveer 119 m². De gebruiksoppervlakte is de maat die wordt gebruikt in de BAG-registratie, de landelijke registratie van de Nederlandse overheid.
Mezenlaan 2 heeft als functie: wonen. Deze gebruiksfunctie(s) zijn vastgelegd in de BAG-registratie en geven aan waarvoor het adres officieel mag worden gebruikt.
Mezenlaan 2 is gelegen op kadastraal perceel HMN01G3112. Deze kadastrale aanduiding is uniek en wordt gebruikt door het Kadaster om eigendomsrechten en andere zakelijke rechten vast te leggen. Het perceel maakt onderdeel uit van de kadastrale gemeente Heumen.
Het perceel waarop Mezenlaan 2 staat heeft een oppervlakte van 471 m². Dit is een groot perceel. De perceeloppervlakte wordt geregistreerd door het Kadaster. Gedetailleerde informatie over de maten van dit perceel kunt u vinden in het rapport Kadastrale kaart met maatvoering van Mezenlaan 2.
De eigenaar van Mezenlaan 2 is op te vragen op deze pagina.
De informatie over dit adres is afkomstig uit officiële overheidsregistraties, voornamelijk de Basisregistratie Adressen en Gebouwen (BAG) en de Basisregistratie Kadaster (BRK). Deze gegevens worden beheerd door respectievelijk gemeenten en het Kadaster, en worden regelmatig bijgewerkt. Energielabelgegevens komen uit de database van de Rijksdienst voor Ondernemend Nederland (RVO).
