
Diergaarderstraat Zuid 2 is een adres in Maria Hoop, dat zich bevindt binnen de gemeentegrenzen van Maria Hoop en de grenzen van de provincie Limburg. De oppervlakte bedraagt 439 m², waarmee het adres groter dan gemiddeld is. De grootte van het perceel waarop het adres ligt is 1941 m². In vergelijking met de andere adressen in de straat is de oppervlakte van dit object relatief groot. Het grootste verblijfsobject heeft een oppervlakte van 562 m², de oppervlakte van het kleinste object bedraagt 8 m². Diergaarderstraat Zuid 2 ligt in een gebouw uit het jaar 2000. Daarmee behoort het tot de groep panden van na 1984, die we als relatief nieuw bestempelen. Veel andere gebouwen in de straat zijn ouder dan dit pand. Het oudste pand komt uit het jaar 1900 en het nieuwste uit 2025. Het verblijfsobject heeft de volgende gebruiksdoelen: 'woonfunctie'.
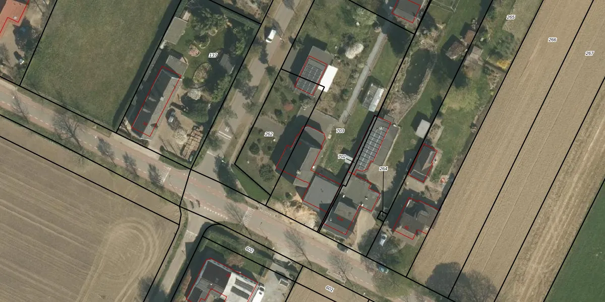
Het perceel waarop het adres ligt is ECH00-Y-703. De afkorting 'ECH00' staat voor kadastrale gemeente Echt. Het perceel is kleiner dan gemiddeld in Echt. Het perceel is 1941 m² groot, terwijl het gemiddelde ligt op 4563,23 m². Het grootste perceel in de kadastrale gemeente is 48,7 ha. Het kleinste perceel heeft een oppervlakte van 0 m². Er zijn geen andere adressen aanwezig op het perceel. De huidige grenzen van het perceel zijn digitaal in de Basisregistratie Kadaster (BRK) geregistreerd op 15-02-2024.
Er is geen energielabel geregistreerd voor het adres. Het hoogste energielabel in de straat is A+++; het laagste is G. Het gemiddelde energielabel is er C. Het adres Diergaarderstraat Zuid 2 heeft als status: 'verblijfsobject in gebruik'. Het pand waarin dit adres ligt heeft als status: 'pand in gebruik'.
Diergaarderstraat Zuid 2 is een adres gelegen in de gemeente Echt-Susteren, provincie Limburg. Dit adres is geregistreerd in de Basisregistratie Adressen en Gebouwen (BAG) met als unieke identificatie 1711010000040089.
Het pand op Diergaarderstraat Zuid 2 is gebouwd in 2000, wat betekent dat het 26 jaar oud is. Dit is een pand van middelbare leeftijd. Het pand is van gemiddelde leeftijd en zal waarschijnlijk verouderde elementen bevatten.
De woning op Diergaarderstraat Zuid 2 heeft een gebruiksoppervlakte van 439 m². Dit is ruim vergeleken met de gemiddelde Nederlandse woning, die een oppervlakte heeft van ongeveer 119 m². De gebruiksoppervlakte is de maat die wordt gebruikt in de BAG-registratie, de landelijke registratie van de Nederlandse overheid.
Diergaarderstraat Zuid 2 heeft als functie: wonen. Deze gebruiksfunctie(s) zijn vastgelegd in de BAG-registratie en geven aan waarvoor het adres officieel mag worden gebruikt.
Diergaarderstraat Zuid 2 is gelegen op kadastraal perceel ECH00Y703. Deze kadastrale aanduiding is uniek en wordt gebruikt door het Kadaster om eigendomsrechten en andere zakelijke rechten vast te leggen. Het perceel maakt onderdeel uit van de kadastrale gemeente Echt.
Het perceel waarop Diergaarderstraat Zuid 2 staat heeft een oppervlakte van 1941 m². Dit is een zeer groot perceel. De perceeloppervlakte wordt geregistreerd door het Kadaster. Gedetailleerde informatie over de maten van dit perceel kunt u vinden in het rapport Kadastrale kaart met maatvoering van Diergaarderstraat Zuid 2.
De eigenaar van Diergaarderstraat Zuid 2 is op te vragen op deze pagina.
De informatie over dit adres is afkomstig uit officiële overheidsregistraties, voornamelijk de Basisregistratie Adressen en Gebouwen (BAG) en de Basisregistratie Kadaster (BRK). Deze gegevens worden beheerd door respectievelijk gemeenten en het Kadaster, en worden regelmatig bijgewerkt. Energielabelgegevens komen uit de database van de Rijksdienst voor Ondernemend Nederland (RVO).
