
Schellaertstraat 31 is een adres in Maria Hoop, dat zich bevindt binnen de gemeentegrenzen van Maria Hoop en de grenzen van de provincie Limburg. De oppervlakte van het verblijfsobject is met 230 m² aan de grote kant. Het perceel heeft een oppervlakte van 800 m². De oppervlakte van het adres is klein vergeleken met de andere objecten in de straat. De oppervlakte van het kleinste object in de straat bedraagt 142 m², terwijl het grootste object 736 m² groot is. Schellaertstraat 31 ligt in een gebouw uit het jaar 1995. Daarmee behoort het tot de groep panden van na 1984, die we als relatief nieuw bestempelen. Het nieuwste gebouw in de straat komt uit 2008 en het oudste uit 1962. Dit object is relatief oud. De volgende gebruiksdoelen zijn geregistreerd voor dit adres: 'woonfunctie'.
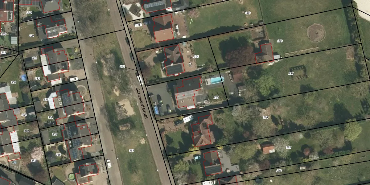
Het adres is gelegen op perceel 275 in de sectie N en de kadastrale gemeente Echt. De kadastrale aanduiding is aldus ECH00-N-275. Het perceel is 800 m² groot. Dat is kleiner dan de gemiddelde perceeloppervlakte in Echt, dat op 4563,5 m² ligt. Het grootste perceel in de kadastrale gemeente is 48,7 ha. Het kleinste perceel heeft een oppervlakte van 0 m². Op het perceel bevinden zich geen andere adressen. De huidige grenzen van het perceel zijn digitaal in de Basisregistratie Kadaster (BRK) geregistreerd op 26-09-2011.
Er is geen energielabel geregistreerd voor het adres. Het hoogste energielabel in de straat is A; het laagste is G. Het gemiddelde energielabel is er C. Het adres Schellaertstraat 31 heeft als status: 'verblijfsobject in gebruik'. Het pand waarin dit adres ligt heeft als status: 'pand in gebruik'.
Schellaertstraat 31 is een adres gelegen in de gemeente Echt-Susteren, provincie Limburg. Dit adres is geregistreerd in de Basisregistratie Adressen en Gebouwen (BAG) met als unieke identificatie 1711010000021244.
Het pand op Schellaertstraat 31 is gebouwd in 1995, wat betekent dat het 31 jaar oud is. Dit is een pand van middelbare leeftijd. Het pand is van gemiddelde leeftijd en zal waarschijnlijk verouderde elementen bevatten.
De woning op Schellaertstraat 31 heeft een gebruiksoppervlakte van 230 m². Dit is ruim vergeleken met de gemiddelde Nederlandse woning, die een oppervlakte heeft van ongeveer 119 m². De gebruiksoppervlakte is de maat die wordt gebruikt in de BAG-registratie, de landelijke registratie van de Nederlandse overheid.
Schellaertstraat 31 heeft als functie: wonen. Deze gebruiksfunctie(s) zijn vastgelegd in de BAG-registratie en geven aan waarvoor het adres officieel mag worden gebruikt.
Schellaertstraat 31 is gelegen op kadastraal perceel ECH00N275. Deze kadastrale aanduiding is uniek en wordt gebruikt door het Kadaster om eigendomsrechten en andere zakelijke rechten vast te leggen. Het perceel maakt onderdeel uit van de kadastrale gemeente Echt.
Het perceel waarop Schellaertstraat 31 staat heeft een oppervlakte van 800 m². Dit is een groot perceel. De perceeloppervlakte wordt geregistreerd door het Kadaster. Gedetailleerde informatie over de maten van dit perceel kunt u vinden in het rapport Kadastrale kaart met maatvoering van Schellaertstraat 31.
De eigenaar van Schellaertstraat 31 is op te vragen op deze pagina.
De informatie over dit adres is afkomstig uit officiële overheidsregistraties, voornamelijk de Basisregistratie Adressen en Gebouwen (BAG) en de Basisregistratie Kadaster (BRK). Deze gegevens worden beheerd door respectievelijk gemeenten en het Kadaster, en worden regelmatig bijgewerkt. Energielabelgegevens komen uit de database van de Rijksdienst voor Ondernemend Nederland (RVO).
