
De Steeg 13 is een adres in Melick, dat zich bevindt binnen de gemeentegrenzen van Melick en de grenzen van de provincie Limburg. Het object heeft een oppervlakte van 182 m², wat relatief groot is. Het perceel waarop het adres ligt is 776 m² groot. Het object is klein ten opzichte van de andere adressen in de straat. Het grootste verblijfsobject is 460 m² groot en het kleinste is 111 m². In Nederland komt het grootste deel van de gebouwen uit de periode 1965-1984. Ook het bouwjaar van De Steeg 13 is afkomstig uit die periode: het betreft namelijk een pand uit 1977. Vergeleken met de andere panden in de straat is dit gebouw nieuw. Het vroegste bouwjaar is er 1870 en het laatste is 2024. Voor het verblijfsobject gelden deze gebruiksdoelen: 'woonfunctie'.
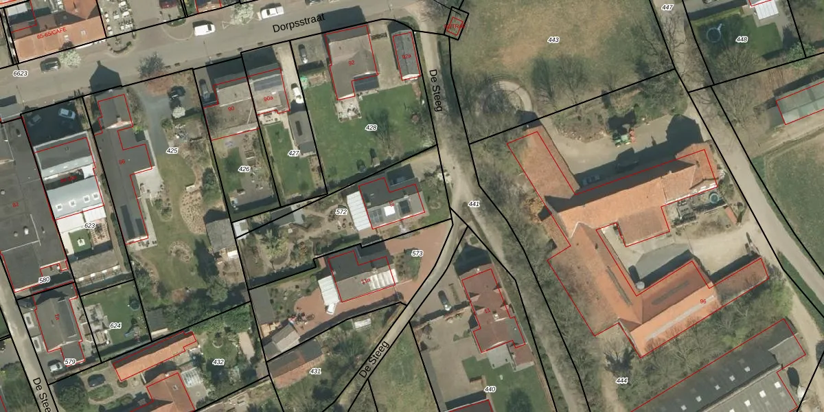
Het perceel waarop het adres ligt is MLK00-K-572. De afkorting 'MLK00' staat voor kadastrale gemeente Melick en Herkenbosch. De gemiddelde perceelgrootte in Melick en Herkenbosch is 4461,84 m². Dit perceel is kleiner: de perceeloppervlakte bedraagt 776 m². Het grootste perceel in de kadastrale gemeente is 94,0 ha. Het kleinste perceel heeft een oppervlakte van 0 m². Dit is het enige adres dat aanwezig is op het perceel. De huidige grenzen van het perceel zijn digitaal in de Basisregistratie Kadaster (BRK) geregistreerd op 30-08-2006.
Er is geen energielabel geregistreerd voor het adres. Het hoogste energielabel in de straat is A; het laagste is G. Het gemiddelde energielabel is er D. Het adres De Steeg 13 heeft als status: 'verblijfsobject in gebruik'. Het pand waarin dit adres ligt heeft als status: 'pand in gebruik'.
De Steeg 13 is een adres gelegen in de gemeente Roerdalen, provincie Limburg. Dit adres is geregistreerd in de Basisregistratie Adressen en Gebouwen (BAG) met als unieke identificatie 1669010000226975.
Het pand op De Steeg 13 is gebouwd in 1977, wat betekent dat het 49 jaar oud is. Dit is een pand van middelbare leeftijd. Het pand is van gemiddelde leeftijd en zal waarschijnlijk verouderde elementen bevatten.
De woning op De Steeg 13 heeft een gebruiksoppervlakte van 182 m². Dit is ruim vergeleken met de gemiddelde Nederlandse woning, die een oppervlakte heeft van ongeveer 119 m². De gebruiksoppervlakte is de maat die wordt gebruikt in de BAG-registratie, de landelijke registratie van de Nederlandse overheid.
De Steeg 13 heeft als functie: wonen. Deze gebruiksfunctie(s) zijn vastgelegd in de BAG-registratie en geven aan waarvoor het adres officieel mag worden gebruikt.
De Steeg 13 is gelegen op kadastraal perceel MLK00K572. Deze kadastrale aanduiding is uniek en wordt gebruikt door het Kadaster om eigendomsrechten en andere zakelijke rechten vast te leggen. Het perceel maakt onderdeel uit van de kadastrale gemeente Melick en Herkenbosch.
Het perceel waarop De Steeg 13 staat heeft een oppervlakte van 776 m². Dit is een groot perceel. De perceeloppervlakte wordt geregistreerd door het Kadaster. Gedetailleerde informatie over de maten van dit perceel kunt u vinden in het rapport Kadastrale kaart met maatvoering van De Steeg 13.
De eigenaar van De Steeg 13 is op te vragen op deze pagina.
De informatie over dit adres is afkomstig uit officiële overheidsregistraties, voornamelijk de Basisregistratie Adressen en Gebouwen (BAG) en de Basisregistratie Kadaster (BRK). Deze gegevens worden beheerd door respectievelijk gemeenten en het Kadaster, en worden regelmatig bijgewerkt. Energielabelgegevens komen uit de database van de Rijksdienst voor Ondernemend Nederland (RVO).
