
Zomerdijk 14-TRAF is gelegen in de plaats Meppel, de gemeente Meppel en de provincie Drenthe. Het verblijfsobject is vergeleken met het Nederlandse gemiddelde aan de kleine kant: de oppervlakte is 10 m². Het perceel waarop het adres zich bevindt heeft een oppervlakte van 40 m². In de straat is dit het kleinste object. Het grootste verblijfsobject heeft een oppervlakte van 1,1 ha. De gemiddelde grootte is er 567 m². De gemiddelde bouwperiode van gebouwen in Nederland ligt tussen de jaren 1965-1984. Dat geldt ook voor het bouwjaar van Zomerdijk 14-TRAF: het is gebouwd in het jaar 1974. Het nieuwste gebouw in de straat komt uit 2025 en het oudste uit 1890. Dit object is relatief oud. De volgende gebruiksdoelen zijn geregistreerd voor dit adres: 'overige gebruiksfunctie'.
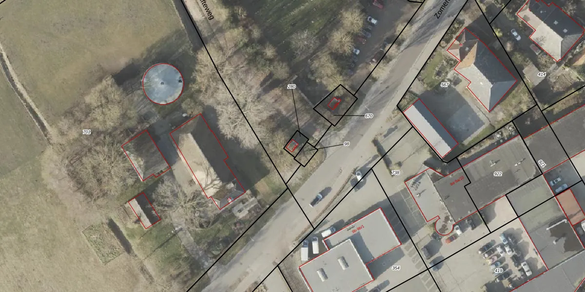
Het perceel waarop het adres ligt is MPL00-I-280. De afkorting 'MPL00' staat voor kadastrale gemeente Meppel. Het perceel is 40 m² groot. Dat is kleiner dan de gemiddelde perceeloppervlakte in Meppel, dat op 2123,99 m² ligt. Het kleinste perceel in de kadastrale gemeente is 0 m² groot. De grootste perceeloppervlakte is 34,4 ha. Op het perceel bevinden zich geen andere adressen. De laatste wijziging in het de Basisregistratie Kadaster (BRK) was op 19-12-2001.
Er is geen energielabel geregistreerd voor het adres. Het hoogste energielabel in de straat is A+; het laagste is G. Het gemiddelde energielabel is er C. Het adres Zomerdijk 14-TRAF heeft als status: 'verblijfsobject in gebruik'. Het pand waarin dit adres ligt heeft als status: 'pand in gebruik'.
Zomerdijk 14-TRAF is een adres gelegen in de gemeente Meppel, provincie Drenthe. Dit adres is geregistreerd in de Basisregistratie Adressen en Gebouwen (BAG) met als unieke identificatie 0119010000020034.
Het pand op Zomerdijk 14-TRAF is gebouwd in 1974, wat betekent dat het 52 jaar oud is. Dit is een ouder pand. Het pand heeft mogelijk aanzienlijke renovaties nodig om aan de huidige standaarden te voldoen.
De woning op Zomerdijk 14-TRAF heeft een gebruiksoppervlakte van 10 m². Dit is relatief klein vergeleken met de gemiddelde Nederlandse woning, die een oppervlakte heeft van ongeveer 119 m². De gebruiksoppervlakte is de maat die wordt gebruikt in de BAG-registratie, de landelijke registratie van de Nederlandse overheid.
Zomerdijk 14-TRAF heeft als functie: overige doeleinden. Deze gebruiksfunctie(s) zijn vastgelegd in de BAG-registratie en geven aan waarvoor het adres officieel mag worden gebruikt.
Zomerdijk 14-TRAF is gelegen op kadastraal perceel MPL00I280. Deze kadastrale aanduiding is uniek en wordt gebruikt door het Kadaster om eigendomsrechten en andere zakelijke rechten vast te leggen. Het perceel maakt onderdeel uit van de kadastrale gemeente Meppel.
Het perceel waarop Zomerdijk 14-TRAF staat heeft een oppervlakte van 40 m². Dit is een klein perceel. De perceeloppervlakte wordt geregistreerd door het Kadaster. Gedetailleerde informatie over de maten van dit perceel kunt u vinden in het rapport Kadastrale kaart met maatvoering van Zomerdijk 14-TRAF.
De eigenaar van Zomerdijk 14-TRAF is op te vragen op deze pagina.
De informatie over dit adres is afkomstig uit officiële overheidsregistraties, voornamelijk de Basisregistratie Adressen en Gebouwen (BAG) en de Basisregistratie Kadaster (BRK). Deze gegevens worden beheerd door respectievelijk gemeenten en het Kadaster, en worden regelmatig bijgewerkt. Energielabelgegevens komen uit de database van de Rijksdienst voor Ondernemend Nederland (RVO).
