
Mepperstraat 41-W is gelegen in de plaats Meppen, de gemeente Coevorden en de provincie Drenthe. Het verblijfsobject is vergeleken met het Nederlandse gemiddelde aan de kleine kant: de oppervlakte is 58 m². Het perceel waarop het adres zich bevindt heeft een oppervlakte van 1,6 ha. In de straat is dit het kleinste object. Het grootste verblijfsobject heeft een oppervlakte van 998 m². De gemiddelde grootte is er 170 m². De meeste Nederlandse gebouwen zijn gebouwd in de periode 1965-1984. Zo ook het pand waarin Mepperstraat 41-W ligt, dat gebouwd is in 1971. Dit object is relatief nieuw in de straat. Het nieuwste gebouw komt er uit het jaar 2015 en het oudste uit het jaar 1800. De volgende gebruiksdoelen zijn geregistreerd voor dit adres: 'logiesfunctie'.
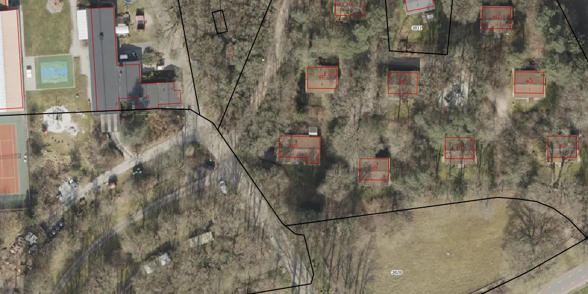
Het perceel waarop het adres ligt is ZLO00-K-4171. De afkorting 'ZLO00' staat voor kadastrale gemeente Zweeloo. De oppervlakte van het perceel is 1,6 ha. Dat is groter dan gemiddeld in Zweeloo, waar de gemiddelde perceeloppervlakte op 1,5 ha ligt. De grootste perceeloppervlakte in de kadastrale gemeente is 1,22 km². De kleinste oppervlakte bedraagt 2 m². Op het perceel liggen in totaal 13 adressen. De laatste wijziging in het de Basisregistratie Kadaster (BRK) was op 19-04-2019.
Het adres ligt in een gebouw van het type 'logieswoning'. Bij de laatste meting is voor het adres het energielabel G geregistreerd. Het hoogste energielabel in de straat is A; het laagste is G. Het gemiddelde energielabel is er E. Het adres Mepperstraat 41-W heeft als status: 'verblijfsobject in gebruik'. Het pand waarin dit adres ligt heeft als status: 'pand in gebruik'.
Mepperstraat 41-W is een adres gelegen in de gemeente Coevorden, provincie Drenthe. Dit adres is geregistreerd in de Basisregistratie Adressen en Gebouwen (BAG) met als unieke identificatie 0109010000019552.
Het pand op Mepperstraat 41-W is gebouwd in 1971, wat betekent dat het 55 jaar oud is. Dit is een ouder pand. Het pand heeft mogelijk aanzienlijke renovaties nodig om aan de huidige standaarden te voldoen.
De woning op Mepperstraat 41-W heeft een gebruiksoppervlakte van 58 m². Dit is relatief klein vergeleken met de gemiddelde Nederlandse woning, die een oppervlakte heeft van ongeveer 119 m². De gebruiksoppervlakte is de maat die wordt gebruikt in de BAG-registratie, de landelijke registratie van de Nederlandse overheid.
Mepperstraat 41-W heeft als functie: logies/verblijf. Deze gebruiksfunctie(s) zijn vastgelegd in de BAG-registratie en geven aan waarvoor het adres officieel mag worden gebruikt.
Mepperstraat 41-W is gelegen op kadastraal perceel ZLO00K4171. Deze kadastrale aanduiding is uniek en wordt gebruikt door het Kadaster om eigendomsrechten en andere zakelijke rechten vast te leggen. Het perceel maakt onderdeel uit van de kadastrale gemeente Zweeloo.
Het perceel waarop Mepperstraat 41-W staat heeft een oppervlakte van 1,6 ha. Dit is een zeer groot perceel. De perceeloppervlakte wordt geregistreerd door het Kadaster. Gedetailleerde informatie over de maten van dit perceel kunt u vinden in het rapport Kadastrale kaart met maatvoering van Mepperstraat 41-W.
De eigenaar van Mepperstraat 41-W is op te vragen op deze pagina.
De informatie over dit adres is afkomstig uit officiële overheidsregistraties, voornamelijk de Basisregistratie Adressen en Gebouwen (BAG) en de Basisregistratie Kadaster (BRK). Deze gegevens worden beheerd door respectievelijk gemeenten en het Kadaster, en worden regelmatig bijgewerkt. Energielabelgegevens komen uit de database van de Rijksdienst voor Ondernemend Nederland (RVO).
