
Dorpsstraat 5 is gelegen in de plaats Mheer, de gemeente Eijsden-Margraten en de provincie Limburg. De oppervlakte van het verblijfsobject is met 215 m² aan de grote kant. Het perceel heeft een oppervlakte van 542 m². Het object is klein ten opzichte van de andere adressen in de straat. Het grootste verblijfsobject is 1848 m² groot en het kleinste is 38 m². De meeste Nederlandse gebouwen zijn gebouwd in de periode 1965-1984. Zo ook het pand waarin Dorpsstraat 5 ligt, dat gebouwd is in 1969. Dit object is relatief nieuw in de straat. Het nieuwste gebouw komt er uit het jaar 2023 en het oudste uit het jaar 1670. Het verblijfsobject heeft de volgende gebruiksdoelen: 'woonfunctie'.
Deze woning is voor het laatst verkocht op 1 oktober 2005. Meer informatie over deze transactie? Bestel het Woningtransactierapport om de verkoopprijs en andere informatie te zien.
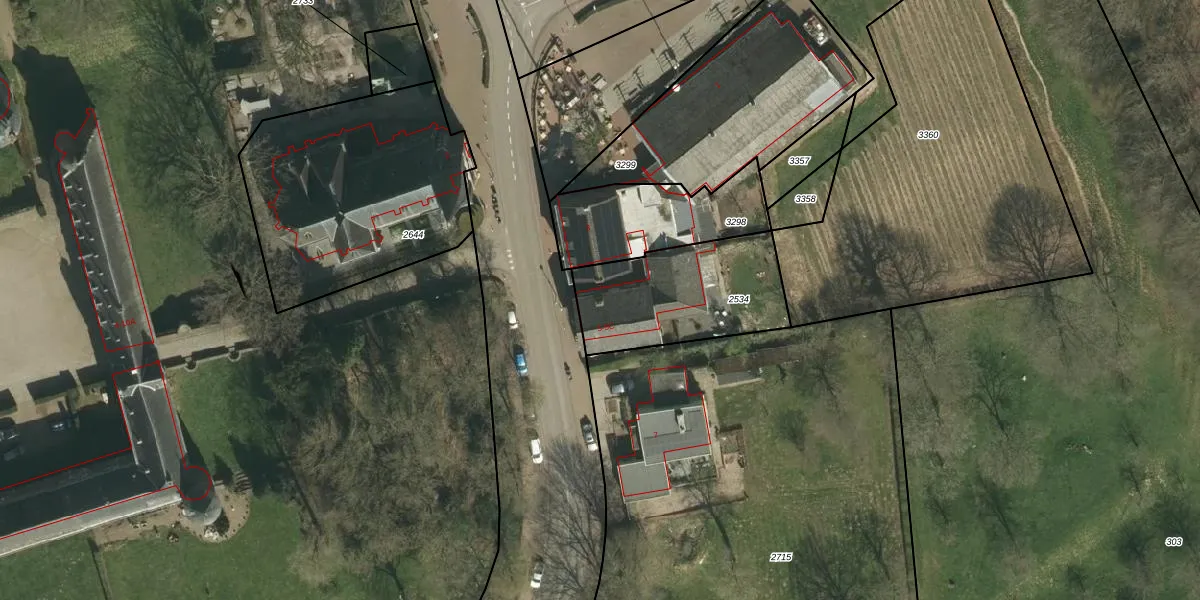
Het perceel waarop het adres ligt is MHE00-B-2534. De afkorting 'MHE00' staat voor kadastrale gemeente Mheer. Het perceel is kleiner dan gemiddeld in Mheer. Het perceel is 542 m² groot, terwijl het gemiddelde ligt op 801,93 m². De grootste perceeloppervlakte in de kadastrale gemeente is 2,3 ha. De kleinste oppervlakte bedraagt 1 m². Op het perceel liggen in totaal 4 adressen. De laatste wijziging in het de Basisregistratie Kadaster (BRK) was op 12-02-2009.
Het adres ligt in een gebouw van het type 'rijwoning tussen'. Bij de laatste meting is voor het adres het energielabel B geregistreerd. Het hoogste energielabel in de straat is A; het laagste is G. Het gemiddelde energielabel is er D. Het adres Dorpsstraat 5 heeft als status: 'verblijfsobject in gebruik'. Het pand waarin dit adres ligt heeft als status: 'pand in gebruik'.
Dorpsstraat 5 is een adres gelegen in de gemeente Eijsden-Margraten, provincie Limburg. Dit adres is geregistreerd in de Basisregistratie Adressen en Gebouwen (BAG) met als unieke identificatie 0936010000004392.
Het pand op Dorpsstraat 5 is gebouwd in 1969, wat betekent dat het 57 jaar oud is. Dit is een ouder pand. Het pand heeft mogelijk aanzienlijke renovaties nodig om aan de huidige standaarden te voldoen.
De woning op Dorpsstraat 5 heeft een gebruiksoppervlakte van 215 m². Dit is ruim vergeleken met de gemiddelde Nederlandse woning, die een oppervlakte heeft van ongeveer 119 m². De gebruiksoppervlakte is de maat die wordt gebruikt in de BAG-registratie, de landelijke registratie van de Nederlandse overheid.
Dorpsstraat 5 heeft als functie: wonen. Deze gebruiksfunctie(s) zijn vastgelegd in de BAG-registratie en geven aan waarvoor het adres officieel mag worden gebruikt.
Dorpsstraat 5 is gelegen op kadastraal perceel MHE00B2534. Deze kadastrale aanduiding is uniek en wordt gebruikt door het Kadaster om eigendomsrechten en andere zakelijke rechten vast te leggen. Het perceel maakt onderdeel uit van de kadastrale gemeente Mheer.
Het perceel waarop Dorpsstraat 5 staat heeft een oppervlakte van 542 m². Dit is een groot perceel. De perceeloppervlakte wordt geregistreerd door het Kadaster. Gedetailleerde informatie over de maten van dit perceel kunt u vinden in het rapport Kadastrale kaart met maatvoering van Dorpsstraat 5.
De eigenaar van Dorpsstraat 5 is op te vragen op deze pagina.
De informatie over dit adres is afkomstig uit officiële overheidsregistraties, voornamelijk de Basisregistratie Adressen en Gebouwen (BAG) en de Basisregistratie Kadaster (BRK). Deze gegevens worden beheerd door respectievelijk gemeenten en het Kadaster, en worden regelmatig bijgewerkt. Energielabelgegevens komen uit de database van de Rijksdienst voor Ondernemend Nederland (RVO).
