Product Functies Prijzen Meer

Adressen

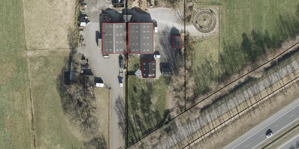
Gebruik de zoekbalk of klik op een perceel voor informatie over de adressen binnen dit perceel.
Locatie
Meten
Lagen
Download

Pasop 13

9355TG, Midwolde

1519312 Wat moet ik bieden voor deze woning?
155 m²
woonfunctie
11.550 m² perceeloppervlakte
A

Het adres Pasop 13 bevindt zich in de plaats Midwolde, in de gemeente Midwolde en de provincie Groningen. De oppervlakte van het verblijfsobject is met 155 m² aan de grote kant. Het perceel heeft een oppervlakte van 1,2 ha. Het adres is klein vergeleken met andere objecten in de straat. Het grootste object in de straat heeft een oppervlakte van 2550 m², het kleinste is 12 m² groot. Pasop 13 ligt in een gebouw uit het jaar 2006. Daarmee behoort het tot de groep panden van na 1984, die we als relatief nieuw bestempelen. Dit object is relatief nieuw in de straat. Het nieuwste gebouw komt er uit het jaar 2021 en het oudste uit het jaar 1880. Het verblijfsobject heeft de volgende gebruiksdoelen: 'woonfunctie'.

Perceel

Het adres ligt op het perceel LEE01-C-3131, dat zich in de kadastrale gemeente Leek bevindt. De gemiddelde perceeloppervlakte in de kadastrale gemeente Leek is 5185,47 m². Dit perceel is met zijn 1,2 ha dus groter dan gemiddeld. Het grootste perceel in de kadastrale gemeente is 72,3 ha. Het kleinste perceel heeft een oppervlakte van 0 m². Op het perceel bevinden zich geen andere adressen. In de Basisregistratie Kadaster (BRK) werden de grenzen van het perceel geregistreerd op 01-05-2024.

Energielabel en status

Het adres ligt in een gebouw van het type 'vrijstaande woning'. Bij de laatste meting is voor het adres het energielabel A geregistreerd. Het hoogste energielabel in de straat is A+; het laagste is G. Het gemiddelde energielabel is er D. Het adres Pasop 13 heeft als status: 'verblijfsobject in gebruik'. Het pand waarin dit adres ligt heeft als status: 'pand in gebruik'.

Meer lezen

Adres

Gebruiksoppervlakte
155 m²
Bruto vloeroppervlakte
22HU7ERrX7 Upgrade naar KadastraleKaart Pro
Gebruiksdoel(en)
Woonfunctie
Status
Verblijfsobject in gebruik
Type
Vrijstaande woning
Gasloos
huCia6n5HkDhp1LeFpIXUpgrade naar KadastraleKaart Pro
Gebeurtenissen
Appartementsrechten
xIl2pO080Upgrade naar KadastraleKaart Pro
Eigenaar
Eigendomsinformatie 12,95
Adresinformatie bestellen
Adrespakket 34,95
VBO ID
0022010000007276

Pand

Bouwjaar pand
2006
Aantal adressen in dit gebouw
1 adres
Hoogte pand
t9P EBewUU9DUpgrade naar KadastraleKaart Pro
Aantal bouwlagen (schatting)
yNKR2KYVO0thTTUpgrade naar KadastraleKaart Pro
Volume
6T Yq kmUpgrade naar KadastraleKaart Pro
Oppervlakte dak
Kv 1z0g4l x eWbJceSUpgrade naar KadastraleKaart Pro
Oppervlakte buitenmuur
E3I9nBR7fmaPu58Upgrade naar KadastraleKaart Pro
Status pand
Pand in gebruik
Pand ID
0022100000006654

Perceel Toon alle percelen   Pro

Kadastrale aanduiding
Leek C 3131 (LEE01 C 3131)
Oppervlakte
11.550 m²
Maatvoering
Kadastrale kaart met maatvoering 59,95
Omtrek
643 meter
Datum laatst gewijzigd
01/05/2024
Aantal adressen op perceel
1
Hoogte boven N.A.P.
EQo Wx7x8pfV fDgZsaVD1Upgrade naar KadastraleKaart Pro

Veelgestelde vragen

Pasop 13 is een adres gelegen in de gemeente Westerkwartier, provincie Groningen. Dit adres is geregistreerd in de Basisregistratie Adressen en Gebouwen (BAG) met als unieke identificatie 0022010000007276.

Het pand op Pasop 13 is gebouwd in 2006, wat betekent dat het 20 jaar oud is. Dit is een relatief modern pand. Ten opzichte van de nationale woningvoorraad is het pand relatief modern, maar er kunnen enkele verouderde elementen zijn die aandacht nodig hebben.

De woning op Pasop 13 heeft een gebruiksoppervlakte van 155 m². Dit is ruim vergeleken met de gemiddelde Nederlandse woning, die een oppervlakte heeft van ongeveer 119 m². De gebruiksoppervlakte is de maat die wordt gebruikt in de BAG-registratie, de landelijke registratie van de Nederlandse overheid.

Pasop 13 heeft als functie: wonen. Deze gebruiksfunctie(s) zijn vastgelegd in de BAG-registratie en geven aan waarvoor het adres officieel mag worden gebruikt.

Pasop 13 is gelegen op kadastraal perceel LEE01C3131. Deze kadastrale aanduiding is uniek en wordt gebruikt door het Kadaster om eigendomsrechten en andere zakelijke rechten vast te leggen. Het perceel maakt onderdeel uit van de kadastrale gemeente Leek.

Het perceel waarop Pasop 13 staat heeft een oppervlakte van 1,2 ha. Dit is een zeer groot perceel. De perceeloppervlakte wordt geregistreerd door het Kadaster. Gedetailleerde informatie over de maten van dit perceel kunt u vinden in het rapport Kadastrale kaart met maatvoering van Pasop 13.

De eigenaar van Pasop 13 is op te vragen op deze pagina.

De informatie over dit adres is afkomstig uit officiële overheidsregistraties, voornamelijk de Basisregistratie Adressen en Gebouwen (BAG) en de Basisregistratie Kadaster (BRK). Deze gegevens worden beheerd door respectievelijk gemeenten en het Kadaster, en worden regelmatig bijgewerkt. Energielabelgegevens komen uit de database van de Rijksdienst voor Ondernemend Nederland (RVO).

Maatvoeringsrapport

Wie is de eigenaar?

Bekijk de eigenaar van Pasop 13 met de eigendomsinformatie.
Bekijk de eigenaar van dit adres.
Maatvoeringsrapport

Maatvoering van het perceel

Bestel de maatvoering voor Pasop 13 met het maatvoeringsrapport.
Bestel de maatvoering voor dit adres.

360°-foto's van de omgeving

Google Street View
Upgrade nu voor 360° Street View foto's

Zon en schaduw rondom adres

Buurt
Buitengebied Midwolde
Inwoners: 195
Woningen: 81
Wijk
Wijk 07 Midwolde
Inwoners: 385
Woningen: 162
Gemeente
Westerkwartier
Inwoners: 64.896
Woningen: 27.779