
Stadhouderlaan 26-G4 is een adres in Mijdrecht, dat zich bevindt binnen de gemeentegrenzen van Mijdrecht en de grenzen van de provincie Utrecht. De oppervlakte van het object bedraagt 17 m². Dat is klein vergeleken met het Nederlandse gemiddelde. Het perceel waarop het adres ligt is 131 m² groot. In de straat is dit het kleinste object. Het grootste verblijfsobject heeft een oppervlakte van 341 m². De gemiddelde grootte is er 77 m². De meeste Nederlandse gebouwen zijn gebouwd in de periode 1965-1984. Zo ook het pand waarin Stadhouderlaan 26-G4 ligt, dat gebouwd is in 1967. In de straat komt het nieuwste gebouw uit het jaar 1970 en het oudste uit 1965. Het bouwjaar van dit object is relatief oud. De volgende gebruiksdoelen zijn geregistreerd voor dit adres: 'overige gebruiksfunctie'.
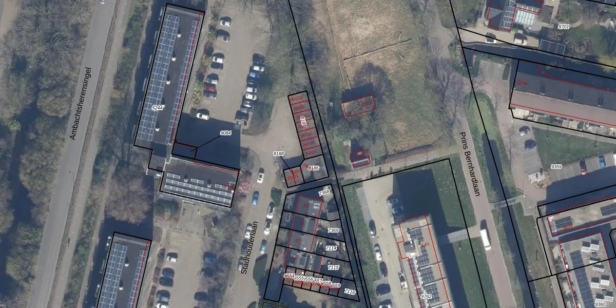
Het perceel waarop het adres ligt is MDT01-C-8187. De afkorting 'MDT01' staat voor kadastrale gemeente Mijdrecht. Het perceel is 131 m² groot. Dat is kleiner dan de gemiddelde perceeloppervlakte in Mijdrecht, dat op 3020,97 m² ligt. De grootste perceeloppervlakte in de kadastrale gemeente is 25,4 ha. De kleinste oppervlakte bedraagt 0 m². Op het perceel zijn 7 adressen aanwezig. De huidige grenzen van het perceel zijn digitaal in de Basisregistratie Kadaster (BRK) geregistreerd op 02-04-2007.
Er is geen energielabel geregistreerd voor het adres. Het hoogste energielabel in de straat is A; het laagste is G. Het gemiddelde energielabel is er C. Het adres Stadhouderlaan 26-G4 heeft als status: 'verblijfsobject in gebruik'. Het pand waarin dit adres ligt heeft als status: 'pand in gebruik'.
Stadhouderlaan 26-G4 is een adres gelegen in de gemeente De Ronde Venen, provincie Utrecht. Dit adres is geregistreerd in de Basisregistratie Adressen en Gebouwen (BAG) met als unieke identificatie 0736010000013038.
Het pand op Stadhouderlaan 26-G4 is gebouwd in 1967, wat betekent dat het 59 jaar oud is. Dit is een ouder pand. Het pand heeft mogelijk aanzienlijke renovaties nodig om aan de huidige standaarden te voldoen.
De woning op Stadhouderlaan 26-G4 heeft een gebruiksoppervlakte van 17 m². Dit is relatief klein vergeleken met de gemiddelde Nederlandse woning, die een oppervlakte heeft van ongeveer 119 m². De gebruiksoppervlakte is de maat die wordt gebruikt in de BAG-registratie, de landelijke registratie van de Nederlandse overheid.
Stadhouderlaan 26-G4 heeft als functie: overige doeleinden. Deze gebruiksfunctie(s) zijn vastgelegd in de BAG-registratie en geven aan waarvoor het adres officieel mag worden gebruikt.
Stadhouderlaan 26-G4 is gelegen op kadastraal perceel MDT01C8187. Deze kadastrale aanduiding is uniek en wordt gebruikt door het Kadaster om eigendomsrechten en andere zakelijke rechten vast te leggen. Het perceel maakt onderdeel uit van de kadastrale gemeente Mijdrecht.
Het perceel waarop Stadhouderlaan 26-G4 staat heeft een oppervlakte van 131 m². Dit is een middelgroot perceel. De perceeloppervlakte wordt geregistreerd door het Kadaster. Gedetailleerde informatie over de maten van dit perceel kunt u vinden in het rapport Kadastrale kaart met maatvoering van Stadhouderlaan 26-G4.
De eigenaar van Stadhouderlaan 26-G4 is op te vragen op deze pagina.
De informatie over dit adres is afkomstig uit officiële overheidsregistraties, voornamelijk de Basisregistratie Adressen en Gebouwen (BAG) en de Basisregistratie Kadaster (BRK). Deze gegevens worden beheerd door respectievelijk gemeenten en het Kadaster, en worden regelmatig bijgewerkt. Energielabelgegevens komen uit de database van de Rijksdienst voor Ondernemend Nederland (RVO).
