
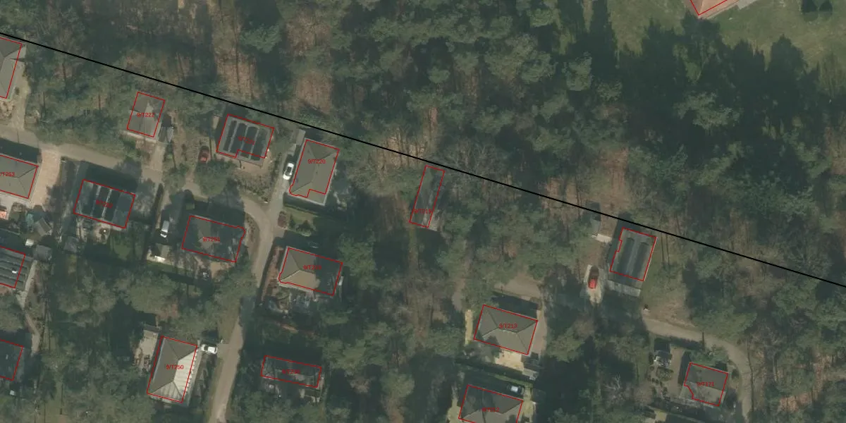
Kaak 9-T215 is gelegen in de plaats Milheeze, de gemeente Gemert-Bakel en de provincie Noord-Brabant. De oppervlakte van het object bedraagt 48 m². Dat is klein vergeleken met het Nederlandse gemiddelde. Het perceel waarop het adres ligt is 8,7 ha groot. Het object is klein ten opzichte van de andere adressen in de straat. Het grootste verblijfsobject is 1274 m² groot en het kleinste is 43 m². In het jaar 2011 is het pand waarin Kaak 9-T215 ligt gebouwd. Dat is relatief recent: de meeste gebouwen in Nederland zijn gebouwd in de periode 1965-1984. Veel andere gebouwen in de straat zijn ouder dan dit pand. Het oudste pand komt uit het jaar 1945 en het nieuwste uit 2024. Voor het verblijfsobject gelden deze gebruiksdoelen: 'logiesfunctie'.
Het perceel waarop het adres ligt is BKL02-U-564. De afkorting 'BKL02' staat voor kadastrale gemeente Bakel en Milheeze. Het perceel is met 8,7 ha relatief groot. Het gemiddelde ligt in de kadastrale gemeente Bakel en Milheeze op 9018,12 m². De grootste perceeloppervlakte in de kadastrale gemeente is 1,18 km². De kleinste oppervlakte bedraagt 0 m². Op het perceel zijn 97 adressen aanwezig. De laatste wijziging in het de Basisregistratie Kadaster (BRK) was op 04-03-2013.
Er is geen energielabel geregistreerd voor het adres. Het hoogste energielabel in de straat is G; het laagste is G. Het gemiddelde energielabel is er G. Het adres Kaak 9-T215 heeft als status: 'verblijfsobject in gebruik'. Het pand waarin dit adres ligt heeft als status: 'pand in gebruik'.
Kaak 9-T215 is een adres gelegen in de gemeente Gemert-Bakel, provincie Noord-Brabant. Dit adres is geregistreerd in de Basisregistratie Adressen en Gebouwen (BAG) met als unieke identificatie 1652010000014123.
Het pand op Kaak 9-T215 is gebouwd in 2011, wat betekent dat het 15 jaar oud is. Dit is een relatief modern pand. Ten opzichte van de nationale woningvoorraad is het pand relatief modern, maar er kunnen enkele verouderde elementen zijn die aandacht nodig hebben.
De woning op Kaak 9-T215 heeft een gebruiksoppervlakte van 48 m². Dit is relatief klein vergeleken met de gemiddelde Nederlandse woning, die een oppervlakte heeft van ongeveer 119 m². De gebruiksoppervlakte is de maat die wordt gebruikt in de BAG-registratie, de landelijke registratie van de Nederlandse overheid.
Kaak 9-T215 heeft als functie: logies/verblijf. Deze gebruiksfunctie(s) zijn vastgelegd in de BAG-registratie en geven aan waarvoor het adres officieel mag worden gebruikt.
Kaak 9-T215 is gelegen op kadastraal perceel BKL02U564. Deze kadastrale aanduiding is uniek en wordt gebruikt door het Kadaster om eigendomsrechten en andere zakelijke rechten vast te leggen. Het perceel maakt onderdeel uit van de kadastrale gemeente Bakel en Milheeze.
Het perceel waarop Kaak 9-T215 staat heeft een oppervlakte van 8,7 ha. Dit is een zeer groot perceel. De perceeloppervlakte wordt geregistreerd door het Kadaster. Gedetailleerde informatie over de maten van dit perceel kunt u vinden in het rapport Kadastrale kaart met maatvoering van Kaak 9-T215.
De eigenaar van Kaak 9-T215 is op te vragen op deze pagina.
De informatie over dit adres is afkomstig uit officiële overheidsregistraties, voornamelijk de Basisregistratie Adressen en Gebouwen (BAG) en de Basisregistratie Kadaster (BRK). Deze gegevens worden beheerd door respectievelijk gemeenten en het Kadaster, en worden regelmatig bijgewerkt. Energielabelgegevens komen uit de database van de Rijksdienst voor Ondernemend Nederland (RVO).
