
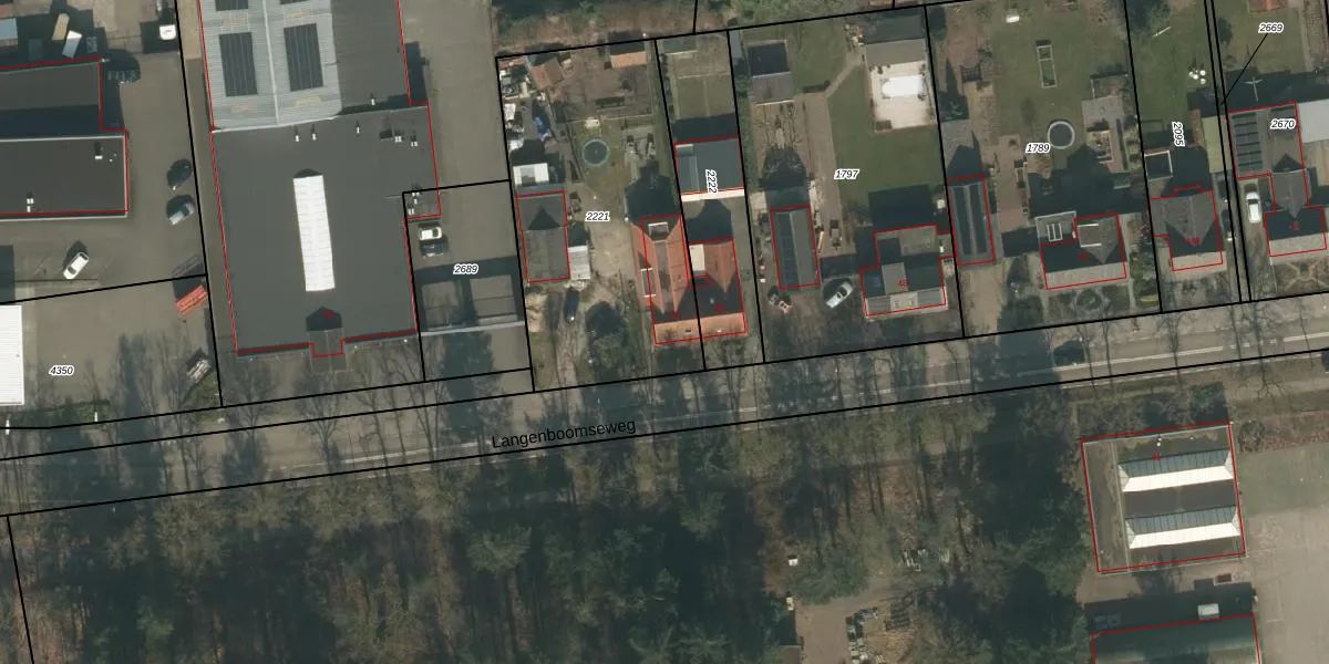
Het adres Langenboomseweg 52 bevindt zich in de plaats Mill, in de gemeente Mill en de provincie Noord-Brabant. De oppervlakte van het verblijfsobject is met 178 m² aan de grote kant. Het perceel heeft een oppervlakte van 1270 m². Het adres is klein vergeleken met andere objecten in de straat. Het grootste object in de straat heeft een oppervlakte van 1,0 ha, het kleinste is 8 m² groot. Langenboomseweg 52 bevindt zich in een pand uit het jaar 1939. Daarmee behoort het tot de groep relatief oude panden in Nederland die gebouwd zijn vóór 1965. Het nieuwste gebouw in de straat komt uit 2021 en het oudste uit 1910. Dit object is relatief oud. Voor het verblijfsobject gelden deze gebruiksdoelen: 'woonfunctie'.
Deze woning is voor het laatst verkocht op 1 juni 2015. Meer informatie over deze transactie? Bestel het Woningtransactierapport om de verkoopprijs en andere informatie te zien.
Het adres ligt op het perceel MIL00-F-2221, dat zich in de kadastrale gemeente Mill bevindt. De gemiddelde perceelgrootte in Mill is 6185,19 m². Dit perceel is kleiner: de perceeloppervlakte bedraagt 1270 m². Het grootste perceel in de kadastrale gemeente is 92,9 ha. Het kleinste perceel heeft een oppervlakte van 0 m². Op het perceel bevinden zich geen andere adressen. In de Basisregistratie Kadaster (BRK) werden de grenzen van het perceel geregistreerd op 15-08-2005.
Er is geen energielabel geregistreerd voor het adres. Het hoogste energielabel in de straat is A+; het laagste is G. Het gemiddelde energielabel is er C. Het adres Langenboomseweg 52 heeft als status: 'verblijfsobject in gebruik'. Het pand waarin dit adres ligt heeft als status: 'pand in gebruik'.
Langenboomseweg 52 is een adres gelegen in de gemeente Land van Cuijk, provincie Noord-Brabant. Dit adres is geregistreerd in de Basisregistratie Adressen en Gebouwen (BAG) met als unieke identificatie 0815010000002452.
Het pand op Langenboomseweg 52 is gebouwd in 1939, wat betekent dat het 87 jaar oud is. Dit is een ouder pand. Het pand heeft mogelijk aanzienlijke renovaties nodig om aan de huidige standaarden te voldoen.
De woning op Langenboomseweg 52 heeft een gebruiksoppervlakte van 178 m². Dit is ruim vergeleken met de gemiddelde Nederlandse woning, die een oppervlakte heeft van ongeveer 119 m². De gebruiksoppervlakte is de maat die wordt gebruikt in de BAG-registratie, de landelijke registratie van de Nederlandse overheid.
Langenboomseweg 52 heeft als functie: wonen. Deze gebruiksfunctie(s) zijn vastgelegd in de BAG-registratie en geven aan waarvoor het adres officieel mag worden gebruikt.
Langenboomseweg 52 is gelegen op kadastraal perceel MIL00F2221. Deze kadastrale aanduiding is uniek en wordt gebruikt door het Kadaster om eigendomsrechten en andere zakelijke rechten vast te leggen. Het perceel maakt onderdeel uit van de kadastrale gemeente Mill.
Het perceel waarop Langenboomseweg 52 staat heeft een oppervlakte van 1270 m². Dit is een zeer groot perceel. De perceeloppervlakte wordt geregistreerd door het Kadaster. Gedetailleerde informatie over de maten van dit perceel kunt u vinden in het rapport Kadastrale kaart met maatvoering van Langenboomseweg 52.
De eigenaar van Langenboomseweg 52 is op te vragen op deze pagina.
De informatie over dit adres is afkomstig uit officiële overheidsregistraties, voornamelijk de Basisregistratie Adressen en Gebouwen (BAG) en de Basisregistratie Kadaster (BRK). Deze gegevens worden beheerd door respectievelijk gemeenten en het Kadaster, en worden regelmatig bijgewerkt. Energielabelgegevens komen uit de database van de Rijksdienst voor Ondernemend Nederland (RVO).
