
De Lage Braken 8 is gelegen in de plaats Moergestel, de gemeente Oisterwijk en de provincie Noord-Brabant. De oppervlakte van het verblijfsobject is met 200 m² aan de grote kant. Het perceel heeft een oppervlakte van 116 m². De oppervlakte van dit adres is groot vergeleken met de oppervlaktes van andere adressen in de straat. De kleinste oppervlakte bedraagt er 94 m², de grootste 270 m². De Lage Braken 8 ligt in een gebouw uit het jaar 2010. Daarmee behoort het tot de groep panden van na 1984, die we als relatief nieuw bestempelen. Dit pand is het meest recent exemplaar in de straat. Het oudste object komt er uit 2010 en het gemiddelde bouwjaar is 2010. De volgende gebruiksdoelen zijn geregistreerd voor dit adres: 'woonfunctie'.
Deze woning is voor het laatst verkocht op 1 september 2025. Meer informatie over deze transactie? Bestel het Woningtransactierapport om de verkoopprijs en andere informatie te zien.
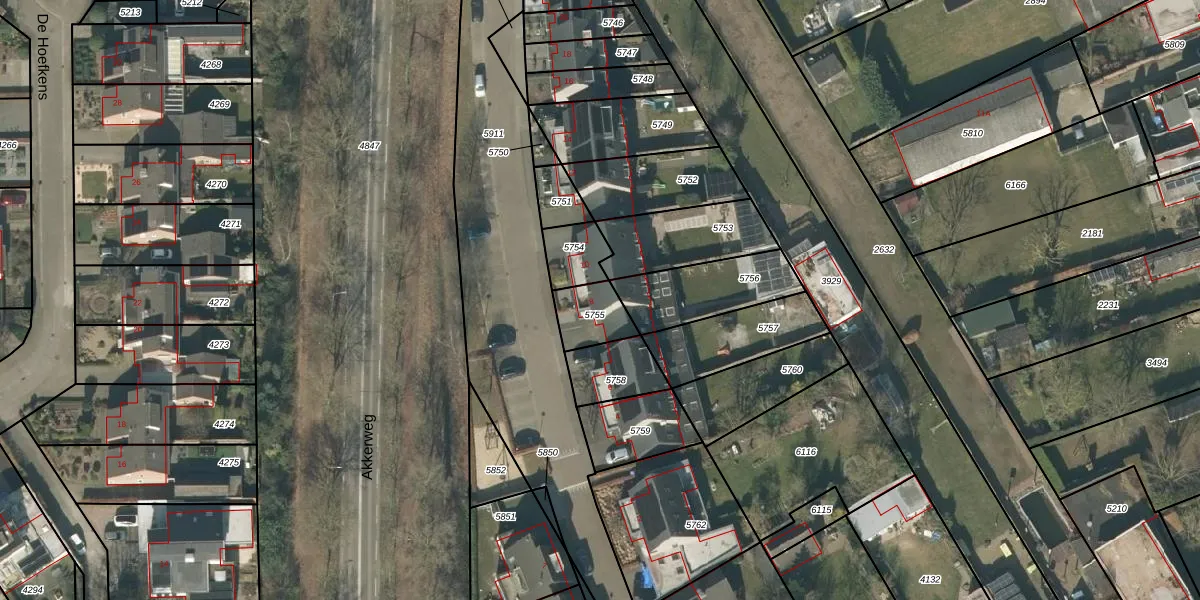
Het adres ligt op het perceel MGT01-A-5755, dat zich in de kadastrale gemeente Moergestel bevindt. Het perceel is 116 m² groot. Dat is kleiner dan de gemiddelde perceeloppervlakte in Moergestel, dat op 2672,06 m² ligt. Het grootste perceel in de kadastrale gemeente is 51,1 ha. Het kleinste perceel heeft een oppervlakte van 0 m². Op het perceel bevinden zich geen andere adressen. De laatste wijziging in het de Basisregistratie Kadaster (BRK) was op 23-01-2012.
Het adres ligt in een gebouw van het type 'rijwoning tussen'. Bij de laatste meting is voor het adres het energielabel A geregistreerd. Het hoogste energielabel in de straat is A++; het laagste is G. Het gemiddelde energielabel is er A. Het adres De Lage Braken 8 heeft als status: 'verblijfsobject in gebruik'. Het pand waarin dit adres ligt heeft als status: 'pand in gebruik'.
De Lage Braken 8 is een adres gelegen in de gemeente Oisterwijk, provincie Noord-Brabant. Dit adres is geregistreerd in de Basisregistratie Adressen en Gebouwen (BAG) met als unieke identificatie 0824010000000060.
Het pand op De Lage Braken 8 is gebouwd in 2010, wat betekent dat het 16 jaar oud is. Dit is een relatief modern pand. Ten opzichte van de nationale woningvoorraad is het pand relatief modern, maar er kunnen enkele verouderde elementen zijn die aandacht nodig hebben.
De woning op De Lage Braken 8 heeft een gebruiksoppervlakte van 200 m². Dit is ruim vergeleken met de gemiddelde Nederlandse woning, die een oppervlakte heeft van ongeveer 119 m². De gebruiksoppervlakte is de maat die wordt gebruikt in de BAG-registratie, de landelijke registratie van de Nederlandse overheid.
De Lage Braken 8 heeft als functie: wonen. Deze gebruiksfunctie(s) zijn vastgelegd in de BAG-registratie en geven aan waarvoor het adres officieel mag worden gebruikt.
De Lage Braken 8 is gelegen op kadastraal perceel MGT01A5755. Deze kadastrale aanduiding is uniek en wordt gebruikt door het Kadaster om eigendomsrechten en andere zakelijke rechten vast te leggen. Het perceel maakt onderdeel uit van de kadastrale gemeente Moergestel.
Het perceel waarop De Lage Braken 8 staat heeft een oppervlakte van 116 m². Dit is een middelgroot perceel. De perceeloppervlakte wordt geregistreerd door het Kadaster. Gedetailleerde informatie over de maten van dit perceel kunt u vinden in het rapport Kadastrale kaart met maatvoering van De Lage Braken 8.
De eigenaar van De Lage Braken 8 is op te vragen op deze pagina.
De informatie over dit adres is afkomstig uit officiële overheidsregistraties, voornamelijk de Basisregistratie Adressen en Gebouwen (BAG) en de Basisregistratie Kadaster (BRK). Deze gegevens worden beheerd door respectievelijk gemeenten en het Kadaster, en worden regelmatig bijgewerkt. Energielabelgegevens komen uit de database van de Rijksdienst voor Ondernemend Nederland (RVO).
