
Het adres Stappenakker 10-05 bevindt zich in de plaats Molenschot, in de gemeente Molenschot en de provincie Noord-Brabant. De oppervlakte van het object bedraagt 45 m². Dat is klein vergeleken met het Nederlandse gemiddelde. Het perceel waarop het adres ligt is 308 m² groot. Het object is klein ten opzichte van de andere adressen in de straat. Het grootste verblijfsobject is 210 m² groot en het kleinste is 13 m². De meeste Nederlandse gebouwen zijn gebouwd in de periode 1965-1984. Zo ook het pand waarin Stappenakker 10-05 ligt, dat gebouwd is in 1974. Dit is het oudste object in de straat. Het nieuwste pand komt uit 1977 en het gemiddelde bouwjaar in de straat is 1975. Het verblijfsobject heeft de volgende gebruiksdoelen: 'gezondheidszorgfunctie'.
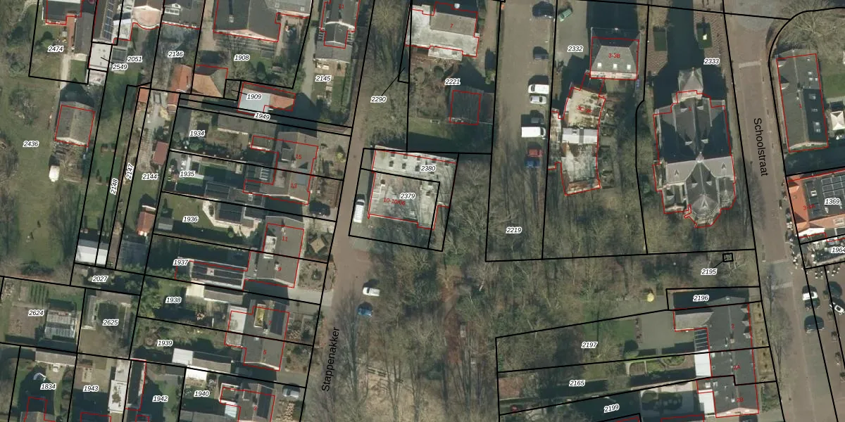
Het perceel waarop het adres ligt is GZE00-H-2379. De afkorting 'GZE00' staat voor kadastrale gemeente Gilze en Rijen. Het perceel is kleiner dan gemiddeld in Gilze en Rijen. Het perceel is 308 m² groot, terwijl het gemiddelde ligt op 4453,05 m². De grootste perceeloppervlakte in de kadastrale gemeente is 2,16 km². De kleinste oppervlakte bedraagt 0 m². Op het perceel zijn 5 adressen aanwezig. In de Basisregistratie Kadaster (BRK) werden de grenzen van het perceel geregistreerd op 14-04-2008.
Er is geen energielabel geregistreerd voor het adres. Het hoogste energielabel in de straat is C; het laagste is G. Het gemiddelde energielabel is er C. Het adres Stappenakker 10-05 heeft als status: 'verblijfsobject in gebruik'. Het pand waarin dit adres ligt heeft als status: 'pand in gebruik'.
Stappenakker 10-05 is een adres gelegen in de gemeente Gilze en Rijen, provincie Noord-Brabant. Dit adres is geregistreerd in de Basisregistratie Adressen en Gebouwen (BAG) met als unieke identificatie 0784010000015167.
Het pand op Stappenakker 10-05 is gebouwd in 1974, wat betekent dat het 52 jaar oud is. Dit is een ouder pand. Het pand heeft mogelijk aanzienlijke renovaties nodig om aan de huidige standaarden te voldoen.
De woning op Stappenakker 10-05 heeft een gebruiksoppervlakte van 45 m². Dit is relatief klein vergeleken met de gemiddelde Nederlandse woning, die een oppervlakte heeft van ongeveer 119 m². De gebruiksoppervlakte is de maat die wordt gebruikt in de BAG-registratie, de landelijke registratie van de Nederlandse overheid.
Stappenakker 10-05 heeft als functie: gezondheidszorg. Deze gebruiksfunctie(s) zijn vastgelegd in de BAG-registratie en geven aan waarvoor het adres officieel mag worden gebruikt.
Stappenakker 10-05 is gelegen op kadastraal perceel GZE00H2379. Deze kadastrale aanduiding is uniek en wordt gebruikt door het Kadaster om eigendomsrechten en andere zakelijke rechten vast te leggen. Het perceel maakt onderdeel uit van de kadastrale gemeente Gilze en Rijen.
Het perceel waarop Stappenakker 10-05 staat heeft een oppervlakte van 308 m². Dit is een groot perceel. De perceeloppervlakte wordt geregistreerd door het Kadaster. Gedetailleerde informatie over de maten van dit perceel kunt u vinden in het rapport Kadastrale kaart met maatvoering van Stappenakker 10-05.
De eigenaar van Stappenakker 10-05 is op te vragen op deze pagina.
De informatie over dit adres is afkomstig uit officiële overheidsregistraties, voornamelijk de Basisregistratie Adressen en Gebouwen (BAG) en de Basisregistratie Kadaster (BRK). Deze gegevens worden beheerd door respectievelijk gemeenten en het Kadaster, en worden regelmatig bijgewerkt. Energielabelgegevens komen uit de database van de Rijksdienst voor Ondernemend Nederland (RVO).
