
Heinsbergerweg 2 is gelegen in de plaats Montfort, de gemeente Roerdalen en de provincie Limburg. De oppervlakte bedraagt 327 m², waarmee het adres groter dan gemiddeld is. De grootte van het perceel waarop het adres ligt is 2620 m². Het object is klein ten opzichte van de andere adressen in de straat. Het grootste verblijfsobject is 1610 m² groot en het kleinste is 180 m². De meeste Nederlandse gebouwen zijn gebouwd in de periode 1965-1984. Zo ook het pand waarin Heinsbergerweg 2 ligt, dat gebouwd is in 1982. In de straat komt het nieuwste gebouw uit het jaar 2023 en het oudste uit 1980. Het bouwjaar van dit object is relatief oud. Voor het verblijfsobject gelden deze gebruiksdoelen: 'woonfunctie' en 'kantoorfunctie'.
Deze woning is voor het laatst verkocht op 1 februari 2019. Meer informatie over deze transactie? Bestel het Woningtransactierapport om de verkoopprijs en andere informatie te zien.
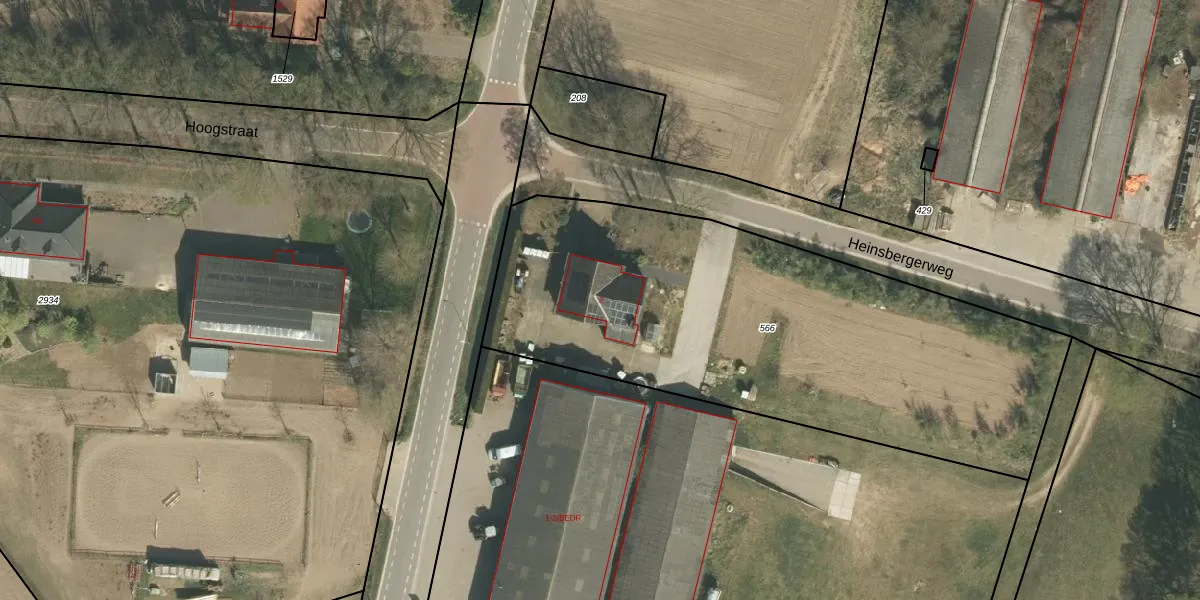
Het perceel waarop het adres ligt is MFT02-F-566. De afkorting 'MFT02' staat voor kadastrale gemeente Montfort. De gemiddelde perceelgrootte in Montfort is 3293,63 m². Dit perceel is kleiner: de perceeloppervlakte bedraagt 2620 m². De grootste perceeloppervlakte in de kadastrale gemeente is 69,8 ha. De kleinste oppervlakte bedraagt 0 m². Er zijn geen andere adressen aanwezig op het perceel. De laatste wijziging in het de Basisregistratie Kadaster (BRK) was op 23-04-2009.
Het adres ligt in een gebouw van het type 'vrijstaande woning'. Bij de laatste meting is voor het adres het energielabel C geregistreerd. Het hoogste energielabel in de straat is B; het laagste is G. Het gemiddelde energielabel is er B. Het adres Heinsbergerweg 2 heeft als status: 'verblijfsobject in gebruik'. Het pand waarin dit adres ligt heeft als status: 'pand in gebruik'.
Heinsbergerweg 2 is een adres gelegen in de gemeente Roerdalen, provincie Limburg. Dit adres is geregistreerd in de Basisregistratie Adressen en Gebouwen (BAG) met als unieke identificatie 1669010000226297.
Het pand op Heinsbergerweg 2 is gebouwd in 1982, wat betekent dat het 44 jaar oud is. Dit is een pand van middelbare leeftijd. Het pand is van gemiddelde leeftijd en zal waarschijnlijk verouderde elementen bevatten.
De woning op Heinsbergerweg 2 heeft een gebruiksoppervlakte van 327 m². Dit is ruim vergeleken met de gemiddelde Nederlandse woning, die een oppervlakte heeft van ongeveer 119 m². De gebruiksoppervlakte is de maat die wordt gebruikt in de BAG-registratie, de landelijke registratie van de Nederlandse overheid.
Heinsbergerweg 2 heeft als functie: wonen en kantoor. Deze gebruiksfunctie(s) zijn vastgelegd in de BAG-registratie en geven aan waarvoor het adres officieel mag worden gebruikt.
Heinsbergerweg 2 is gelegen op kadastraal perceel MFT02F566. Deze kadastrale aanduiding is uniek en wordt gebruikt door het Kadaster om eigendomsrechten en andere zakelijke rechten vast te leggen. Het perceel maakt onderdeel uit van de kadastrale gemeente Montfort.
Het perceel waarop Heinsbergerweg 2 staat heeft een oppervlakte van 2620 m². Dit is een zeer groot perceel. De perceeloppervlakte wordt geregistreerd door het Kadaster. Gedetailleerde informatie over de maten van dit perceel kunt u vinden in het rapport Kadastrale kaart met maatvoering van Heinsbergerweg 2.
De eigenaar van Heinsbergerweg 2 is op te vragen op deze pagina.
De informatie over dit adres is afkomstig uit officiële overheidsregistraties, voornamelijk de Basisregistratie Adressen en Gebouwen (BAG) en de Basisregistratie Kadaster (BRK). Deze gegevens worden beheerd door respectievelijk gemeenten en het Kadaster, en worden regelmatig bijgewerkt. Energielabelgegevens komen uit de database van de Rijksdienst voor Ondernemend Nederland (RVO).
