
Cuijksesteeg 32 is een adres in Mook, dat zich bevindt binnen de gemeentegrenzen van Mook en de grenzen van de provincie Limburg. Het perceel waarop het verblijfsobject staat is 5998 m² groot. De oppervlakte van het adres is 100 m², wat zich rond het Nederlandse gemiddelde van 119 m² bevindt. De oppervlakte van dit adres is groot vergeleken met de oppervlaktes van andere adressen in de straat. De kleinste oppervlakte bedraagt er 38 m², de grootste 1239 m². In het jaar 2024 is het pand waarin Cuijksesteeg 32 ligt gebouwd. Dat is relatief recent: de meeste gebouwen in Nederland zijn gebouwd in de periode 1965-1984. In de straat is dit het nieuwste pand en stamt het oudste object uit het jaar 1979. Het gemiddelde bouwjaar in de straat is 2023. Het verblijfsobject heeft de volgende gebruiksdoelen: 'woonfunctie'.
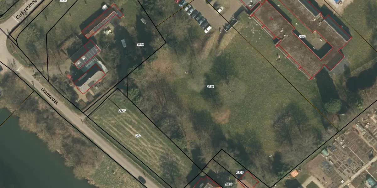
Het adres ligt op het perceel MOO00-C-2488, dat zich in de kadastrale gemeente Mook en Middelaar bevindt. De gemiddelde perceeloppervlakte in de kadastrale gemeente Mook en Middelaar is 3464,74 m². Dit perceel is met zijn 5998 m² dus groter dan gemiddeld. De grootste perceeloppervlakte in de kadastrale gemeente is 79,6 ha. De kleinste oppervlakte bedraagt 0 m². Op het perceel zijn 15 adressen aanwezig. De huidige grenzen van het perceel zijn digitaal in de Basisregistratie Kadaster (BRK) geregistreerd op 24-06-2025.
Er is geen energielabel geregistreerd voor het adres. Het hoogste energielabel in de straat is A; het laagste is G. Het gemiddelde energielabel is er A. Het adres Cuijksesteeg 32 heeft als status: 'verblijfsobject gevormd'. Het pand waarin dit adres ligt heeft als status: 'bouw gestart'.
Cuijksesteeg 32 is een adres gelegen in de gemeente Mook en Middelaar, provincie Limburg. Dit adres is geregistreerd in de Basisregistratie Adressen en Gebouwen (BAG) met als unieke identificatie 0944010000219299.
Het pand op Cuijksesteeg 32 is gebouwd in 2024, wat betekent dat het 2 jaar oud is. Dit is een vrij nieuw pand. Het pand is dus waarschijnlijk goed geïsoleerd, geluidsdicht en voldoet aan de huidige bouwstandaarden. Op korte termijn zijn er waarschijnlijk weinig onderhoudskosten.
De woning op Cuijksesteeg 32 heeft een gebruiksoppervlakte van 100 m². Dit is onder het gemiddelde vergeleken met de gemiddelde Nederlandse woning, die een oppervlakte heeft van ongeveer 119 m². De gebruiksoppervlakte is de maat die wordt gebruikt in de BAG-registratie, de landelijke registratie van de Nederlandse overheid.
Cuijksesteeg 32 heeft als functie: wonen. Deze gebruiksfunctie(s) zijn vastgelegd in de BAG-registratie en geven aan waarvoor het adres officieel mag worden gebruikt.
Cuijksesteeg 32 is gelegen op kadastraal perceel MOO00C2488. Deze kadastrale aanduiding is uniek en wordt gebruikt door het Kadaster om eigendomsrechten en andere zakelijke rechten vast te leggen. Het perceel maakt onderdeel uit van de kadastrale gemeente Mook en Middelaar.
Het perceel waarop Cuijksesteeg 32 staat heeft een oppervlakte van 5998 m². Dit is een zeer groot perceel. De perceeloppervlakte wordt geregistreerd door het Kadaster. Gedetailleerde informatie over de maten van dit perceel kunt u vinden in het rapport Kadastrale kaart met maatvoering van Cuijksesteeg 32.
De eigenaar van Cuijksesteeg 32 is op te vragen op deze pagina.
De informatie over dit adres is afkomstig uit officiële overheidsregistraties, voornamelijk de Basisregistratie Adressen en Gebouwen (BAG) en de Basisregistratie Kadaster (BRK). Deze gegevens worden beheerd door respectievelijk gemeenten en het Kadaster, en worden regelmatig bijgewerkt. Energielabelgegevens komen uit de database van de Rijksdienst voor Ondernemend Nederland (RVO).
