Product Functies Prijzen Meer

Adressen

Gebruik de zoekbalk of klik op een perceel voor informatie over de adressen binnen dit perceel.
Locatie
Meten
Lagen
Download

Ring 5

8308AL, Nagele

€ 1519312 Wat moet ik bieden voor deze woning?
323 m²
woonfunctie +1
652 m² perceeloppervlakte
?

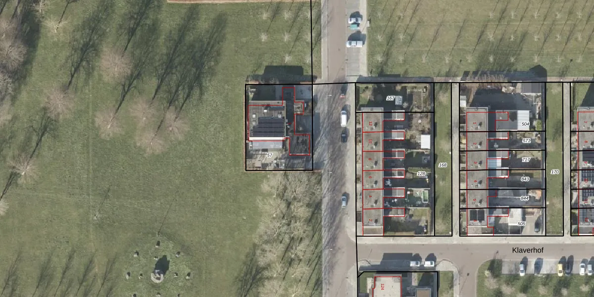
Ring 5 is gelegen in de plaats Nagele, de gemeente Noordoostpolder en de provincie Flevoland. Het object heeft een oppervlakte van 323 m², wat relatief groot is. Het perceel waarop het adres ligt is 652 m² groot. De oppervlakte van dit adres is groot vergeleken met de oppervlaktes van andere adressen in de straat. De kleinste oppervlakte bedraagt er 13 m², de grootste 1101 m². Het adres Ring 5 ligt in een relatief oud pand uit het jaar 1959. Panden van vóór het jaar 1965 hebben we hier geclassificeerd als oud. Het bouwjaar is oud vergeleken met dat van de andere panden in de straat. Het oudste bouwjaar is er 1954 en de nieuwste is 2023. Het verblijfsobject heeft de volgende gebruiksdoelen: 'woonfunctie' en 'logiesfunctie'.

Verkoopdata beschikbaar

Deze woning is voor het laatst verkocht op 1 februari 2018. Meer informatie over deze transactie? Bestel het Woningtransactierapport om de verkoopprijs en andere informatie te zien.

Perceel

Het adres ligt op het perceel NOP00-DZ-57, dat zich in de kadastrale gemeente Noordoostpolder bevindt. Het perceel is kleiner dan gemiddeld in Noordoostpolder. Het perceel is 652 m² groot, terwijl het gemiddelde ligt op 2,1 ha. De grootste perceeloppervlakte in de kadastrale gemeente is 47,42 km². De kleinste oppervlakte bedraagt 0 m². Dit is het enige adres dat aanwezig is op het perceel. De laatste wijziging in het de Basisregistratie Kadaster (BRK) was op 20-08-1997.

Energielabel en status

Er is geen energielabel geregistreerd voor het adres. Het hoogste energielabel in de straat is A+++; het laagste is G. Het gemiddelde energielabel is er B. Het adres Ring 5 heeft als status: 'verblijfsobject in gebruik'. Het pand waarin dit adres ligt heeft als status: 'pand in gebruik'.

Meer lezen

Adres

Gebruiksoppervlakte
323 m²
Bruto vloeroppervlakte
v5Ysh MXqZUy3wUpgrade naar KadastraleKaart Pro
Gebruiksdoel(en)
Woonfunctie, Logiesfunctie
Status
Verblijfsobject in gebruik
Type
Onbekend
Gasloos
Y AVxwJPNsUpgrade naar KadastraleKaart Pro
Gebeurtenissen
Appartementsrechten
90MLfOUkaDdjMzD Upgrade naar KadastraleKaart Pro
Eigenaar
Eigendomsinformatie 12,95
Adresinformatie bestellen
Adrespakket 34,95
VBO ID
0171010000031493
Woning laatst verkocht in
2018 -
Verkoopprijs opvragen 8,95

Pand

Bouwjaar pand
1959
Aantal adressen in dit gebouw
1 adres
Hoogte pand
BydiJbjIPomUpgrade naar KadastraleKaart Pro
Aantal bouwlagen (schatting)
62mn7mBiws2WetWUOjDebgUpgrade naar KadastraleKaart Pro
Volume
PZs HNLh HkUpgrade naar KadastraleKaart Pro
Oppervlakte dak
1b cZAMnZ O3iUpgrade naar KadastraleKaart Pro
Oppervlakte buitenmuur
YSWfuAx7sV3Upgrade naar KadastraleKaart Pro
Status pand
Pand in gebruik
Pand ID
0171100000003011

Perceel

Kadastrale aanduiding
Oppervlakte
652 m²
Maatvoering
Kadastrale kaart met maatvoering 59,95
Omtrek
103 meter
Datum laatst gewijzigd
20/08/1997
Aantal adressen op perceel
1
Hoogte boven N.A.P.
M arY70aU5lN6SmVpzlhDUpgrade naar KadastraleKaart Pro

Veelgestelde vragen

Ring 5 is een adres gelegen in de gemeente Noordoostpolder, provincie Flevoland. Dit adres is geregistreerd in de Basisregistratie Adressen en Gebouwen (BAG) met als unieke identificatie 0171010000031493.

Het pand op Ring 5 is gebouwd in 1959, wat betekent dat het 67 jaar oud is. Dit is een ouder pand. Het pand heeft mogelijk aanzienlijke renovaties nodig om aan de huidige standaarden te voldoen.

De woning op Ring 5 heeft een gebruiksoppervlakte van 323 m². Dit is ruim vergeleken met de gemiddelde Nederlandse woning, die een oppervlakte heeft van ongeveer 119 m². De gebruiksoppervlakte is de maat die wordt gebruikt in de BAG-registratie, de landelijke registratie van de Nederlandse overheid.

Ring 5 heeft als functie: wonen en logies/verblijf. Deze gebruiksfunctie(s) zijn vastgelegd in de BAG-registratie en geven aan waarvoor het adres officieel mag worden gebruikt.

Ring 5 is gelegen op kadastraal perceel NOP00DZ57. Deze kadastrale aanduiding is uniek en wordt gebruikt door het Kadaster om eigendomsrechten en andere zakelijke rechten vast te leggen. Het perceel maakt onderdeel uit van de kadastrale gemeente Noordoostpolder.

Het perceel waarop Ring 5 staat heeft een oppervlakte van 652 m². Dit is een groot perceel. De perceeloppervlakte wordt geregistreerd door het Kadaster. Gedetailleerde informatie over de maten van dit perceel kunt u vinden in het rapport Kadastrale kaart met maatvoering van Ring 5.

De eigenaar van Ring 5 is op te vragen op deze pagina

De informatie over dit adres is afkomstig uit officiële overheidsregistraties, voornamelijk de Basisregistratie Adressen en Gebouwen (BAG) en de Basisregistratie Kadaster (BRK). Deze gegevens worden beheerd door respectievelijk gemeenten en het Kadaster, en worden regelmatig bijgewerkt. Energielabelgegevens komen uit de database van de Rijksdienst voor Ondernemend Nederland (RVO).

Maatvoeringsrapport

Biedadvies

Loop uw droomhuis niet mis met ons biedadvies.
Loop uw droomhuis niet mis met ons biedadvies.
Maatvoeringsrapport

Bestel het adrespakket

Kom alles te weten over Ring 5 met het adrespakket.
Kom alles te weten over Ring 5 met het adrespakket.

360°-foto's van de omgeving

Google Street View
Upgrade nu voor 360° Street View foto's

Zon en schaduw rondom adres

Buurt
Nagele-woonkern
Inwoners: 1.130
Woningen: 496
Wijk
Wijk 07 Nagele
Inwoners: 1.960
Woningen: 832
Gemeente
Noordoostpolder
Inwoners: 50.035
Woningen: 20.498