
Kruisstraat 22 is een adres in Nederweert-Eind, dat zich bevindt binnen de gemeentegrenzen van Nederweert-Eind en de grenzen van de provincie Limburg. De oppervlakte van het verblijfsobject is met 225 m² aan de grote kant. Het perceel heeft een oppervlakte van 1995 m². Het object is klein ten opzichte van de andere adressen in de straat. Het grootste verblijfsobject is 5290 m² groot en het kleinste is 8 m². In Nederland komt het grootste deel van de gebouwen uit de periode 1965-1984. Ook het bouwjaar van Kruisstraat 22 is afkomstig uit die periode: het betreft namelijk een pand uit 1967. Het nieuwste gebouw in de straat komt uit 2025 en het oudste uit 1893. Dit object is relatief oud. Voor het verblijfsobject gelden deze gebruiksdoelen: 'woonfunctie'.
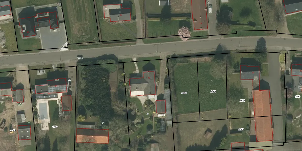
Het perceel waarop het adres ligt is NDW00-R-8. De afkorting 'NDW00' staat voor kadastrale gemeente Nederweert. De gemiddelde perceelgrootte in Nederweert is 7171,29 m². Dit perceel is kleiner: de perceeloppervlakte bedraagt 1995 m². Het grootste perceel in de kadastrale gemeente is 3,07 km². Het kleinste perceel heeft een oppervlakte van 0 m². Op het perceel bevinden zich geen andere adressen. De huidige grenzen van het perceel zijn digitaal in de Basisregistratie Kadaster (BRK) geregistreerd op 13-06-2012.
Er is geen energielabel geregistreerd voor het adres. Het hoogste energielabel in de straat is A++++; het laagste is G. Het gemiddelde energielabel is er B. Het adres Kruisstraat 22 heeft als status: 'verblijfsobject in gebruik'. Het pand waarin dit adres ligt heeft als status: 'pand in gebruik'.
Kruisstraat 22 is een adres gelegen in de gemeente Nederweert, provincie Limburg. Dit adres is geregistreerd in de Basisregistratie Adressen en Gebouwen (BAG) met als unieke identificatie 0946010000220093.
Het pand op Kruisstraat 22 is gebouwd in 1967, wat betekent dat het 59 jaar oud is. Dit is een ouder pand. Het pand heeft mogelijk aanzienlijke renovaties nodig om aan de huidige standaarden te voldoen.
De woning op Kruisstraat 22 heeft een gebruiksoppervlakte van 225 m². Dit is ruim vergeleken met de gemiddelde Nederlandse woning, die een oppervlakte heeft van ongeveer 119 m². De gebruiksoppervlakte is de maat die wordt gebruikt in de BAG-registratie, de landelijke registratie van de Nederlandse overheid.
Kruisstraat 22 heeft als functie: wonen. Deze gebruiksfunctie(s) zijn vastgelegd in de BAG-registratie en geven aan waarvoor het adres officieel mag worden gebruikt.
Kruisstraat 22 is gelegen op kadastraal perceel NDW00R8. Deze kadastrale aanduiding is uniek en wordt gebruikt door het Kadaster om eigendomsrechten en andere zakelijke rechten vast te leggen. Het perceel maakt onderdeel uit van de kadastrale gemeente Nederweert.
Het perceel waarop Kruisstraat 22 staat heeft een oppervlakte van 1995 m². Dit is een zeer groot perceel. De perceeloppervlakte wordt geregistreerd door het Kadaster. Gedetailleerde informatie over de maten van dit perceel kunt u vinden in het rapport Kadastrale kaart met maatvoering van Kruisstraat 22.
De eigenaar van Kruisstraat 22 is op te vragen op deze pagina.
De informatie over dit adres is afkomstig uit officiële overheidsregistraties, voornamelijk de Basisregistratie Adressen en Gebouwen (BAG) en de Basisregistratie Kadaster (BRK). Deze gegevens worden beheerd door respectievelijk gemeenten en het Kadaster, en worden regelmatig bijgewerkt. Energielabelgegevens komen uit de database van de Rijksdienst voor Ondernemend Nederland (RVO).
