Adressen

Gebruik de zoekbalk of klik op een perceel voor informatie over de adressen binnen dit perceel.
Locatie
Meten
Lagen
Download

Winnerstraat 24

6031NL, Nederweert

1519312 Wat moet ik bieden voor deze woning?
247 m²
woonfunctie
1.915 m² perceeloppervlakte
?

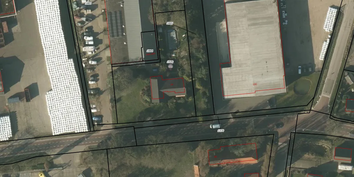
Winnerstraat 24 is een adres in Nederweert, dat zich bevindt binnen de gemeentegrenzen van Nederweert en de grenzen van de provincie Limburg. De oppervlakte van het verblijfsobject is met 247 m² aan de grote kant. Het perceel heeft een oppervlakte van 1915 m². Het object is klein ten opzichte van de andere adressen in de straat. Het grootste verblijfsobject is 3601 m² groot en het kleinste is 8 m². De gemiddelde bouwperiode van gebouwen in Nederland ligt tussen de jaren 1965-1984. Dat geldt ook voor het bouwjaar van Winnerstraat 24: het is gebouwd in het jaar 1972. Het nieuwste gebouw in de straat komt uit 2024 en het oudste uit 1700. Dit object is relatief oud. De volgende gebruiksdoelen zijn geregistreerd voor dit adres: 'woonfunctie'.

Perceel

Het perceel waarop het adres ligt is NDW00-M-1506. De afkorting 'NDW00' staat voor kadastrale gemeente Nederweert. Het perceel is 1915 m² groot. Dat is kleiner dan de gemiddelde perceeloppervlakte in Nederweert, dat op 7177,86 m² ligt. Het kleinste perceel in de kadastrale gemeente is 0 m² groot. De grootste perceeloppervlakte is 3,07 km². Op het perceel bevinden zich geen andere adressen. De huidige grenzen van het perceel zijn digitaal in de Basisregistratie Kadaster (BRK) geregistreerd op 10-02-2010.

Energielabel en status

Er is geen energielabel geregistreerd voor het adres. Het hoogste energielabel in de straat is A+++; het laagste is G. Het gemiddelde energielabel is er C. Het adres Winnerstraat 24 heeft als status: 'verblijfsobject in gebruik'. Het pand waarin dit adres ligt heeft als status: 'pand in gebruik'.

Meer lezen

Adres

Gebruiksoppervlakte
247 m²
Bruto vloeroppervlakte
qpTzLTtVxZUpgrade naar KadastraleKaart Pro
Gebruiksdoel(en)
Woonfunctie
Status
Verblijfsobject in gebruik
Type
Onbekend
Gasloos
94BJKsUU QUpgrade naar KadastraleKaart Pro
Gebeurtenissen
Appartementsrechten
dU6iMsSdDS9Upgrade naar KadastraleKaart Pro
Eigenaar
Eigendomsinformatie 12,95
Adresinformatie bestellen
Adrespakket 34,95
VBO ID
0946010000227993

Pand

Bouwjaar pand
1972
Aantal adressen in dit gebouw
1 adres
Hoogte pand
uCEBPkL7kdnujQ16QEjD98gUpgrade naar KadastraleKaart Pro
Aantal bouwlagen (schatting)
r5vm8f kbTi UWbd8R5Upgrade naar KadastraleKaart Pro
Volume
gD9vHlz37t gNjqGxmkAgpKUpgrade naar KadastraleKaart Pro
Oppervlakte dak
Ykdxp LNKWZe 4FFR4hdg Upgrade naar KadastraleKaart Pro
Oppervlakte buitenmuur
y0 pu 4nTqH1a0gUpgrade naar KadastraleKaart Pro
Status pand
Pand in gebruik
Pand ID
0946100000202892

Perceel Toon alle percelen   Pro

Kadastrale aanduiding
Nederweert M 1506 (NDW00 M 1506)
Oppervlakte
1.915 m²
Maatvoering
Kadastrale kaart met maatvoering 59,95
Omtrek
210 meter
Datum laatst gewijzigd
10/02/2010
Aantal adressen op perceel
1
Hoogte boven N.A.P.
2EtqwI I BGcqzF4w t oeuUpgrade naar KadastraleKaart Pro

Veelgestelde vragen

Winnerstraat 24 is een adres gelegen in de gemeente Nederweert, provincie Limburg. Dit adres is geregistreerd in de Basisregistratie Adressen en Gebouwen (BAG) met als unieke identificatie 0946010000227993.

Het pand op Winnerstraat 24 is gebouwd in 1972, wat betekent dat het 54 jaar oud is. Dit is een ouder pand. Het pand heeft mogelijk aanzienlijke renovaties nodig om aan de huidige standaarden te voldoen.

De woning op Winnerstraat 24 heeft een gebruiksoppervlakte van 247 m². Dit is ruim vergeleken met de gemiddelde Nederlandse woning, die een oppervlakte heeft van ongeveer 119 m². De gebruiksoppervlakte is de maat die wordt gebruikt in de BAG-registratie, de landelijke registratie van de Nederlandse overheid.

Winnerstraat 24 heeft als functie: wonen. Deze gebruiksfunctie(s) zijn vastgelegd in de BAG-registratie en geven aan waarvoor het adres officieel mag worden gebruikt.

Winnerstraat 24 is gelegen op kadastraal perceel NDW00M1506. Deze kadastrale aanduiding is uniek en wordt gebruikt door het Kadaster om eigendomsrechten en andere zakelijke rechten vast te leggen. Het perceel maakt onderdeel uit van de kadastrale gemeente Nederweert.

Het perceel waarop Winnerstraat 24 staat heeft een oppervlakte van 1915 m². Dit is een zeer groot perceel. De perceeloppervlakte wordt geregistreerd door het Kadaster. Gedetailleerde informatie over de maten van dit perceel kunt u vinden in het rapport Kadastrale kaart met maatvoering van Winnerstraat 24.

De eigenaar van Winnerstraat 24 is op te vragen op deze pagina

De informatie over dit adres is afkomstig uit officiële overheidsregistraties, voornamelijk de Basisregistratie Adressen en Gebouwen (BAG) en de Basisregistratie Kadaster (BRK). Deze gegevens worden beheerd door respectievelijk gemeenten en het Kadaster, en worden regelmatig bijgewerkt. Energielabelgegevens komen uit de database van de Rijksdienst voor Ondernemend Nederland (RVO).

Maatvoeringsrapport

Biedadvies

Loop uw droomhuis niet mis met ons biedadvies.
Loop uw droomhuis niet mis met ons biedadvies.
Maatvoeringsrapport

Bestel het adrespakket

Kom alles te weten over Winnerstraat 24 met het adrespakket.
Kom alles te weten over Winnerstraat 24 met het adrespakket.

360°-foto's van de omgeving

Google Street View
Upgrade nu voor 360° Street View foto's

Zon en schaduw rondom adres

Buurt
Winnerstraat-Eindhovensebaan
Inwoners: 245
Woningen: 89
Wijk
Wijk 02 Budschop
Inwoners: 2.000
Woningen: 875
Gemeente
Nederweert
Inwoners: 17.492
Woningen: 7.589