
Moostdijk 50 is gelegen in de plaats Neerkant, de gemeente Deurne en de provincie Noord-Brabant. De oppervlakte van het verblijfsobject is met 229 m² aan de grote kant. Het perceel heeft een oppervlakte van 2800 m². Het object is klein ten opzichte van de andere adressen in de straat. Het grootste verblijfsobject is 587 m² groot en het kleinste is 5 m². Het gebouw waarin Moostdijk 50 ligt komt uit het jaar 1963. Objecten die gebouwd zijn vóór 1965 classificeren we hier als oud. Het nieuwste gebouw in de straat komt uit 2025 en het oudste uit 1890. Dit object is relatief oud. Voor het verblijfsobject gelden deze gebruiksdoelen: 'woonfunctie'.
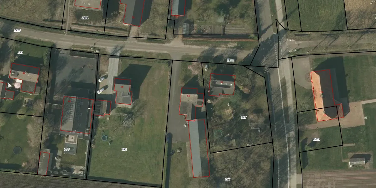
Het perceel waarop het adres ligt is DNE00-U-248. De afkorting 'DNE00' staat voor kadastrale gemeente Deurne. De gemiddelde perceelgrootte in Deurne is 5807,73 m². Dit perceel is kleiner: de perceeloppervlakte bedraagt 2800 m². Het kleinste perceel in de kadastrale gemeente is 0 m² groot. De grootste perceeloppervlakte is 3,71 km². Op het perceel bevinden zich geen andere adressen. De laatste wijziging in het de Basisregistratie Kadaster (BRK) was op 16-09-2022.
Er is geen energielabel geregistreerd voor het adres. Het hoogste energielabel in de straat is A; het laagste is G. Het gemiddelde energielabel is er C. Het adres Moostdijk 50 heeft als status: 'verblijfsobject in gebruik'. Het pand waarin dit adres ligt heeft als status: 'pand in gebruik'.
Moostdijk 50 is een adres gelegen in de gemeente Deurne, provincie Noord-Brabant. Dit adres is geregistreerd in de Basisregistratie Adressen en Gebouwen (BAG) met als unieke identificatie 0762010000008475.
Het pand op Moostdijk 50 is gebouwd in 1963, wat betekent dat het 63 jaar oud is. Dit is een ouder pand. Het pand heeft mogelijk aanzienlijke renovaties nodig om aan de huidige standaarden te voldoen.
De woning op Moostdijk 50 heeft een gebruiksoppervlakte van 229 m². Dit is ruim vergeleken met de gemiddelde Nederlandse woning, die een oppervlakte heeft van ongeveer 119 m². De gebruiksoppervlakte is de maat die wordt gebruikt in de BAG-registratie, de landelijke registratie van de Nederlandse overheid.
Moostdijk 50 heeft als functie: wonen. Deze gebruiksfunctie(s) zijn vastgelegd in de BAG-registratie en geven aan waarvoor het adres officieel mag worden gebruikt.
Moostdijk 50 is gelegen op kadastraal perceel DNE00U248. Deze kadastrale aanduiding is uniek en wordt gebruikt door het Kadaster om eigendomsrechten en andere zakelijke rechten vast te leggen. Het perceel maakt onderdeel uit van de kadastrale gemeente Deurne.
Het perceel waarop Moostdijk 50 staat heeft een oppervlakte van 2800 m². Dit is een zeer groot perceel. De perceeloppervlakte wordt geregistreerd door het Kadaster. Gedetailleerde informatie over de maten van dit perceel kunt u vinden in het rapport Kadastrale kaart met maatvoering van Moostdijk 50.
De eigenaar van Moostdijk 50 is op te vragen op deze pagina.
De informatie over dit adres is afkomstig uit officiële overheidsregistraties, voornamelijk de Basisregistratie Adressen en Gebouwen (BAG) en de Basisregistratie Kadaster (BRK). Deze gegevens worden beheerd door respectievelijk gemeenten en het Kadaster, en worden regelmatig bijgewerkt. Energielabelgegevens komen uit de database van de Rijksdienst voor Ondernemend Nederland (RVO).
