
Het adres de Kamp 1-H bevindt zich in de plaats Netterden, in de gemeente Netterden en de provincie Gelderland. De oppervlakte van het adres is 105 m². Dat is vergelijkbaar met het gemiddelde Nederlandse oppervlakte van 119 m². De oppervlakte van het perceel waarin het adres ligt is 5926 m². Het adres is klein vergeleken met andere objecten in de straat. Het grootste object in de straat heeft een oppervlakte van 306 m², het kleinste is 81 m² groot. de Kamp 1-H ligt in een gebouw uit het jaar 2025. Daarmee behoort het tot de groep panden van na 1984, die we als relatief nieuw bestempelen. Dit pand is het meest recent exemplaar in de straat. Het oudste object komt er uit 2011 en het gemiddelde bouwjaar is 2023. Voor het verblijfsobject gelden deze gebruiksdoelen: 'woonfunctie'.
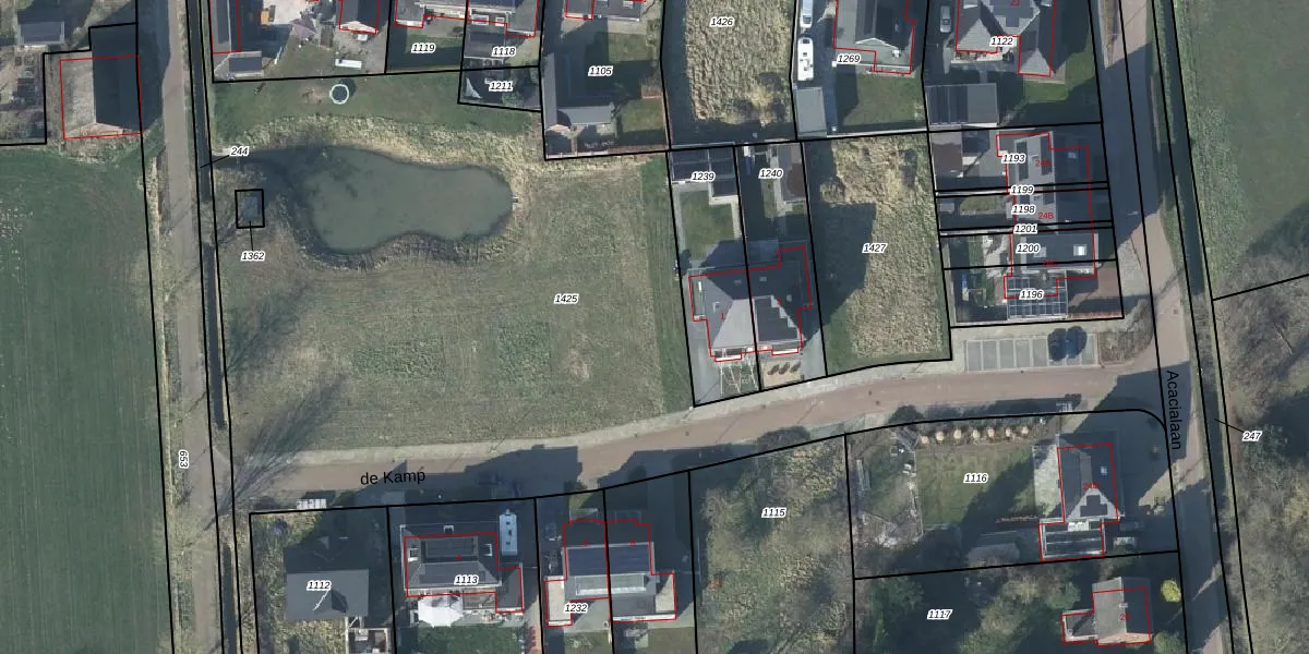
Het adres ligt op het perceel GDG00-H-1425, dat zich in de kadastrale gemeente Gendringen bevindt. Het perceel is met 5926 m² relatief groot. Het gemiddelde ligt in de kadastrale gemeente Gendringen op 4810,11 m². Het grootste perceel in de kadastrale gemeente is 43,7 ha. Het kleinste perceel heeft een oppervlakte van 0 m². Op het perceel liggen in totaal 8 adressen. In de Basisregistratie Kadaster (BRK) werden de grenzen van het perceel geregistreerd op 06-10-2025.
Er is geen energielabel geregistreerd voor het adres. Het hoogste energielabel in de straat is A; het laagste is G. Het gemiddelde energielabel is er A. Het adres de Kamp 1-H heeft als status: 'verblijfsobject gevormd'. Het pand waarin dit adres ligt heeft als status: 'bouwvergunning verleend'.
de Kamp 1-H is een adres gelegen in de gemeente Oude IJsselstreek, provincie Gelderland. Dit adres is geregistreerd in de Basisregistratie Adressen en Gebouwen (BAG) met als unieke identificatie 1509010000577881.
Het pand op de Kamp 1-H is gebouwd in 2025, wat betekent dat het 1 jaar oud is. Dit is een vrij nieuw pand. Het pand is dus waarschijnlijk goed geïsoleerd, geluidsdicht en voldoet aan de huidige bouwstandaarden. Op korte termijn zijn er waarschijnlijk weinig onderhoudskosten.
De woning op de Kamp 1-H heeft een gebruiksoppervlakte van 105 m². Dit is onder het gemiddelde vergeleken met de gemiddelde Nederlandse woning, die een oppervlakte heeft van ongeveer 119 m². De gebruiksoppervlakte is de maat die wordt gebruikt in de BAG-registratie, de landelijke registratie van de Nederlandse overheid.
de Kamp 1-H heeft als functie: wonen. Deze gebruiksfunctie(s) zijn vastgelegd in de BAG-registratie en geven aan waarvoor het adres officieel mag worden gebruikt.
de Kamp 1-H is gelegen op kadastraal perceel GDG00H1425. Deze kadastrale aanduiding is uniek en wordt gebruikt door het Kadaster om eigendomsrechten en andere zakelijke rechten vast te leggen. Het perceel maakt onderdeel uit van de kadastrale gemeente Gendringen.
Het perceel waarop de Kamp 1-H staat heeft een oppervlakte van 5926 m². Dit is een zeer groot perceel. De perceeloppervlakte wordt geregistreerd door het Kadaster. Gedetailleerde informatie over de maten van dit perceel kunt u vinden in het rapport Kadastrale kaart met maatvoering van de Kamp 1-H.
De eigenaar van de Kamp 1-H is op te vragen op deze pagina.
De informatie over dit adres is afkomstig uit officiële overheidsregistraties, voornamelijk de Basisregistratie Adressen en Gebouwen (BAG) en de Basisregistratie Kadaster (BRK). Deze gegevens worden beheerd door respectievelijk gemeenten en het Kadaster, en worden regelmatig bijgewerkt. Energielabelgegevens komen uit de database van de Rijksdienst voor Ondernemend Nederland (RVO).
