
Archipelhof 23 is gelegen in de plaats Nijmegen, de gemeente Nijmegen en de provincie Gelderland. Het verblijfsobject is vergeleken met het Nederlandse gemiddelde aan de kleine kant: de oppervlakte is 40 m². Het perceel waarop het adres zich bevindt heeft een oppervlakte van 3310 m². De oppervlakte van het adres is klein vergeleken met de andere objecten in de straat. De oppervlakte van het kleinste object in de straat bedraagt 35 m², terwijl het grootste object 57 m² groot is. In Nederland komt het grootste deel van de gebouwen uit de periode 1965-1984. Ook het bouwjaar van Archipelhof 23 is afkomstig uit die periode: het betreft namelijk een pand uit 1983. Dit pand is het meest recent exemplaar in de straat. Het oudste object komt er uit 1983 en het gemiddelde bouwjaar is 1983. Voor het verblijfsobject gelden deze gebruiksdoelen: 'woonfunctie'.
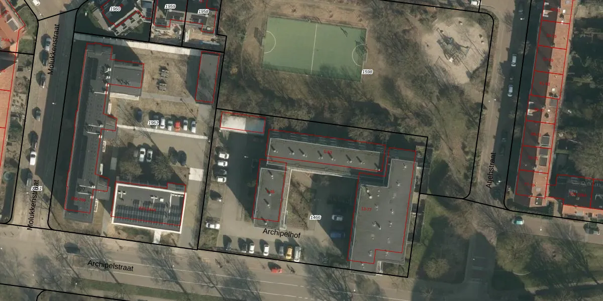
Het adres is gelegen op perceel 1466 in de sectie G en de kadastrale gemeente Hatert. De kadastrale aanduiding is aldus HTT02-G-1466. Het perceel is met 3310 m² relatief groot. Het gemiddelde ligt in de kadastrale gemeente Hatert op 909,01 m². Het grootste perceel in de kadastrale gemeente is 66,9 ha. Het kleinste perceel heeft een oppervlakte van 0 m². Op het perceel liggen in totaal 67 adressen. De laatste wijziging in het de Basisregistratie Kadaster (BRK) was op 17-07-2002.
Het adres ligt in een gebouw van het type 'appartement met het subtype tussenmidden'. Bij de laatste meting is voor het adres het energielabel B geregistreerd. Het hoogste energielabel in de straat is A; het laagste is G. Het gemiddelde energielabel is er C. Het adres Archipelhof 23 heeft als status: 'verblijfsobject in gebruik'. Het pand waarin dit adres ligt heeft als status: 'pand in gebruik'.
Archipelhof 23 is een adres gelegen in de gemeente Nijmegen, provincie Gelderland. Dit adres is geregistreerd in de Basisregistratie Adressen en Gebouwen (BAG) met als unieke identificatie 0268010000074973.
Het pand op Archipelhof 23 is gebouwd in 1983, wat betekent dat het 43 jaar oud is. Dit is een pand van middelbare leeftijd. Het pand is van gemiddelde leeftijd en zal waarschijnlijk verouderde elementen bevatten.
De woning op Archipelhof 23 heeft een gebruiksoppervlakte van 40 m². Dit is relatief klein vergeleken met de gemiddelde Nederlandse woning, die een oppervlakte heeft van ongeveer 119 m². De gebruiksoppervlakte is de maat die wordt gebruikt in de BAG-registratie, de landelijke registratie van de Nederlandse overheid.
Archipelhof 23 heeft als functie: wonen. Deze gebruiksfunctie(s) zijn vastgelegd in de BAG-registratie en geven aan waarvoor het adres officieel mag worden gebruikt.
Archipelhof 23 is gelegen op kadastraal perceel HTT02G1466. Deze kadastrale aanduiding is uniek en wordt gebruikt door het Kadaster om eigendomsrechten en andere zakelijke rechten vast te leggen. Het perceel maakt onderdeel uit van de kadastrale gemeente Hatert.
Het perceel waarop Archipelhof 23 staat heeft een oppervlakte van 3310 m². Dit is een zeer groot perceel. De perceeloppervlakte wordt geregistreerd door het Kadaster. Gedetailleerde informatie over de maten van dit perceel kunt u vinden in het rapport Kadastrale kaart met maatvoering van Archipelhof 23.
De eigenaar van Archipelhof 23 is op te vragen op deze pagina.
De informatie over dit adres is afkomstig uit officiële overheidsregistraties, voornamelijk de Basisregistratie Adressen en Gebouwen (BAG) en de Basisregistratie Kadaster (BRK). Deze gegevens worden beheerd door respectievelijk gemeenten en het Kadaster, en worden regelmatig bijgewerkt. Energielabelgegevens komen uit de database van de Rijksdienst voor Ondernemend Nederland (RVO).
