
Het adres Heideparkseweg 201 bevindt zich in de plaats Nijmegen, in de gemeente Nijmegen en de provincie Gelderland. De oppervlakte bedraagt 284 m², waarmee het adres groter dan gemiddeld is. De grootte van het perceel waarop het adres ligt is 1195 m². De oppervlakte van dit adres is groot vergeleken met de oppervlaktes van andere adressen in de straat. De kleinste oppervlakte bedraagt er 13 m², de grootste 323 m². Het adres Heideparkseweg 201 ligt in een relatief oud pand uit het jaar 1850. Panden van vóór het jaar 1965 hebben we hier geclassificeerd als oud. In de straat komt het nieuwste gebouw uit het jaar 2006 en het oudste uit 1849. Het bouwjaar van dit object is relatief oud. De volgende gebruiksdoelen zijn geregistreerd voor dit adres: 'woonfunctie'.
Deze woning is voor het laatst verkocht op 1 februari 2020. Meer informatie over deze transactie? Bestel het Woningtransactierapport om de verkoopprijs en andere informatie te zien.
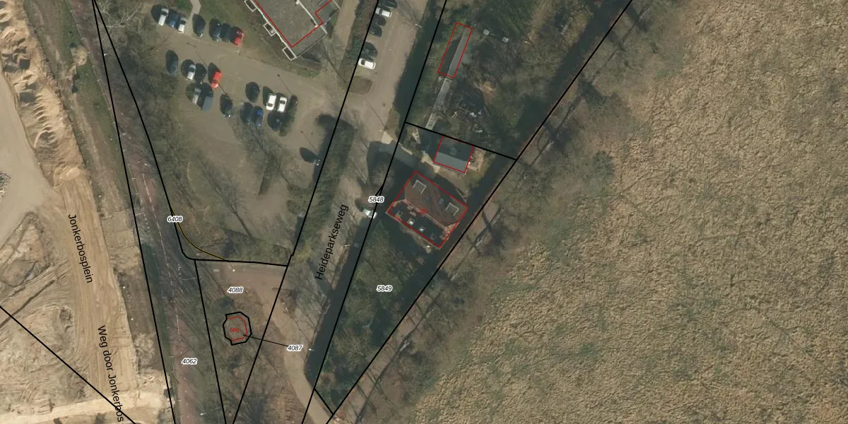
Het adres ligt op het perceel HTT02-M-5849, dat zich in de kadastrale gemeente Hatert bevindt. De oppervlakte van het perceel is 1195 m². Dat is groter dan gemiddeld in Hatert, waar de gemiddelde perceeloppervlakte op 909,05 m² ligt. De grootste perceeloppervlakte in de kadastrale gemeente is 66,9 ha. De kleinste oppervlakte bedraagt 0 m². Er zijn geen andere adressen aanwezig op het perceel. In de Basisregistratie Kadaster (BRK) werden de grenzen van het perceel geregistreerd op 19-01-2016.
Het adres ligt in een gebouw van het type 'vrijstaande woning'. Bij de laatste meting is voor het adres het energielabel C geregistreerd. Het hoogste energielabel in de straat is A; het laagste is G. Het gemiddelde energielabel is er A. Het adres Heideparkseweg 201 heeft als status: 'verblijfsobject in gebruik'. Het pand waarin dit adres ligt heeft als status: 'pand in gebruik'.
Heideparkseweg 201 is een adres gelegen in de gemeente Nijmegen, provincie Gelderland. Dit adres is geregistreerd in de Basisregistratie Adressen en Gebouwen (BAG) met als unieke identificatie 0268010000045942.
Het pand op Heideparkseweg 201 is gebouwd in 1850, wat betekent dat het 176 jaar oud is. Dit is een ouder pand. Het pand heeft mogelijk aanzienlijke renovaties nodig om aan de huidige standaarden te voldoen.
De woning op Heideparkseweg 201 heeft een gebruiksoppervlakte van 284 m². Dit is ruim vergeleken met de gemiddelde Nederlandse woning, die een oppervlakte heeft van ongeveer 119 m². De gebruiksoppervlakte is de maat die wordt gebruikt in de BAG-registratie, de landelijke registratie van de Nederlandse overheid.
Heideparkseweg 201 heeft als functie: wonen. Deze gebruiksfunctie(s) zijn vastgelegd in de BAG-registratie en geven aan waarvoor het adres officieel mag worden gebruikt.
Heideparkseweg 201 is gelegen op kadastraal perceel HTT02M5849. Deze kadastrale aanduiding is uniek en wordt gebruikt door het Kadaster om eigendomsrechten en andere zakelijke rechten vast te leggen. Het perceel maakt onderdeel uit van de kadastrale gemeente Hatert.
Het perceel waarop Heideparkseweg 201 staat heeft een oppervlakte van 1195 m². Dit is een zeer groot perceel. De perceeloppervlakte wordt geregistreerd door het Kadaster. Gedetailleerde informatie over de maten van dit perceel kunt u vinden in het rapport Kadastrale kaart met maatvoering van Heideparkseweg 201.
De eigenaar van Heideparkseweg 201 is op te vragen op deze pagina.
De informatie over dit adres is afkomstig uit officiële overheidsregistraties, voornamelijk de Basisregistratie Adressen en Gebouwen (BAG) en de Basisregistratie Kadaster (BRK). Deze gegevens worden beheerd door respectievelijk gemeenten en het Kadaster, en worden regelmatig bijgewerkt. Energielabelgegevens komen uit de database van de Rijksdienst voor Ondernemend Nederland (RVO).
