
Het adres Van Haapsstraat 96 bevindt zich in de plaats Nijmegen, in de gemeente Nijmegen en de provincie Gelderland. De oppervlakte van het verblijfsobject is met 274 m² aan de grote kant. Het perceel heeft een oppervlakte van 1100 m². In vergelijking met de andere adressen in de straat is de oppervlakte van dit object relatief groot. Het grootste verblijfsobject heeft een oppervlakte van 696 m², de oppervlakte van het kleinste object bedraagt 17 m². De meeste Nederlandse gebouwen zijn gebouwd in de periode 1965-1984. Zo ook het pand waarin Van Haapsstraat 96 ligt, dat gebouwd is in 1967. Dit object is relatief nieuw in de straat. Het nieuwste gebouw komt er uit het jaar 1969 en het oudste uit het jaar 1939. De volgende gebruiksdoelen zijn geregistreerd voor dit adres: 'woonfunctie'.
Deze woning is voor het laatst verkocht op 1 april 2015. Meer informatie over deze transactie? Bestel het Woningtransactierapport om de verkoopprijs en andere informatie te zien.
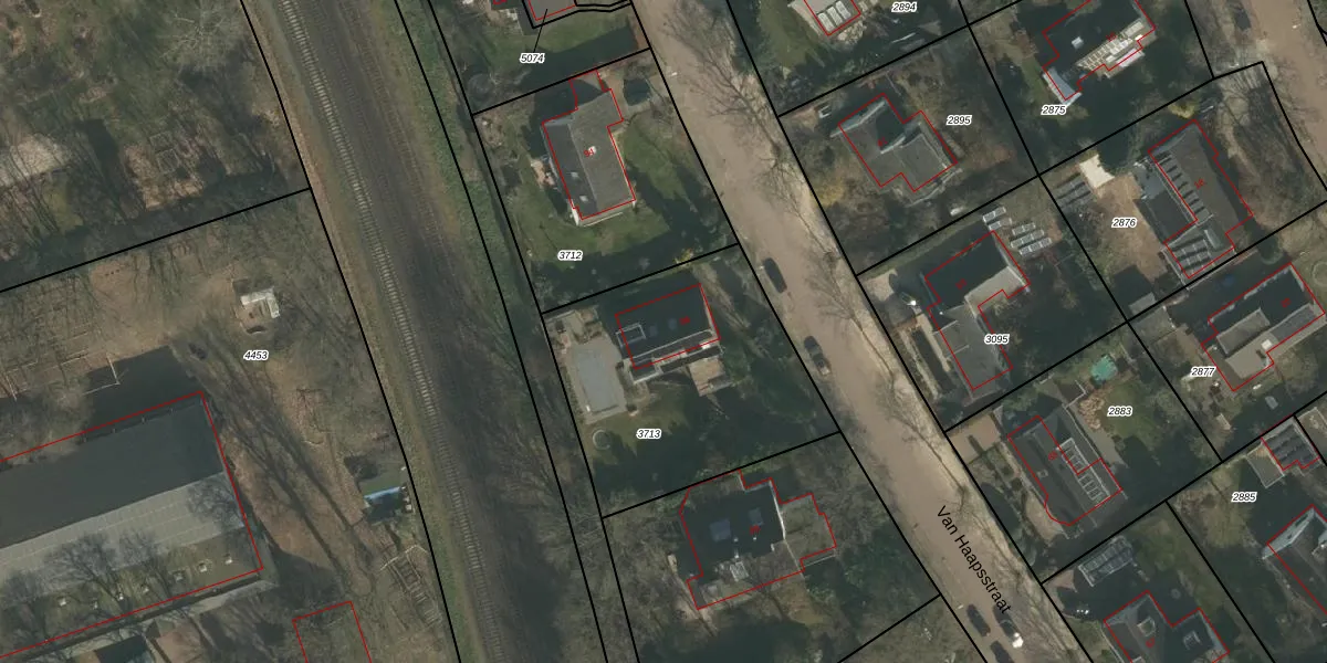
Het perceel waarop het adres ligt is HTT02-B-3713. De afkorting 'HTT02' staat voor kadastrale gemeente Hatert. De oppervlakte van het perceel is 1100 m². Dat is groter dan gemiddeld in Hatert, waar de gemiddelde perceeloppervlakte op 909,08 m² ligt. De grootste perceeloppervlakte in de kadastrale gemeente is 66,9 ha. De kleinste oppervlakte bedraagt 0 m². Op het perceel bevinden zich geen andere adressen. In de Basisregistratie Kadaster (BRK) werden de grenzen van het perceel geregistreerd op 24-01-2007.
Het adres ligt in een gebouw van het type 'vrijstaande woning'. Bij de laatste meting is voor het adres het energielabel A+ geregistreerd. Het hoogste energielabel in de straat is A++++; het laagste is G. Het gemiddelde energielabel is er C. Het adres Van Haapsstraat 96 heeft als status: 'verblijfsobject in gebruik'. Het pand waarin dit adres ligt heeft als status: 'pand in gebruik'.
Van Haapsstraat 96 is een adres gelegen in de gemeente Nijmegen, provincie Gelderland. Dit adres is geregistreerd in de Basisregistratie Adressen en Gebouwen (BAG) met als unieke identificatie 0268010000072193.
Het pand op Van Haapsstraat 96 is gebouwd in 1967, wat betekent dat het 59 jaar oud is. Dit is een ouder pand. Het pand heeft mogelijk aanzienlijke renovaties nodig om aan de huidige standaarden te voldoen.
De woning op Van Haapsstraat 96 heeft een gebruiksoppervlakte van 274 m². Dit is ruim vergeleken met de gemiddelde Nederlandse woning, die een oppervlakte heeft van ongeveer 119 m². De gebruiksoppervlakte is de maat die wordt gebruikt in de BAG-registratie, de landelijke registratie van de Nederlandse overheid.
Van Haapsstraat 96 heeft als functie: wonen. Deze gebruiksfunctie(s) zijn vastgelegd in de BAG-registratie en geven aan waarvoor het adres officieel mag worden gebruikt.
Van Haapsstraat 96 is gelegen op kadastraal perceel HTT02B3713. Deze kadastrale aanduiding is uniek en wordt gebruikt door het Kadaster om eigendomsrechten en andere zakelijke rechten vast te leggen. Het perceel maakt onderdeel uit van de kadastrale gemeente Hatert.
Het perceel waarop Van Haapsstraat 96 staat heeft een oppervlakte van 1100 m². Dit is een zeer groot perceel. De perceeloppervlakte wordt geregistreerd door het Kadaster. Gedetailleerde informatie over de maten van dit perceel kunt u vinden in het rapport Kadastrale kaart met maatvoering van Van Haapsstraat 96.
De eigenaar van Van Haapsstraat 96 is op te vragen op deze pagina.
De informatie over dit adres is afkomstig uit officiële overheidsregistraties, voornamelijk de Basisregistratie Adressen en Gebouwen (BAG) en de Basisregistratie Kadaster (BRK). Deze gegevens worden beheerd door respectievelijk gemeenten en het Kadaster, en worden regelmatig bijgewerkt. Energielabelgegevens komen uit de database van de Rijksdienst voor Ondernemend Nederland (RVO).
