
Hoge Dijkje 4-a is gelegen in de plaats Nijverdal, de gemeente Hellendoorn en de provincie Overijssel. De oppervlakte van het verblijfsobject is met 300 m² aan de grote kant. Het perceel heeft een oppervlakte van 3,8 ha. Vergeleken met de andere verblijfsobjecten in de straat is dit object groot. De oppervlakte van het grootste object in de straat is 1558 m², die van het kleinste bedraagt 43 m². Het adres Hoge Dijkje 4-a ligt in een relatief oud pand uit het jaar 1854. Panden van vóór het jaar 1965 hebben we hier geclassificeerd als oud. Gemiddeld zijn de gebouwen in de straat gebouwd in 1977. Dit is het oudste pand in de straat. Het meest recente komt uit het jaar 2020. Het verblijfsobject heeft de volgende gebruiksdoelen: 'bijeenkomstfunctie'.
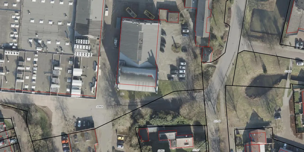
Het adres is gelegen op perceel 10464 in de sectie C en de kadastrale gemeente Hellendoorn. De kadastrale aanduiding is aldus HLD01-C-10464. De gemiddelde perceeloppervlakte in de kadastrale gemeente Hellendoorn is 5688,52 m². Dit perceel is met zijn 3,8 ha dus groter dan gemiddeld. De grootste perceeloppervlakte in de kadastrale gemeente is 3,02 km². De kleinste oppervlakte bedraagt 0 m². Op het perceel liggen in totaal 3 adressen. De laatste wijziging in het de Basisregistratie Kadaster (BRK) was op 05-09-2001.
Er is geen energielabel geregistreerd voor het adres. Het hoogste energielabel in de straat is A; het laagste is G. Het gemiddelde energielabel is er B. Het adres Hoge Dijkje 4-a heeft als status: 'verblijfsobject in gebruik'. Het pand waarin dit adres ligt heeft als status: 'pand in gebruik'.
Hoge Dijkje 4-a is een adres gelegen in de gemeente Hellendoorn, provincie Overijssel. Dit adres is geregistreerd in de Basisregistratie Adressen en Gebouwen (BAG) met als unieke identificatie 0163010000567455.
Het pand op Hoge Dijkje 4-a is gebouwd in 1854, wat betekent dat het 172 jaar oud is. Dit is een ouder pand. Het pand heeft mogelijk aanzienlijke renovaties nodig om aan de huidige standaarden te voldoen.
De woning op Hoge Dijkje 4-a heeft een gebruiksoppervlakte van 300 m². Dit is ruim vergeleken met de gemiddelde Nederlandse woning, die een oppervlakte heeft van ongeveer 119 m². De gebruiksoppervlakte is de maat die wordt gebruikt in de BAG-registratie, de landelijke registratie van de Nederlandse overheid.
Hoge Dijkje 4-a heeft als functie: bijeenkomsten. Deze gebruiksfunctie(s) zijn vastgelegd in de BAG-registratie en geven aan waarvoor het adres officieel mag worden gebruikt.
Hoge Dijkje 4-a is gelegen op kadastraal perceel HLD01C10464. Deze kadastrale aanduiding is uniek en wordt gebruikt door het Kadaster om eigendomsrechten en andere zakelijke rechten vast te leggen. Het perceel maakt onderdeel uit van de kadastrale gemeente Hellendoorn.
Het perceel waarop Hoge Dijkje 4-a staat heeft een oppervlakte van 3,8 ha. Dit is een zeer groot perceel. De perceeloppervlakte wordt geregistreerd door het Kadaster. Gedetailleerde informatie over de maten van dit perceel kunt u vinden in het rapport Kadastrale kaart met maatvoering van Hoge Dijkje 4-a.
De eigenaar van Hoge Dijkje 4-a is op te vragen op deze pagina.
De informatie over dit adres is afkomstig uit officiële overheidsregistraties, voornamelijk de Basisregistratie Adressen en Gebouwen (BAG) en de Basisregistratie Kadaster (BRK). Deze gegevens worden beheerd door respectievelijk gemeenten en het Kadaster, en worden regelmatig bijgewerkt. Energielabelgegevens komen uit de database van de Rijksdienst voor Ondernemend Nederland (RVO).
