
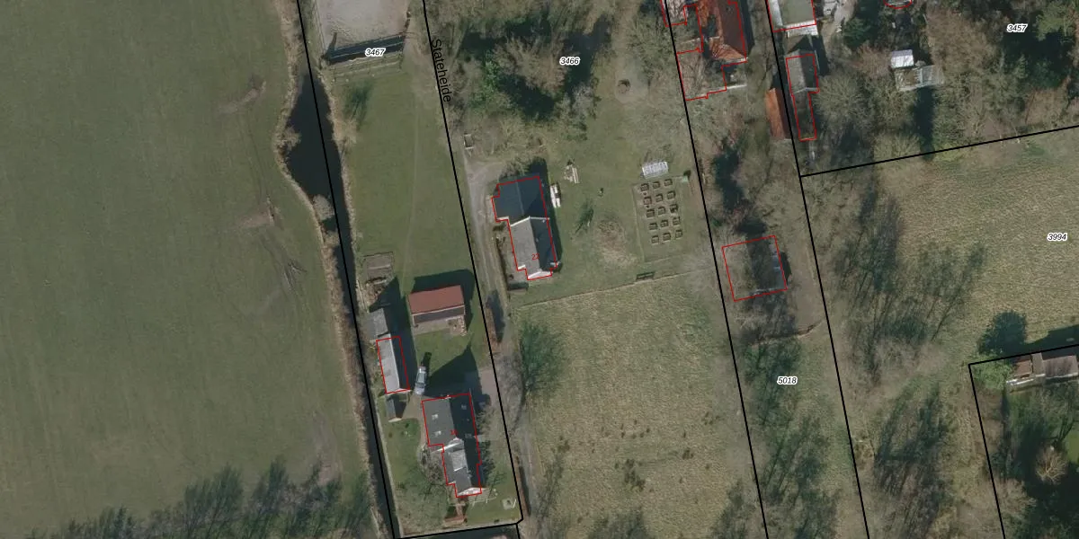
Het adres Stateheide 22 bevindt zich in de plaats Noardburgum, in de gemeente Noardburgum en de provincie Friesland. Het object heeft een oppervlakte van 180 m², wat relatief groot is. Het perceel waarop het adres ligt is 8420 m² groot. In vergelijking met de andere adressen in de straat is de oppervlakte van dit object relatief groot. Het grootste verblijfsobject heeft een oppervlakte van 345 m², de oppervlakte van het kleinste object bedraagt 67 m². Stateheide 22 bevindt zich in een pand uit het jaar 1931. Daarmee behoort het tot de groep relatief oude panden in Nederland die gebouwd zijn vóór 1965. Het bouwjaar is oud vergeleken met dat van de andere panden in de straat. Het oudste bouwjaar is er 1909 en de nieuwste is 2024. Het verblijfsobject heeft de volgende gebruiksdoelen: 'woonfunctie'.
Deze woning is voor het laatst verkocht op 1 augustus 2023. Meer informatie over deze transactie? Bestel het Woningtransactierapport om de verkoopprijs en andere informatie te zien.
Het perceel waarop het adres ligt is BGM02-A-3466. De afkorting 'BGM02' staat voor kadastrale gemeente Bergum. De gemiddelde perceeloppervlakte in de kadastrale gemeente Bergum is 4507,76 m². Dit perceel is met zijn 8420 m² dus groter dan gemiddeld. Het grootste perceel in de kadastrale gemeente is 44,2 ha. Het kleinste perceel heeft een oppervlakte van 0 m². Dit is het enige adres dat aanwezig is op het perceel. In de Basisregistratie Kadaster (BRK) werden de grenzen van het perceel geregistreerd op 21-05-2007.
Het adres ligt in een gebouw van het type 'vrijstaande woning'. Bij de laatste meting is voor het adres het energielabel G geregistreerd. Het hoogste energielabel in de straat is A; het laagste is G. Het gemiddelde energielabel is er C. Het adres Stateheide 22 heeft als status: 'verbouwing verblijfsobject'. Het pand waarin dit adres ligt heeft als status: 'verbouwing pand'.
Stateheide 22 is een adres gelegen in de gemeente Tytsjerksteradiel, provincie Friesland. Dit adres is geregistreerd in de Basisregistratie Adressen en Gebouwen (BAG) met als unieke identificatie 0737010000008805.
Het pand op Stateheide 22 is gebouwd in 1931, wat betekent dat het 95 jaar oud is. Dit is een ouder pand. Het pand heeft mogelijk aanzienlijke renovaties nodig om aan de huidige standaarden te voldoen.
De woning op Stateheide 22 heeft een gebruiksoppervlakte van 180 m². Dit is ruim vergeleken met de gemiddelde Nederlandse woning, die een oppervlakte heeft van ongeveer 119 m². De gebruiksoppervlakte is de maat die wordt gebruikt in de BAG-registratie, de landelijke registratie van de Nederlandse overheid.
Stateheide 22 heeft als functie: wonen. Deze gebruiksfunctie(s) zijn vastgelegd in de BAG-registratie en geven aan waarvoor het adres officieel mag worden gebruikt.
Stateheide 22 is gelegen op kadastraal perceel BGM02A3466. Deze kadastrale aanduiding is uniek en wordt gebruikt door het Kadaster om eigendomsrechten en andere zakelijke rechten vast te leggen. Het perceel maakt onderdeel uit van de kadastrale gemeente Bergum.
Het perceel waarop Stateheide 22 staat heeft een oppervlakte van 8420 m². Dit is een zeer groot perceel. De perceeloppervlakte wordt geregistreerd door het Kadaster. Gedetailleerde informatie over de maten van dit perceel kunt u vinden in het rapport Kadastrale kaart met maatvoering van Stateheide 22.
De eigenaar van Stateheide 22 is op te vragen op deze pagina.
De informatie over dit adres is afkomstig uit officiële overheidsregistraties, voornamelijk de Basisregistratie Adressen en Gebouwen (BAG) en de Basisregistratie Kadaster (BRK). Deze gegevens worden beheerd door respectievelijk gemeenten en het Kadaster, en worden regelmatig bijgewerkt. Energielabelgegevens komen uit de database van de Rijksdienst voor Ondernemend Nederland (RVO).
