
Middenweg 4 is gelegen in de plaats Noordbeemster, de gemeente Purmerend en de provincie Noord-Holland. De oppervlakte bedraagt 174 m², waarmee het adres groter dan gemiddeld is. De grootte van het perceel waarop het adres ligt is 1985 m². Het adres is klein vergeleken met andere objecten in de straat. Het grootste object in de straat heeft een oppervlakte van 1166 m², het kleinste is 16 m² groot. Het adres Middenweg 4 ligt in een relatief oud pand uit het jaar 1964. Panden van vóór het jaar 1965 hebben we hier geclassificeerd als oud. Veel andere gebouwen in de straat zijn ouder dan dit pand. Het oudste pand komt uit het jaar 1667 en het nieuwste uit 2025. Voor het verblijfsobject gelden deze gebruiksdoelen: 'woonfunctie' en 'industriefunctie'.
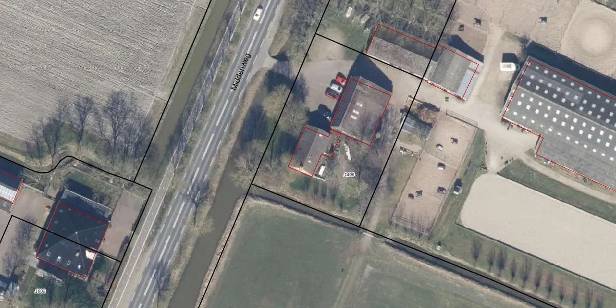
Het adres ligt op het perceel BSR00-B-1496, dat zich in de kadastrale gemeente Beemster bevindt. De gemiddelde perceelgrootte in Beemster is 1,1 ha. Dit perceel is kleiner: de perceeloppervlakte bedraagt 1985 m². De grootste perceeloppervlakte in de kadastrale gemeente is 56,4 ha. De kleinste oppervlakte bedraagt 0 m². Er zijn geen andere adressen aanwezig op het perceel. De laatste wijziging in het de Basisregistratie Kadaster (BRK) was op 27-07-2006.
Er is geen energielabel geregistreerd voor het adres. Het hoogste energielabel in de straat is A++; het laagste is G. Het gemiddelde energielabel is er D. Het adres Middenweg 4 heeft als status: 'verblijfsobject in gebruik'. Het pand waarin dit adres ligt heeft als status: 'pand in gebruik'.
Middenweg 4 is een adres gelegen in de gemeente Purmerend, provincie Noord-Holland. Dit adres is geregistreerd in de Basisregistratie Adressen en Gebouwen (BAG) met als unieke identificatie 0370010000001571.
Het pand op Middenweg 4 is gebouwd in 1964, wat betekent dat het 62 jaar oud is. Dit is een ouder pand. Het pand heeft mogelijk aanzienlijke renovaties nodig om aan de huidige standaarden te voldoen.
De woning op Middenweg 4 heeft een gebruiksoppervlakte van 174 m². Dit is ruim vergeleken met de gemiddelde Nederlandse woning, die een oppervlakte heeft van ongeveer 119 m². De gebruiksoppervlakte is de maat die wordt gebruikt in de BAG-registratie, de landelijke registratie van de Nederlandse overheid.
Middenweg 4 heeft als functie: wonen en industrie. Deze gebruiksfunctie(s) zijn vastgelegd in de BAG-registratie en geven aan waarvoor het adres officieel mag worden gebruikt.
Middenweg 4 is gelegen op kadastraal perceel BSR00B1496. Deze kadastrale aanduiding is uniek en wordt gebruikt door het Kadaster om eigendomsrechten en andere zakelijke rechten vast te leggen. Het perceel maakt onderdeel uit van de kadastrale gemeente Beemster.
Het perceel waarop Middenweg 4 staat heeft een oppervlakte van 1985 m². Dit is een zeer groot perceel. De perceeloppervlakte wordt geregistreerd door het Kadaster. Gedetailleerde informatie over de maten van dit perceel kunt u vinden in het rapport Kadastrale kaart met maatvoering van Middenweg 4.
De eigenaar van Middenweg 4 is op te vragen op deze pagina.
De informatie over dit adres is afkomstig uit officiële overheidsregistraties, voornamelijk de Basisregistratie Adressen en Gebouwen (BAG) en de Basisregistratie Kadaster (BRK). Deze gegevens worden beheerd door respectievelijk gemeenten en het Kadaster, en worden regelmatig bijgewerkt. Energielabelgegevens komen uit de database van de Rijksdienst voor Ondernemend Nederland (RVO).
