
Clusiusweg 38-P is gelegen in de plaats Noordwijk, de gemeente Noordwijk en de provincie Zuid-Holland. Het verblijfsobject is vergeleken met het Nederlandse gemiddelde aan de kleine kant: de oppervlakte is 16 m². Het perceel waarop het adres zich bevindt heeft een oppervlakte van 3270 m². In de straat is dit het kleinste object. Het grootste verblijfsobject heeft een oppervlakte van 147 m². De gemiddelde grootte is er 66 m². De gemiddelde bouwperiode van gebouwen in Nederland ligt tussen de jaren 1965-1984. Dat geldt ook voor het bouwjaar van Clusiusweg 38-P: het is gebouwd in het jaar 1972. Dit pand is het meest recent exemplaar in de straat. Het oudste object komt er uit 1968 en het gemiddelde bouwjaar is 1970. Voor het verblijfsobject gelden deze gebruiksdoelen: 'overige gebruiksfunctie'.
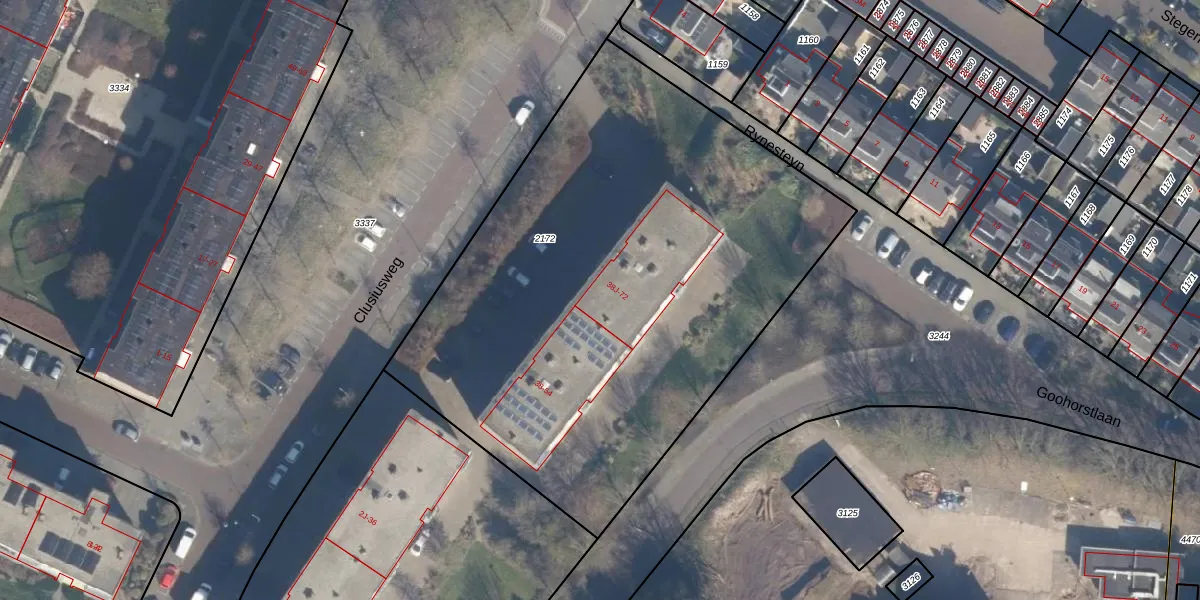
Het perceel waarop het adres ligt is NWK02-M-2172. De afkorting 'NWK02' staat voor kadastrale gemeente Noordwijk. De gemiddelde perceelgrootte in Noordwijk is 4162,44 m². Dit perceel is kleiner: de perceeloppervlakte bedraagt 3270 m². Het kleinste perceel in de kadastrale gemeente is 0 m² groot. De grootste perceeloppervlakte is 7,72 km². Op het perceel liggen in totaal 36 adressen. De laatste wijziging in het de Basisregistratie Kadaster (BRK) was op 05-07-2001.
Er is geen energielabel geregistreerd voor het adres. Het hoogste energielabel in de straat is A; het laagste is G. Het gemiddelde energielabel is er B. Het adres Clusiusweg 38-P heeft als status: 'verblijfsobject in gebruik'. Het pand waarin dit adres ligt heeft als status: 'pand in gebruik'.
Clusiusweg 38-P is een adres gelegen in de gemeente Noordwijk, provincie Zuid-Holland. Dit adres is geregistreerd in de Basisregistratie Adressen en Gebouwen (BAG) met als unieke identificatie 0575010000037092.
Het pand op Clusiusweg 38-P is gebouwd in 1972, wat betekent dat het 54 jaar oud is. Dit is een ouder pand. Het pand heeft mogelijk aanzienlijke renovaties nodig om aan de huidige standaarden te voldoen.
De woning op Clusiusweg 38-P heeft een gebruiksoppervlakte van 16 m². Dit is relatief klein vergeleken met de gemiddelde Nederlandse woning, die een oppervlakte heeft van ongeveer 119 m². De gebruiksoppervlakte is de maat die wordt gebruikt in de BAG-registratie, de landelijke registratie van de Nederlandse overheid.
Clusiusweg 38-P heeft als functie: overige doeleinden. Deze gebruiksfunctie(s) zijn vastgelegd in de BAG-registratie en geven aan waarvoor het adres officieel mag worden gebruikt.
Clusiusweg 38-P is gelegen op kadastraal perceel NWK02M2172. Deze kadastrale aanduiding is uniek en wordt gebruikt door het Kadaster om eigendomsrechten en andere zakelijke rechten vast te leggen. Het perceel maakt onderdeel uit van de kadastrale gemeente Noordwijk.
Het perceel waarop Clusiusweg 38-P staat heeft een oppervlakte van 3270 m². Dit is een zeer groot perceel. De perceeloppervlakte wordt geregistreerd door het Kadaster. Gedetailleerde informatie over de maten van dit perceel kunt u vinden in het rapport Kadastrale kaart met maatvoering van Clusiusweg 38-P.
De eigenaar van Clusiusweg 38-P is op te vragen op deze pagina.
De informatie over dit adres is afkomstig uit officiële overheidsregistraties, voornamelijk de Basisregistratie Adressen en Gebouwen (BAG) en de Basisregistratie Kadaster (BRK). Deze gegevens worden beheerd door respectievelijk gemeenten en het Kadaster, en worden regelmatig bijgewerkt. Energielabelgegevens komen uit de database van de Rijksdienst voor Ondernemend Nederland (RVO).
