
Het adres Achter de Kerk 3-A bevindt zich in de plaats Norg, in de gemeente Norg en de provincie Drenthe. De oppervlakte bedraagt 385 m², waarmee het adres groter dan gemiddeld is. De grootte van het perceel waarop het adres ligt is 1286 m². In de straat is dit het adres met de grootste oppervlakte. De objecten in de straat zijn gemiddeld 249 m² groot. Het kleinste verblijfsobject heeft een oppervlakte van 144 m². Het gebouw waarin Achter de Kerk 3-A ligt komt uit het jaar 1900. Objecten die gebouwd zijn vóór 1965 classificeren we hier als oud. In de straat is dit het nieuwste pand en stamt het oudste object uit het jaar 1900. Het gemiddelde bouwjaar in de straat is 1900. Het verblijfsobject heeft de volgende gebruiksdoelen: 'bijeenkomstfunctie' en 'winkelfunctie'.
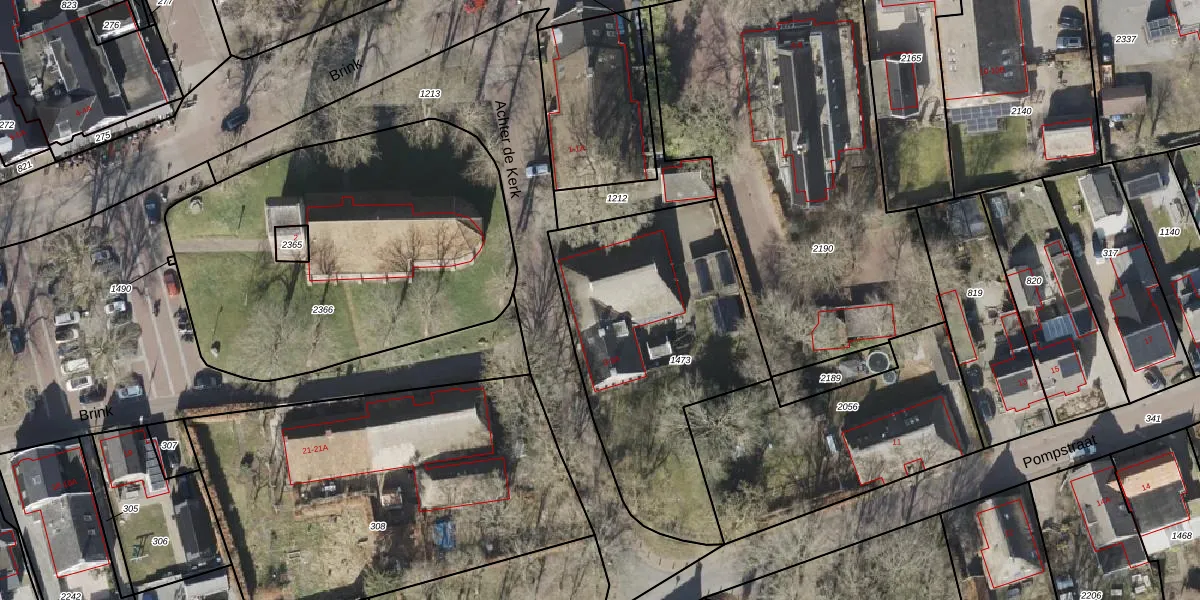
Het perceel waarop het adres ligt is NOR00-R-1473. De afkorting 'NOR00' staat voor kadastrale gemeente Norg. Het perceel is kleiner dan gemiddeld in Norg. Het perceel is 1286 m² groot, terwijl het gemiddelde ligt op 1,4 ha. Het kleinste perceel in de kadastrale gemeente is 1 m² groot. De grootste perceeloppervlakte is 1,59 km². Op het perceel zijn 2 adressen aanwezig. In de Basisregistratie Kadaster (BRK) werden de grenzen van het perceel geregistreerd op 02-02-2006.
Er is geen energielabel geregistreerd voor het adres. Het hoogste energielabel in de straat is G; het laagste is G. Het gemiddelde energielabel is er G. Het adres Achter de Kerk 3-A heeft als status: 'verblijfsobject in gebruik'. Het pand waarin dit adres ligt heeft als status: 'pand in gebruik'.
Achter de Kerk 3-A is een adres gelegen in de gemeente Noordenveld, provincie Drenthe. Dit adres is geregistreerd in de Basisregistratie Adressen en Gebouwen (BAG) met als unieke identificatie 1699010000013877.
Het pand op Achter de Kerk 3-A is gebouwd in 1900, wat betekent dat het 126 jaar oud is. Dit is een ouder pand. Het pand heeft mogelijk aanzienlijke renovaties nodig om aan de huidige standaarden te voldoen.
De woning op Achter de Kerk 3-A heeft een gebruiksoppervlakte van 385 m². Dit is ruim vergeleken met de gemiddelde Nederlandse woning, die een oppervlakte heeft van ongeveer 119 m². De gebruiksoppervlakte is de maat die wordt gebruikt in de BAG-registratie, de landelijke registratie van de Nederlandse overheid.
Achter de Kerk 3-A heeft als functie: bijeenkomsten en winkel/handel. Deze gebruiksfunctie(s) zijn vastgelegd in de BAG-registratie en geven aan waarvoor het adres officieel mag worden gebruikt.
Achter de Kerk 3-A is gelegen op kadastraal perceel NOR00R1473. Deze kadastrale aanduiding is uniek en wordt gebruikt door het Kadaster om eigendomsrechten en andere zakelijke rechten vast te leggen. Het perceel maakt onderdeel uit van de kadastrale gemeente Norg.
Het perceel waarop Achter de Kerk 3-A staat heeft een oppervlakte van 1286 m². Dit is een zeer groot perceel. De perceeloppervlakte wordt geregistreerd door het Kadaster. Gedetailleerde informatie over de maten van dit perceel kunt u vinden in het rapport Kadastrale kaart met maatvoering van Achter de Kerk 3-A.
De eigenaar van Achter de Kerk 3-A is op te vragen op deze pagina.
De informatie over dit adres is afkomstig uit officiële overheidsregistraties, voornamelijk de Basisregistratie Adressen en Gebouwen (BAG) en de Basisregistratie Kadaster (BRK). Deze gegevens worden beheerd door respectievelijk gemeenten en het Kadaster, en worden regelmatig bijgewerkt. Energielabelgegevens komen uit de database van de Rijksdienst voor Ondernemend Nederland (RVO).
