
Schapendrift 6 is gelegen in de plaats Norg, de gemeente Noordenveld en de provincie Drenthe. Het verblijfsobject is vergeleken met het Nederlandse gemiddelde aan de kleine kant: de oppervlakte is 93 m². Het perceel waarop het adres zich bevindt heeft een oppervlakte van 2335 m². In de straat is dit het kleinste object. Het grootste verblijfsobject heeft een oppervlakte van 430 m². De gemiddelde grootte is er 194 m². Schapendrift 6 ligt in een gebouw uit het jaar 1998. Daarmee behoort het tot de groep panden van na 1984, die we als relatief nieuw bestempelen. Dit object is relatief nieuw in de straat. Het nieuwste gebouw komt er uit het jaar 2019 en het oudste uit het jaar 1955. Het verblijfsobject heeft de volgende gebruiksdoelen: 'logiesfunctie'.
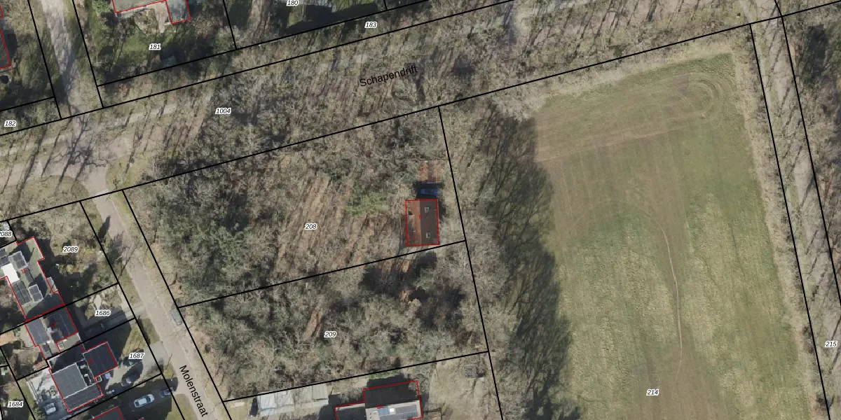
Het perceel waarop het adres ligt is NOR00-R-208. De afkorting 'NOR00' staat voor kadastrale gemeente Norg. Het perceel is kleiner dan gemiddeld in Norg. Het perceel is 2335 m² groot, terwijl het gemiddelde ligt op 1,4 ha. Het grootste perceel in de kadastrale gemeente is 1,59 km². Het kleinste perceel heeft een oppervlakte van 1 m². Op het perceel bevinden zich geen andere adressen. De laatste wijziging in het de Basisregistratie Kadaster (BRK) was op 13-03-2001.
Er is geen energielabel geregistreerd voor het adres. Het hoogste energielabel in de straat is A+++; het laagste is G. Het gemiddelde energielabel is er A. Het adres Schapendrift 6 heeft als status: 'verblijfsobject in gebruik'. Het pand waarin dit adres ligt heeft als status: 'pand in gebruik'.
Schapendrift 6 is een adres gelegen in de gemeente Noordenveld, provincie Drenthe. Dit adres is geregistreerd in de Basisregistratie Adressen en Gebouwen (BAG) met als unieke identificatie 1699010000002586.
Het pand op Schapendrift 6 is gebouwd in 1998, wat betekent dat het 28 jaar oud is. Dit is een pand van middelbare leeftijd. Het pand is van gemiddelde leeftijd en zal waarschijnlijk verouderde elementen bevatten.
De woning op Schapendrift 6 heeft een gebruiksoppervlakte van 93 m². Dit is onder het gemiddelde vergeleken met de gemiddelde Nederlandse woning, die een oppervlakte heeft van ongeveer 119 m². De gebruiksoppervlakte is de maat die wordt gebruikt in de BAG-registratie, de landelijke registratie van de Nederlandse overheid.
Schapendrift 6 heeft als functie: logies/verblijf. Deze gebruiksfunctie(s) zijn vastgelegd in de BAG-registratie en geven aan waarvoor het adres officieel mag worden gebruikt.
Schapendrift 6 is gelegen op kadastraal perceel NOR00R208. Deze kadastrale aanduiding is uniek en wordt gebruikt door het Kadaster om eigendomsrechten en andere zakelijke rechten vast te leggen. Het perceel maakt onderdeel uit van de kadastrale gemeente Norg.
Het perceel waarop Schapendrift 6 staat heeft een oppervlakte van 2335 m². Dit is een zeer groot perceel. De perceeloppervlakte wordt geregistreerd door het Kadaster. Gedetailleerde informatie over de maten van dit perceel kunt u vinden in het rapport Kadastrale kaart met maatvoering van Schapendrift 6.
De eigenaar van Schapendrift 6 is op te vragen op deze pagina.
De informatie over dit adres is afkomstig uit officiële overheidsregistraties, voornamelijk de Basisregistratie Adressen en Gebouwen (BAG) en de Basisregistratie Kadaster (BRK). Deze gegevens worden beheerd door respectievelijk gemeenten en het Kadaster, en worden regelmatig bijgewerkt. Energielabelgegevens komen uit de database van de Rijksdienst voor Ondernemend Nederland (RVO).
