
Het adres Bergvinkhof 74 bevindt zich in de plaats Nuenen, in de gemeente Nuenen en de provincie Noord-Brabant. Het verblijfsobject is vergeleken met het Nederlandse gemiddelde aan de kleine kant: de oppervlakte is 48 m². Het perceel waarop het adres zich bevindt heeft een oppervlakte van 805 m². Er zijn geen kleinere objecten in deze straat. De gemiddelde oppervlakte is er 59 m². Het grootste verblijfsobject is 72 m². In Nederland komt het grootste deel van de gebouwen uit de periode 1965-1984. Ook het bouwjaar van Bergvinkhof 74 is afkomstig uit die periode: het betreft namelijk een pand uit 1975. Dit pand is het meest recent exemplaar in de straat. Het oudste object komt er uit 1975 en het gemiddelde bouwjaar is 1975. Het verblijfsobject heeft de volgende gebruiksdoelen: 'woonfunctie'.
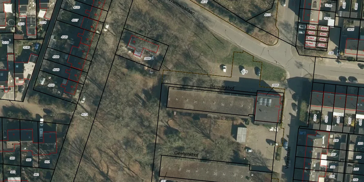
Het adres ligt op het perceel NNN00-F-2895, dat zich in de kadastrale gemeente Nuenen bevindt. Het perceel is kleiner dan gemiddeld in Nuenen. Het perceel is 805 m² groot, terwijl het gemiddelde ligt op 2263,36 m². Het grootste perceel in de kadastrale gemeente is 27,9 ha. Het kleinste perceel heeft een oppervlakte van 0 m². Op het perceel liggen in totaal 24 adressen. In de Basisregistratie Kadaster (BRK) werden de grenzen van het perceel geregistreerd op 13-10-2010.
Er is geen energielabel geregistreerd voor het adres. Het hoogste energielabel in de straat is A++; het laagste is G. Het gemiddelde energielabel is er A++. Het adres Bergvinkhof 74 heeft als status: 'verblijfsobject gevormd'. Het pand waarin dit adres ligt heeft als status: 'verbouwing pand'.
Bergvinkhof 74 is een adres gelegen in de gemeente Nuenen, Gerwen en Nederwetten, provincie Noord-Brabant. Dit adres is geregistreerd in de Basisregistratie Adressen en Gebouwen (BAG) met als unieke identificatie 0820010000038090.
Het pand op Bergvinkhof 74 is gebouwd in 1975, wat betekent dat het 51 jaar oud is. Dit is een ouder pand. Het pand heeft mogelijk aanzienlijke renovaties nodig om aan de huidige standaarden te voldoen.
De woning op Bergvinkhof 74 heeft een gebruiksoppervlakte van 48 m². Dit is relatief klein vergeleken met de gemiddelde Nederlandse woning, die een oppervlakte heeft van ongeveer 119 m². De gebruiksoppervlakte is de maat die wordt gebruikt in de BAG-registratie, de landelijke registratie van de Nederlandse overheid.
Bergvinkhof 74 heeft als functie: wonen. Deze gebruiksfunctie(s) zijn vastgelegd in de BAG-registratie en geven aan waarvoor het adres officieel mag worden gebruikt.
Bergvinkhof 74 is gelegen op kadastraal perceel NNN00F2895. Deze kadastrale aanduiding is uniek en wordt gebruikt door het Kadaster om eigendomsrechten en andere zakelijke rechten vast te leggen. Het perceel maakt onderdeel uit van de kadastrale gemeente Nuenen.
Het perceel waarop Bergvinkhof 74 staat heeft een oppervlakte van 805 m². Dit is een groot perceel. De perceeloppervlakte wordt geregistreerd door het Kadaster. Gedetailleerde informatie over de maten van dit perceel kunt u vinden in het rapport Kadastrale kaart met maatvoering van Bergvinkhof 74.
De eigenaar van Bergvinkhof 74 is op te vragen op deze pagina.
De informatie over dit adres is afkomstig uit officiële overheidsregistraties, voornamelijk de Basisregistratie Adressen en Gebouwen (BAG) en de Basisregistratie Kadaster (BRK). Deze gegevens worden beheerd door respectievelijk gemeenten en het Kadaster, en worden regelmatig bijgewerkt. Energielabelgegevens komen uit de database van de Rijksdienst voor Ondernemend Nederland (RVO).
