
Hoekse Erven 14 is gelegen in de plaats Nuenen, de gemeente Nuenen, Gerwen en Nederwetten en de provincie Noord-Brabant. De oppervlakte van het object bedraagt 79 m². Dat is klein vergeleken met het Nederlandse gemiddelde. Het perceel waarop het adres ligt is 515 m² groot. Er zijn geen kleinere objecten in deze straat. De gemiddelde oppervlakte is er 122 m². Het grootste verblijfsobject is 179 m². In het jaar 2024 is het pand waarin Hoekse Erven 14 ligt gebouwd. Dat is relatief recent: de meeste gebouwen in Nederland zijn gebouwd in de periode 1965-1984. In de straat is dit het nieuwste pand en stamt het oudste object uit het jaar 2024. Het gemiddelde bouwjaar in de straat is 2024. Het verblijfsobject heeft de volgende gebruiksdoelen: 'woonfunctie'.
Deze woning is voor het laatst verkocht op 1 december 2024. Meer informatie over deze transactie? Bestel het Woningtransactierapport om de verkoopprijs en andere informatie te zien.
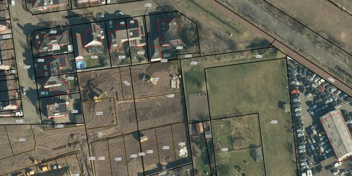
Het adres ligt op het perceel NNN00-A-4497, dat zich in de kadastrale gemeente Nuenen bevindt. Het perceel is kleiner dan gemiddeld in Nuenen. Het perceel is 515 m² groot, terwijl het gemiddelde ligt op 2262,6 m². De grootste perceeloppervlakte in de kadastrale gemeente is 27,9 ha. De kleinste oppervlakte bedraagt 0 m². Op het perceel zijn 6 adressen aanwezig. De laatste wijziging in het de Basisregistratie Kadaster (BRK) was op 18-12-2024.
Er is geen energielabel geregistreerd voor het adres. Het hoogste energielabel in de straat is G; het laagste is G. Het gemiddelde energielabel is er G. Het adres Hoekse Erven 14 heeft als status: 'verblijfsobject gevormd'. Het pand waarin dit adres ligt heeft als status: 'bouw gestart'.
Hoekse Erven 14 is een adres gelegen in de gemeente Nuenen, Gerwen en Nederwetten, provincie Noord-Brabant. Dit adres is geregistreerd in de Basisregistratie Adressen en Gebouwen (BAG) met als unieke identificatie 0820010000037959.
Het pand op Hoekse Erven 14 is gebouwd in 2024, wat betekent dat het 2 jaar oud is. Dit is een vrij nieuw pand. Het pand is dus waarschijnlijk goed geïsoleerd, geluidsdicht en voldoet aan de huidige bouwstandaarden. Op korte termijn zijn er waarschijnlijk weinig onderhoudskosten.
De woning op Hoekse Erven 14 heeft een gebruiksoppervlakte van 79 m². Dit is onder het gemiddelde vergeleken met de gemiddelde Nederlandse woning, die een oppervlakte heeft van ongeveer 119 m². De gebruiksoppervlakte is de maat die wordt gebruikt in de BAG-registratie, de landelijke registratie van de Nederlandse overheid.
Hoekse Erven 14 heeft als functie: wonen. Deze gebruiksfunctie(s) zijn vastgelegd in de BAG-registratie en geven aan waarvoor het adres officieel mag worden gebruikt.
Hoekse Erven 14 is gelegen op kadastraal perceel NNN00A4497. Deze kadastrale aanduiding is uniek en wordt gebruikt door het Kadaster om eigendomsrechten en andere zakelijke rechten vast te leggen. Het perceel maakt onderdeel uit van de kadastrale gemeente Nuenen.
Het perceel waarop Hoekse Erven 14 staat heeft een oppervlakte van 515 m². Dit is een groot perceel. De perceeloppervlakte wordt geregistreerd door het Kadaster. Gedetailleerde informatie over de maten van dit perceel kunt u vinden in het rapport Kadastrale kaart met maatvoering van Hoekse Erven 14.
De eigenaar van Hoekse Erven 14 is op te vragen op deze pagina.
De informatie over dit adres is afkomstig uit officiële overheidsregistraties, voornamelijk de Basisregistratie Adressen en Gebouwen (BAG) en de Basisregistratie Kadaster (BRK). Deze gegevens worden beheerd door respectievelijk gemeenten en het Kadaster, en worden regelmatig bijgewerkt. Energielabelgegevens komen uit de database van de Rijksdienst voor Ondernemend Nederland (RVO).
