Product Functies Prijzen Meer

Adressen

Gebruik de zoekbalk of klik op een perceel voor informatie over de adressen binnen dit perceel.
Locatie
Meten
Lagen
Download

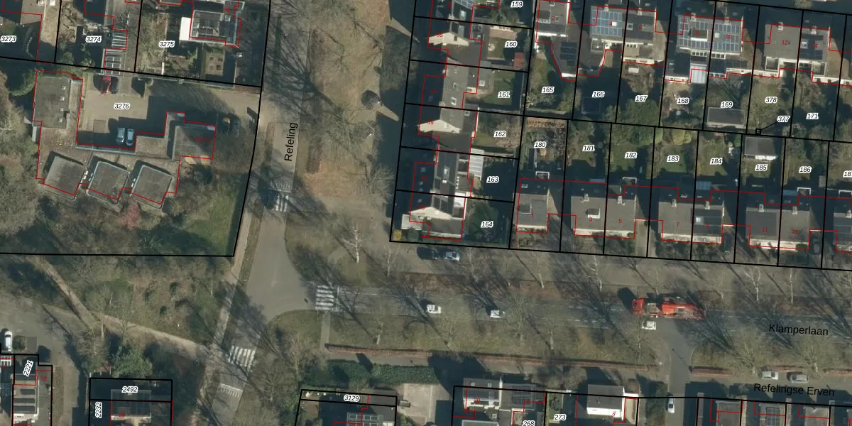
Refeling 63

5672CH, Nuenen

1519312 Wat moet ik bieden voor deze woning?
195 m²
woonfunctie
315 m² perceeloppervlakte
D

Het adres Refeling 63 bevindt zich in de plaats Nuenen, in de gemeente Nuenen en de provincie Noord-Brabant. De oppervlakte van het verblijfsobject is met 195 m² aan de grote kant. Het perceel heeft een oppervlakte van 315 m². De oppervlakte van dit adres is groot vergeleken met de oppervlaktes van andere adressen in de straat. De kleinste oppervlakte bedraagt er 8 m², de grootste 320 m². De gemiddelde bouwperiode van gebouwen in Nederland ligt tussen de jaren 1965-1984. Dat geldt ook voor het bouwjaar van Refeling 63: het is gebouwd in het jaar 1971. Het nieuwste gebouw in de straat komt uit 1991 en het oudste uit 1968. Dit object is relatief oud. Het verblijfsobject heeft de volgende gebruiksdoelen: 'woonfunctie'.

Verkoopdata beschikbaar

Deze woning is voor het laatst verkocht op 1 september 2017. Meer informatie over deze transactie? Bestel het Woningtransactierapport om de verkoopprijs en andere informatie te zien.

Perceel

Het adres ligt op het perceel NNN00-F-164, dat zich in de kadastrale gemeente Nuenen bevindt. Het perceel is kleiner dan gemiddeld in Nuenen. Het perceel is 315 m² groot, terwijl het gemiddelde ligt op 2263,36 m². Het kleinste perceel in de kadastrale gemeente is 0 m² groot. De grootste perceeloppervlakte is 27,9 ha. Op het perceel bevinden zich geen andere adressen. In de Basisregistratie Kadaster (BRK) werden de grenzen van het perceel geregistreerd op 13-10-2010.

Energielabel en status

Het adres ligt in een gebouw van het type 'twee-onder-een-kap / rijwoning hoek met het subtype twee-onder-een-kap'. Bij de laatste meting is voor het adres het energielabel D geregistreerd. Het hoogste energielabel in de straat is A; het laagste is G. Het gemiddelde energielabel is er B. Het adres Refeling 63 heeft als status: 'verblijfsobject in gebruik'. Het pand waarin dit adres ligt heeft als status: 'pand in gebruik'.

Meer lezen

Adres

Gebruiksoppervlakte
195 m²
Bruto vloeroppervlakte
uTee0BamUGDBR3pwrX4CUpgrade naar KadastraleKaart Pro
Gebruiksdoel(en)
Woonfunctie
Status
Verblijfsobject in gebruik
Type
Twee-onder-een-kap / rijwoning hoek (Twee-onder-een-kap)
Gasloos
fsELYDDlcbdnBD2pH8Upgrade naar KadastraleKaart Pro
Gebeurtenissen
Appartementsrechten
S6agKSeZjRi5Upgrade naar KadastraleKaart Pro
Eigenaar
Eigendomsinformatie 12,95
Adresinformatie bestellen
Adrespakket 34,95
VBO ID
0820010000007094
Woning laatst verkocht in
2017 -
Verkoopprijs opvragen 8,95

Pand

Bouwjaar pand
1971
Aantal adressen in dit gebouw
1 adres
Hoogte pand
d 5IkLExDrZRmSYFU 8mUpgrade naar KadastraleKaart Pro
Aantal bouwlagen (schatting)
YjzwR dOzJeafWfBDm6tFUpgrade naar KadastraleKaart Pro
Volume
jKjim2fRGuUpgrade naar KadastraleKaart Pro
Oppervlakte dak
c9mQ o MkUUpgrade naar KadastraleKaart Pro
Oppervlakte buitenmuur
kO0 VcL7 LI1S dUpgrade naar KadastraleKaart Pro
Status pand
Pand in gebruik
Pand ID
0820100000017163

Perceel

Kadastrale aanduiding
Nuenen F 164 (NNN00 F 164)
Oppervlakte
315 m²
Maatvoering
Kadastrale kaart met maatvoering 59,95
Omtrek
79 meter
Datum laatst gewijzigd
13/10/2010
Aantal adressen op perceel
1
Hoogte boven N.A.P.
9I5bUXAE jm3Yh 8yiUpgrade naar KadastraleKaart Pro

Veelgestelde vragen

Refeling 63 is een adres gelegen in de gemeente Nuenen, Gerwen en Nederwetten, provincie Noord-Brabant. Dit adres is geregistreerd in de Basisregistratie Adressen en Gebouwen (BAG) met als unieke identificatie 0820010000007094.

Het pand op Refeling 63 is gebouwd in 1971, wat betekent dat het 55 jaar oud is. Dit is een ouder pand. Het pand heeft mogelijk aanzienlijke renovaties nodig om aan de huidige standaarden te voldoen.

De woning op Refeling 63 heeft een gebruiksoppervlakte van 195 m². Dit is ruim vergeleken met de gemiddelde Nederlandse woning, die een oppervlakte heeft van ongeveer 119 m². De gebruiksoppervlakte is de maat die wordt gebruikt in de BAG-registratie, de landelijke registratie van de Nederlandse overheid.

Refeling 63 heeft als functie: wonen. Deze gebruiksfunctie(s) zijn vastgelegd in de BAG-registratie en geven aan waarvoor het adres officieel mag worden gebruikt.

Refeling 63 is gelegen op kadastraal perceel NNN00F164. Deze kadastrale aanduiding is uniek en wordt gebruikt door het Kadaster om eigendomsrechten en andere zakelijke rechten vast te leggen. Het perceel maakt onderdeel uit van de kadastrale gemeente Nuenen.

Het perceel waarop Refeling 63 staat heeft een oppervlakte van 315 m². Dit is een groot perceel. De perceeloppervlakte wordt geregistreerd door het Kadaster. Gedetailleerde informatie over de maten van dit perceel kunt u vinden in het rapport Kadastrale kaart met maatvoering van Refeling 63.

De eigenaar van Refeling 63 is op te vragen op deze pagina.

De informatie over dit adres is afkomstig uit officiële overheidsregistraties, voornamelijk de Basisregistratie Adressen en Gebouwen (BAG) en de Basisregistratie Kadaster (BRK). Deze gegevens worden beheerd door respectievelijk gemeenten en het Kadaster, en worden regelmatig bijgewerkt. Energielabelgegevens komen uit de database van de Rijksdienst voor Ondernemend Nederland (RVO).

Maatvoeringsrapport

Wie is de eigenaar?

Bekijk de eigenaar van Refeling 63 met de eigendomsinformatie.
Bekijk de eigenaar van dit adres.
Maatvoeringsrapport

Maatvoering van het perceel

Bestel de maatvoering voor Refeling 63 met het maatvoeringsrapport.
Bestel de maatvoering voor dit adres.

360°-foto's van de omgeving

Google Street View
Upgrade nu voor 360° Street View foto's

Zon en schaduw rondom adres

Buurt
Nuenen-Zuid
Inwoners: 7.075
Woningen: 3.106
Wijk
Wijk 00 Nuenen
Inwoners: 21.130
Woningen: 9.260
Gemeente
Nuenen, Gerwen en Nederwetten
Inwoners: 24.231
Woningen: 10.527