
Kloosterstraat 5-A is gelegen in de plaats Nuland, de gemeente 's-Hertogenbosch en de provincie Noord-Brabant. De oppervlakte van het object bedraagt 25 m². Dat is klein vergeleken met het Nederlandse gemiddelde. Het perceel waarop het adres ligt is 2185 m² groot. Er zijn geen kleinere objecten in deze straat. De gemiddelde oppervlakte is er 100 m². Het grootste verblijfsobject is 1655 m². Kloosterstraat 5-A ligt in een gebouw uit het jaar 1989. Daarmee behoort het tot de groep panden van na 1984, die we als relatief nieuw bestempelen. In de straat komt het nieuwste gebouw uit het jaar 2025 en het oudste uit 1972. Het bouwjaar van dit object is relatief oud. Voor het verblijfsobject gelden deze gebruiksdoelen: 'woonfunctie'.
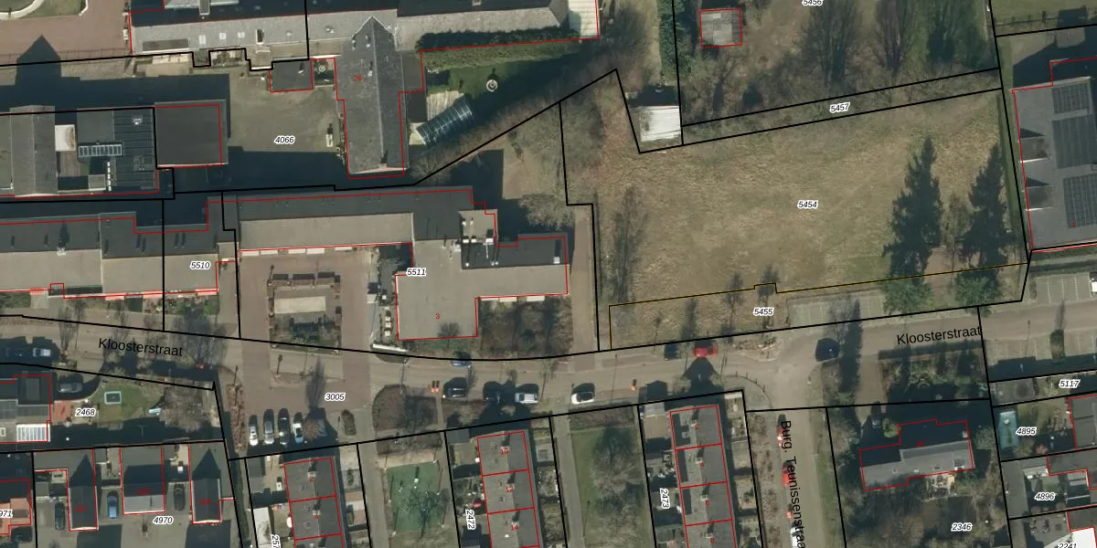
Het adres ligt op het perceel NLD03-B-5511, dat zich in de kadastrale gemeente Nuland bevindt. De gemiddelde perceelgrootte in Nuland is 4961,91 m². Dit perceel is kleiner: de perceeloppervlakte bedraagt 2185 m². Het grootste perceel in de kadastrale gemeente is 39,3 ha. Het kleinste perceel heeft een oppervlakte van 0 m². Op het perceel zijn 20 adressen aanwezig. De laatste wijziging in het de Basisregistratie Kadaster (BRK) was op 09-01-2026.
Er is geen energielabel geregistreerd voor het adres. Het hoogste energielabel in de straat is A++; het laagste is G. Het gemiddelde energielabel is er B. Het adres Kloosterstraat 5-A heeft als status: 'verbouwing verblijfsobject'. Het pand waarin dit adres ligt heeft als status: 'verbouwing pand'.
Kloosterstraat 5-A is een adres gelegen in de gemeente 's-Hertogenbosch, provincie Noord-Brabant. Dit adres is geregistreerd in de Basisregistratie Adressen en Gebouwen (BAG) met als unieke identificatie 1671010000005784.
Het pand op Kloosterstraat 5-A is gebouwd in 1989, wat betekent dat het 37 jaar oud is. Dit is een pand van middelbare leeftijd. Het pand is van gemiddelde leeftijd en zal waarschijnlijk verouderde elementen bevatten.
De woning op Kloosterstraat 5-A heeft een gebruiksoppervlakte van 25 m². Dit is relatief klein vergeleken met de gemiddelde Nederlandse woning, die een oppervlakte heeft van ongeveer 119 m². De gebruiksoppervlakte is de maat die wordt gebruikt in de BAG-registratie, de landelijke registratie van de Nederlandse overheid.
Kloosterstraat 5-A heeft als functie: wonen. Deze gebruiksfunctie(s) zijn vastgelegd in de BAG-registratie en geven aan waarvoor het adres officieel mag worden gebruikt.
Kloosterstraat 5-A is gelegen op kadastraal perceel NLD03B5511. Deze kadastrale aanduiding is uniek en wordt gebruikt door het Kadaster om eigendomsrechten en andere zakelijke rechten vast te leggen. Het perceel maakt onderdeel uit van de kadastrale gemeente Nuland.
Het perceel waarop Kloosterstraat 5-A staat heeft een oppervlakte van 2185 m². Dit is een zeer groot perceel. De perceeloppervlakte wordt geregistreerd door het Kadaster. Gedetailleerde informatie over de maten van dit perceel kunt u vinden in het rapport Kadastrale kaart met maatvoering van Kloosterstraat 5-A.
De eigenaar van Kloosterstraat 5-A is op te vragen op deze pagina.
De informatie over dit adres is afkomstig uit officiële overheidsregistraties, voornamelijk de Basisregistratie Adressen en Gebouwen (BAG) en de Basisregistratie Kadaster (BRK). Deze gegevens worden beheerd door respectievelijk gemeenten en het Kadaster, en worden regelmatig bijgewerkt. Energielabelgegevens komen uit de database van de Rijksdienst voor Ondernemend Nederland (RVO).
