
Kempenlaan 2 is een adres in Nunspeet, dat zich bevindt binnen de gemeentegrenzen van Nunspeet en de grenzen van de provincie Gelderland. Het object heeft een oppervlakte van 270 m², wat relatief groot is. Het perceel waarop het adres ligt is 1925 m² groot. In de straat is dit het adres met de grootste oppervlakte. De objecten in de straat zijn gemiddeld 172 m² groot. Het kleinste verblijfsobject heeft een oppervlakte van 129 m². De gemiddelde bouwperiode van gebouwen in Nederland ligt tussen de jaren 1965-1984. Dat geldt ook voor het bouwjaar van Kempenlaan 2: het is gebouwd in het jaar 1970. Het gemiddelde bouwjaar in de straat is 1981 en dat van het nieuwste object 1985. In de straat is dit het oudste pand. Het verblijfsobject heeft de volgende gebruiksdoelen: 'woonfunctie'.
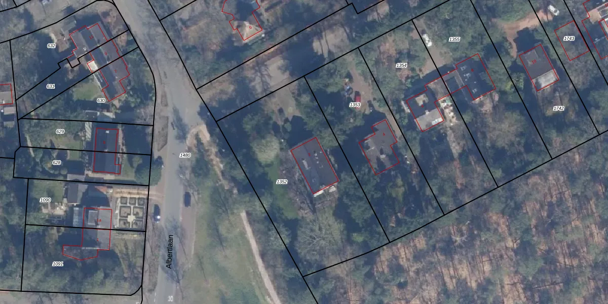
Het perceel waarop het adres ligt is NST01-D-1352. De afkorting 'NST01' staat voor kadastrale gemeente Nunspeet. Het perceel is kleiner dan gemiddeld in Nunspeet. Het perceel is 1925 m² groot, terwijl het gemiddelde ligt op 7206,29 m². Het kleinste perceel in de kadastrale gemeente is 0 m² groot. De grootste perceeloppervlakte is 1,70 km². Dit is het enige adres dat aanwezig is op het perceel. De huidige grenzen van het perceel zijn digitaal in de Basisregistratie Kadaster (BRK) geregistreerd op 28-01-2003.
Het adres ligt in een gebouw van het type 'vrijstaande woning'. Bij de laatste meting is voor het adres het energielabel D geregistreerd. Het hoogste energielabel in de straat is A+; het laagste is G. Het gemiddelde energielabel is er B. Het adres Kempenlaan 2 heeft als status: 'verblijfsobject in gebruik'. Het pand waarin dit adres ligt heeft als status: 'pand in gebruik'.
Kempenlaan 2 is een adres gelegen in de gemeente Nunspeet, provincie Gelderland. Dit adres is geregistreerd in de Basisregistratie Adressen en Gebouwen (BAG) met als unieke identificatie 0302010000004939.
Het pand op Kempenlaan 2 is gebouwd in 1970, wat betekent dat het 56 jaar oud is. Dit is een ouder pand. Het pand heeft mogelijk aanzienlijke renovaties nodig om aan de huidige standaarden te voldoen.
De woning op Kempenlaan 2 heeft een gebruiksoppervlakte van 270 m². Dit is ruim vergeleken met de gemiddelde Nederlandse woning, die een oppervlakte heeft van ongeveer 119 m². De gebruiksoppervlakte is de maat die wordt gebruikt in de BAG-registratie, de landelijke registratie van de Nederlandse overheid.
Kempenlaan 2 heeft als functie: wonen. Deze gebruiksfunctie(s) zijn vastgelegd in de BAG-registratie en geven aan waarvoor het adres officieel mag worden gebruikt.
Kempenlaan 2 is gelegen op kadastraal perceel NST01D1352. Deze kadastrale aanduiding is uniek en wordt gebruikt door het Kadaster om eigendomsrechten en andere zakelijke rechten vast te leggen. Het perceel maakt onderdeel uit van de kadastrale gemeente Nunspeet.
Het perceel waarop Kempenlaan 2 staat heeft een oppervlakte van 1925 m². Dit is een zeer groot perceel. De perceeloppervlakte wordt geregistreerd door het Kadaster. Gedetailleerde informatie over de maten van dit perceel kunt u vinden in het rapport Kadastrale kaart met maatvoering van Kempenlaan 2.
De eigenaar van Kempenlaan 2 is op te vragen op deze pagina.
De informatie over dit adres is afkomstig uit officiële overheidsregistraties, voornamelijk de Basisregistratie Adressen en Gebouwen (BAG) en de Basisregistratie Kadaster (BRK). Deze gegevens worden beheerd door respectievelijk gemeenten en het Kadaster, en worden regelmatig bijgewerkt. Energielabelgegevens komen uit de database van de Rijksdienst voor Ondernemend Nederland (RVO).
