
Heuningstraat 34 is een adres in Ochten, dat zich bevindt binnen de gemeentegrenzen van Ochten en de grenzen van de provincie Gelderland. De oppervlakte van het adres is 131 m². Dat is vergelijkbaar met het gemiddelde Nederlandse oppervlakte van 119 m². De oppervlakte van het perceel waarin het adres ligt is 1290 m². Het object is klein ten opzichte van de andere adressen in de straat. Het grootste verblijfsobject is 1660 m² groot en het kleinste is 5 m². Heuningstraat 34 bevindt zich in een pand uit het jaar 1926. Daarmee behoort het tot de groep relatief oude panden in Nederland die gebouwd zijn vóór 1965. Het nieuwste gebouw in de straat komt uit 2025 en het oudste uit 1700. Dit object is relatief oud. Het verblijfsobject heeft de volgende gebruiksdoelen: 'woonfunctie'.
Deze woning is voor het laatst verkocht op 1 juli 2017. Meer informatie over deze transactie? Bestel het Woningtransactierapport om de verkoopprijs en andere informatie te zien.
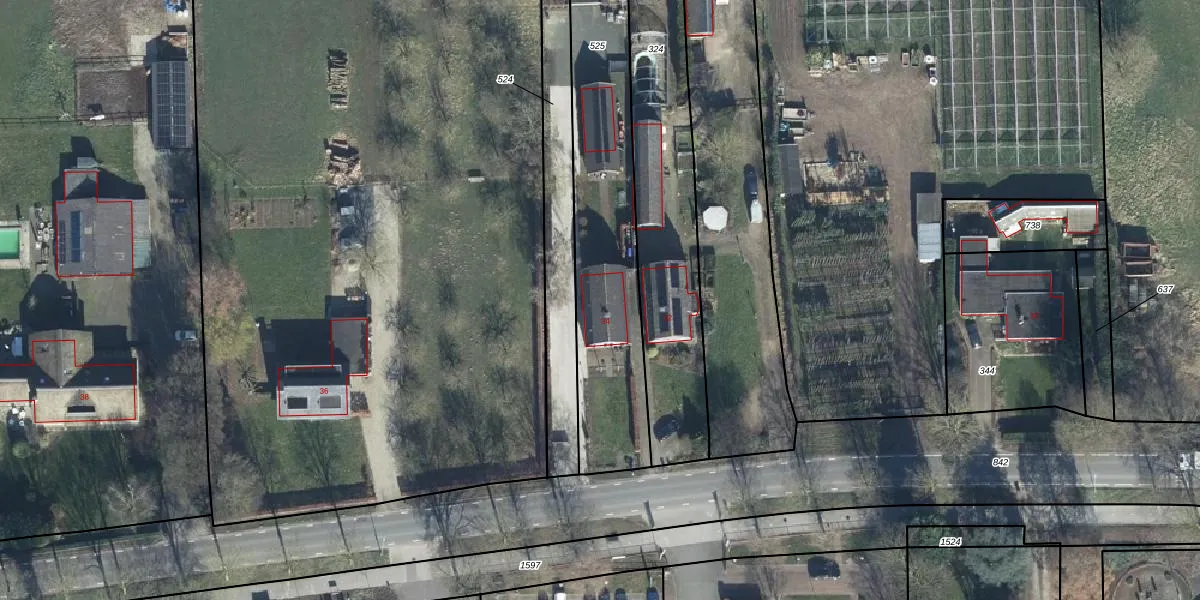
Het perceel waarop het adres ligt is ETD00-K-525. De afkorting 'ETD00' staat voor kadastrale gemeente Echteld. Het perceel is kleiner dan gemiddeld in Echteld. Het perceel is 1290 m² groot, terwijl het gemiddelde ligt op 8011,43 m². Het grootste perceel in de kadastrale gemeente is 53,7 ha. Het kleinste perceel heeft een oppervlakte van 2 m². Op het perceel bevinden zich geen andere adressen. De huidige grenzen van het perceel zijn digitaal in de Basisregistratie Kadaster (BRK) geregistreerd op 04-11-2005.
Het adres ligt in een gebouw van het type 'vrijstaande woning'. Bij de laatste meting is voor het adres het energielabel D geregistreerd. Het hoogste energielabel in de straat is A++; het laagste is G. Het gemiddelde energielabel is er D. Het adres Heuningstraat 34 heeft als status: 'verblijfsobject in gebruik'. Het pand waarin dit adres ligt heeft als status: 'pand in gebruik'.
Heuningstraat 34 is een adres gelegen in de gemeente Neder-Betuwe, provincie Gelderland. Dit adres is geregistreerd in de Basisregistratie Adressen en Gebouwen (BAG) met als unieke identificatie 1740010000014656.
Het pand op Heuningstraat 34 is gebouwd in 1926, wat betekent dat het 100 jaar oud is. Dit is een ouder pand. Het pand heeft mogelijk aanzienlijke renovaties nodig om aan de huidige standaarden te voldoen.
De woning op Heuningstraat 34 heeft een gebruiksoppervlakte van 131 m². Dit is gemiddeld vergeleken met de gemiddelde Nederlandse woning, die een oppervlakte heeft van ongeveer 119 m². De gebruiksoppervlakte is de maat die wordt gebruikt in de BAG-registratie, de landelijke registratie van de Nederlandse overheid.
Heuningstraat 34 heeft als functie: wonen. Deze gebruiksfunctie(s) zijn vastgelegd in de BAG-registratie en geven aan waarvoor het adres officieel mag worden gebruikt.
Heuningstraat 34 is gelegen op kadastraal perceel ETD00K525. Deze kadastrale aanduiding is uniek en wordt gebruikt door het Kadaster om eigendomsrechten en andere zakelijke rechten vast te leggen. Het perceel maakt onderdeel uit van de kadastrale gemeente Echteld.
Het perceel waarop Heuningstraat 34 staat heeft een oppervlakte van 1290 m². Dit is een zeer groot perceel. De perceeloppervlakte wordt geregistreerd door het Kadaster. Gedetailleerde informatie over de maten van dit perceel kunt u vinden in het rapport Kadastrale kaart met maatvoering van Heuningstraat 34.
De eigenaar van Heuningstraat 34 is op te vragen op deze pagina.
De informatie over dit adres is afkomstig uit officiële overheidsregistraties, voornamelijk de Basisregistratie Adressen en Gebouwen (BAG) en de Basisregistratie Kadaster (BRK). Deze gegevens worden beheerd door respectievelijk gemeenten en het Kadaster, en worden regelmatig bijgewerkt. Energielabelgegevens komen uit de database van de Rijksdienst voor Ondernemend Nederland (RVO).
