Product Functies Prijzen Meer

Adressen

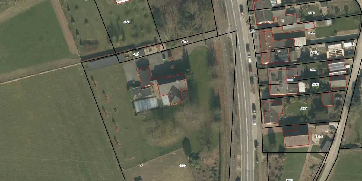
Gebruik de zoekbalk of klik op een perceel voor informatie over de adressen binnen dit perceel.
Locatie
Meten
Lagen
Download

Beugenseweg 1

5441AD, Oeffelt

€ 1519312 Wat moet ik bieden voor deze woning?
429 m²
woonfunctie
8.475 m² perceeloppervlakte
?

Beugenseweg 1 is gelegen in de plaats Oeffelt, de gemeente Land van Cuijk en de provincie Noord-Brabant. Het object heeft een oppervlakte van 429 m², wat relatief groot is. Het perceel waarop het adres ligt is 8475 m² groot. De oppervlakte van dit adres is groot vergeleken met de oppervlaktes van andere adressen in de straat. De kleinste oppervlakte bedraagt er 13 m², de grootste 754 m². Het pand waarin Beugenseweg 1 ligt is gebouwd in het jaar 1989. Panden die gebouwd zijn na het jaar 1984 noemen we hier relatief nieuw. Vergeleken met de andere panden in de straat is dit gebouw nieuw. Het vroegste bouwjaar is er 1860 en het laatste is 2018. De volgende gebruiksdoelen zijn geregistreerd voor dit adres: 'woonfunctie'.

Verkoopdata beschikbaar

Deze woning is voor het laatst verkocht op 1 juli 2008. Meer informatie over deze transactie? Bestel het Woningtransactierapport om de verkoopprijs en andere informatie te zien.

Perceel

Het adres ligt op het perceel BMR00-Z-4776, dat zich in de kadastrale gemeente Boxmeer bevindt. De oppervlakte van het perceel is 8475 m². Dat is groter dan gemiddeld in Boxmeer, waar de gemiddelde perceeloppervlakte op 4534,77 m² ligt. Het kleinste perceel in de kadastrale gemeente is 0 m² groot. De grootste perceeloppervlakte is 32,3 ha. Dit is het enige adres dat aanwezig is op het perceel. De laatste wijziging in het de Basisregistratie Kadaster (BRK) was op 20-09-2017.

Energielabel en status

Er is geen energielabel geregistreerd voor het adres. Het hoogste energielabel in de straat is A; het laagste is G. Het gemiddelde energielabel is er D. Het adres Beugenseweg 1 heeft als status: 'verblijfsobject in gebruik'. Het pand waarin dit adres ligt heeft als status: 'pand in gebruik'.

Meer lezen

Adres

Gebruiksoppervlakte
429 m²
Bruto vloeroppervlakte
sYmMbbsXLXg Dc K7 Mf7GUpgrade naar KadastraleKaart Pro
Gebruiksdoel(en)
Woonfunctie
Status
Verblijfsobject in gebruik
Type
Onbekend
Gasloos
pjuI0nNV 0vaNUxCUpgrade naar KadastraleKaart Pro
Gebeurtenissen
Appartementsrechten
vRN zk LrpsqI9 PtSxDAuMUpgrade naar KadastraleKaart Pro
Eigenaar
Eigendomsinformatie 12,95
Adresinformatie bestellen
Adrespakket 34,95
VBO ID
0756010000000736
Woning laatst verkocht in
2008 -
Verkoopprijs opvragen 8,95

Pand

Bouwjaar pand
1989
Aantal adressen in dit gebouw
1 adres
Hoogte pand
UoGZ8NtZfXNT4sEGUpgrade naar KadastraleKaart Pro
Aantal bouwlagen (schatting)
NNFxxbYFRIbLt5Upgrade naar KadastraleKaart Pro
Volume
KAAy7CKiARp6Upgrade naar KadastraleKaart Pro
Oppervlakte dak
vIN9r4anTiAoqW4Upgrade naar KadastraleKaart Pro
Oppervlakte buitenmuur
FtlNEEZJUpgrade naar KadastraleKaart Pro
Status pand
Pand in gebruik
Pand ID
0756100000001733

Perceel Toon alle percelen   Pro

Kadastrale aanduiding
Boxmeer Z 4776 (BMR00 Z 4776)
Oppervlakte
8.475 m²
Maatvoering
Kadastrale kaart met maatvoering 59,95
Omtrek
436 meter
Datum laatst gewijzigd
20/09/2017
Aantal adressen op perceel
1
Hoogte boven N.A.P.
D xEy1njaDmx ro5c9Upgrade naar KadastraleKaart Pro

Veelgestelde vragen

Beugenseweg 1 is een adres gelegen in de gemeente Land van Cuijk, provincie Noord-Brabant. Dit adres is geregistreerd in de Basisregistratie Adressen en Gebouwen (BAG) met als unieke identificatie 0756010000000736.

Het pand op Beugenseweg 1 is gebouwd in 1989, wat betekent dat het 37 jaar oud is. Dit is een pand van middelbare leeftijd. Het pand is van gemiddelde leeftijd en zal waarschijnlijk verouderde elementen bevatten.

De woning op Beugenseweg 1 heeft een gebruiksoppervlakte van 429 m². Dit is ruim vergeleken met de gemiddelde Nederlandse woning, die een oppervlakte heeft van ongeveer 119 m². De gebruiksoppervlakte is de maat die wordt gebruikt in de BAG-registratie, de landelijke registratie van de Nederlandse overheid.

Beugenseweg 1 heeft als functie: wonen. Deze gebruiksfunctie(s) zijn vastgelegd in de BAG-registratie en geven aan waarvoor het adres officieel mag worden gebruikt.

Beugenseweg 1 is gelegen op kadastraal perceel BMR00Z4776. Deze kadastrale aanduiding is uniek en wordt gebruikt door het Kadaster om eigendomsrechten en andere zakelijke rechten vast te leggen. Het perceel maakt onderdeel uit van de kadastrale gemeente Boxmeer.

Het perceel waarop Beugenseweg 1 staat heeft een oppervlakte van 8475 m². Dit is een zeer groot perceel. De perceeloppervlakte wordt geregistreerd door het Kadaster. Gedetailleerde informatie over de maten van dit perceel kunt u vinden in het rapport Kadastrale kaart met maatvoering van Beugenseweg 1.

De eigenaar van Beugenseweg 1 is op te vragen op deze pagina.

De informatie over dit adres is afkomstig uit officiële overheidsregistraties, voornamelijk de Basisregistratie Adressen en Gebouwen (BAG) en de Basisregistratie Kadaster (BRK). Deze gegevens worden beheerd door respectievelijk gemeenten en het Kadaster, en worden regelmatig bijgewerkt. Energielabelgegevens komen uit de database van de Rijksdienst voor Ondernemend Nederland (RVO).

Maatvoeringsrapport

Wie is de eigenaar?

Bekijk de eigenaar van Beugenseweg 1 met de eigendomsinformatie.
Bekijk de eigenaar van dit adres.
Maatvoeringsrapport

Maatvoering van het perceel

Bestel de maatvoering voor Beugenseweg 1 met het maatvoeringsrapport.
Bestel de maatvoering voor dit adres.

360°-foto's van de omgeving

Google Street View
Upgrade nu voor 360° Street View foto's

Zon en schaduw rondom adres

Buurt
Oeffelt buitengebied
Inwoners: 365
Woningen: 133
Wijk
Oeffelt
Inwoners: 2.375
Woningen: 969
Gemeente
Land van Cuijk
Inwoners: 91.722
Woningen: 39.331