
Boddenbroek 3 is gelegen in de plaats Oirlo, de gemeente Venray en de provincie Limburg. De oppervlakte van het verblijfsobject is met 291 m² aan de grote kant. Het perceel heeft een oppervlakte van 1455 m². De oppervlakte van het adres is klein vergeleken met de andere objecten in de straat. De oppervlakte van het kleinste object in de straat bedraagt 143 m², terwijl het grootste object 3,5 ha groot is. Het pand waarin Boddenbroek 3 ligt is gebouwd in het jaar 2014. Panden die gebouwd zijn na het jaar 1984 noemen we hier relatief nieuw. Dit pand is het meest recent exemplaar in de straat. Het oudste object komt er uit 1900 en het gemiddelde bouwjaar is 1957. Voor het verblijfsobject gelden deze gebruiksdoelen: 'woonfunctie'.
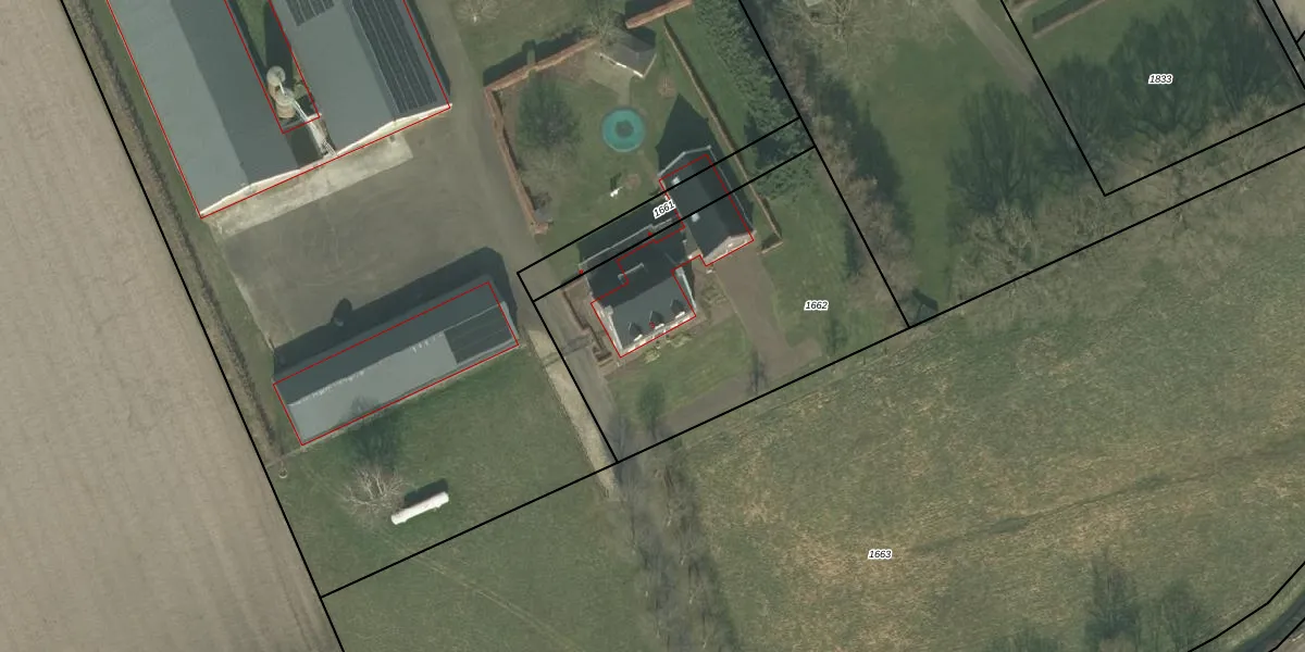
Het adres is gelegen op perceel 1662 in de sectie R en de kadastrale gemeente Venray. De kadastrale aanduiding is aldus VRY00-R-1662. De gemiddelde perceelgrootte in Venray is 6026,98 m². Dit perceel is kleiner: de perceeloppervlakte bedraagt 1455 m². Het kleinste perceel in de kadastrale gemeente is 0 m² groot. De grootste perceeloppervlakte is 1,79 km². Op het perceel bevinden zich geen andere adressen. De laatste wijziging in het de Basisregistratie Kadaster (BRK) was op 14-08-2008.
Er is geen energielabel geregistreerd voor het adres. Het hoogste energielabel in de straat is B; het laagste is G. Het gemiddelde energielabel is er B. Het adres Boddenbroek 3 heeft als status: 'verblijfsobject in gebruik'. Het pand waarin dit adres ligt heeft als status: 'pand in gebruik'.
Boddenbroek 3 is een adres gelegen in de gemeente Venray, provincie Limburg. Dit adres is geregistreerd in de Basisregistratie Adressen en Gebouwen (BAG) met als unieke identificatie 0984010001117612.
Het pand op Boddenbroek 3 is gebouwd in 2014, wat betekent dat het 12 jaar oud is. Dit is een relatief modern pand. Ten opzichte van de nationale woningvoorraad is het pand relatief modern, maar er kunnen enkele verouderde elementen zijn die aandacht nodig hebben.
De woning op Boddenbroek 3 heeft een gebruiksoppervlakte van 291 m². Dit is ruim vergeleken met de gemiddelde Nederlandse woning, die een oppervlakte heeft van ongeveer 119 m². De gebruiksoppervlakte is de maat die wordt gebruikt in de BAG-registratie, de landelijke registratie van de Nederlandse overheid.
Boddenbroek 3 heeft als functie: wonen. Deze gebruiksfunctie(s) zijn vastgelegd in de BAG-registratie en geven aan waarvoor het adres officieel mag worden gebruikt.
Boddenbroek 3 is gelegen op kadastraal perceel VRY00R1662. Deze kadastrale aanduiding is uniek en wordt gebruikt door het Kadaster om eigendomsrechten en andere zakelijke rechten vast te leggen. Het perceel maakt onderdeel uit van de kadastrale gemeente Venray.
Het perceel waarop Boddenbroek 3 staat heeft een oppervlakte van 1455 m². Dit is een zeer groot perceel. De perceeloppervlakte wordt geregistreerd door het Kadaster. Gedetailleerde informatie over de maten van dit perceel kunt u vinden in het rapport Kadastrale kaart met maatvoering van Boddenbroek 3.
De eigenaar van Boddenbroek 3 is op te vragen op deze pagina.
De informatie over dit adres is afkomstig uit officiële overheidsregistraties, voornamelijk de Basisregistratie Adressen en Gebouwen (BAG) en de Basisregistratie Kadaster (BRK). Deze gegevens worden beheerd door respectievelijk gemeenten en het Kadaster, en worden regelmatig bijgewerkt. Energielabelgegevens komen uit de database van de Rijksdienst voor Ondernemend Nederland (RVO).
