Product Functies Prijzen Meer

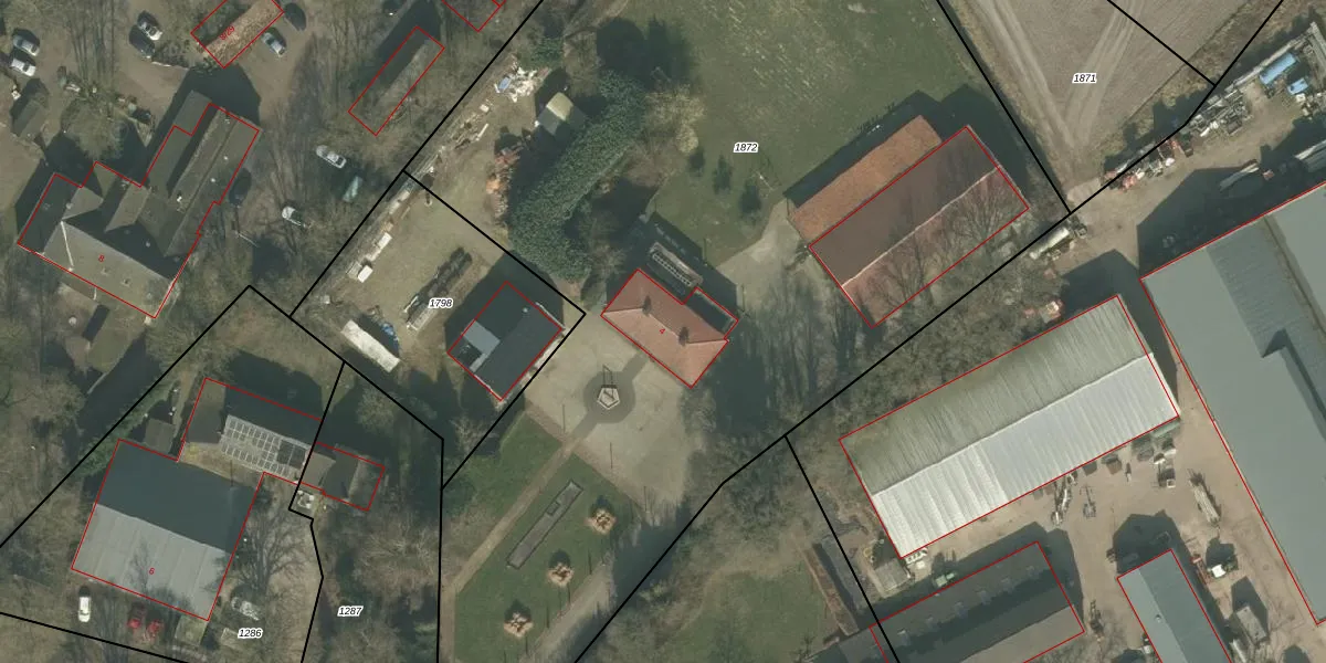
Adressen

Gebruik de zoekbalk of klik op een perceel voor informatie over de adressen binnen dit perceel.
Locatie
Meten
Lagen
Download

Koepas 4

5808AB, Oirlo

1519312 Wat moet ik bieden voor deze woning?
235 m²
woonfunctie
7.225 m² perceeloppervlakte
?

Het adres Koepas 4 bevindt zich in de plaats Oirlo, in de gemeente Oirlo en de provincie Limburg. De oppervlakte van het verblijfsobject is met 235 m² aan de grote kant. Het perceel heeft een oppervlakte van 7225 m². Vergeleken met de andere verblijfsobjecten in de straat is dit object groot. De oppervlakte van het grootste object in de straat is 734 m², die van het kleinste bedraagt 33 m². Het pand waarin Koepas 4 ligt is gebouwd in het jaar 2016. Panden die gebouwd zijn na het jaar 1984 noemen we hier relatief nieuw. Dit object is relatief nieuw in de straat. Het nieuwste gebouw komt er uit het jaar 2019 en het oudste uit het jaar 1930. Voor het verblijfsobject gelden deze gebruiksdoelen: 'woonfunctie'.

Verkoopdata beschikbaar

Deze woning is voor het laatst verkocht op 1 december 2005. Meer informatie over deze transactie? Bestel het Woningtransactierapport om de verkoopprijs en andere informatie te zien.

Perceel

Het adres is gelegen op perceel 1872 in de sectie R en de kadastrale gemeente Venray. De kadastrale aanduiding is aldus VRY00-R-1872. Het perceel is met 7225 m² relatief groot. Het gemiddelde ligt in de kadastrale gemeente Venray op 6034,94 m². Het kleinste perceel in de kadastrale gemeente is 0 m² groot. De grootste perceeloppervlakte is 1,79 km². Op het perceel bevinden zich geen andere adressen. In de Basisregistratie Kadaster (BRK) werden de grenzen van het perceel geregistreerd op 01-07-2019.

Energielabel en status

Er is geen energielabel geregistreerd voor het adres. Het hoogste energielabel in de straat is A; het laagste is G. Het gemiddelde energielabel is er B. Het adres Koepas 4 heeft als status: 'verblijfsobject in gebruik'. Het pand waarin dit adres ligt heeft als status: 'pand in gebruik'.

Meer lezen

Adres

Gebruiksoppervlakte
235 m²
Bruto vloeroppervlakte
Y3ERlxAd27QPTkKvsoHUpgrade naar KadastraleKaart Pro
Gebruiksdoel(en)
Woonfunctie
Status
Verblijfsobject in gebruik
Type
Onbekend
Gasloos
LdvPR SKQsUpgrade naar KadastraleKaart Pro
Gebeurtenissen
Appartementsrechten
gMNe4OBv Upgrade naar KadastraleKaart Pro
Eigenaar
Eigendomsinformatie 12,95
Adresinformatie bestellen
Adrespakket 34,95
VBO ID
0984010001117973
Woning laatst verkocht in
2005 -
Verkoopprijs opvragen 8,95

Pand

Bouwjaar pand
2016
Aantal adressen in dit gebouw
1 adres
Hoogte pand
Ky5hXr JEj 4Bn cmf1nUpgrade naar KadastraleKaart Pro
Aantal bouwlagen (schatting)
wb6Lt2J8Upgrade naar KadastraleKaart Pro
Volume
icO9QldBsbAqzEZ U5X2xhUpgrade naar KadastraleKaart Pro
Oppervlakte dak
jG w ppxUpgrade naar KadastraleKaart Pro
Oppervlakte buitenmuur
Z WaYCbJkAHgf1vGOUpgrade naar KadastraleKaart Pro
Status pand
Pand in gebruik
Pand ID
0984100001146501

Perceel

Kadastrale aanduiding
Venray R 1872 (VRY00 R 1872)
Oppervlakte
7.225 m²
Maatvoering
Kadastrale kaart met maatvoering 59,95
Omtrek
408 meter
Datum laatst gewijzigd
01/07/2019
Aantal adressen op perceel
1
Hoogte boven N.A.P.
vD1 2HiYUpgrade naar KadastraleKaart Pro

Veelgestelde vragen

Koepas 4 is een adres gelegen in de gemeente Venray, provincie Limburg. Dit adres is geregistreerd in de Basisregistratie Adressen en Gebouwen (BAG) met als unieke identificatie 0984010001117973.

Het pand op Koepas 4 is gebouwd in 2016, wat betekent dat het 10 jaar oud is. Dit is een relatief modern pand. Ten opzichte van de nationale woningvoorraad is het pand relatief modern, maar er kunnen enkele verouderde elementen zijn die aandacht nodig hebben.

De woning op Koepas 4 heeft een gebruiksoppervlakte van 235 m². Dit is ruim vergeleken met de gemiddelde Nederlandse woning, die een oppervlakte heeft van ongeveer 119 m². De gebruiksoppervlakte is de maat die wordt gebruikt in de BAG-registratie, de landelijke registratie van de Nederlandse overheid.

Koepas 4 heeft als functie: wonen. Deze gebruiksfunctie(s) zijn vastgelegd in de BAG-registratie en geven aan waarvoor het adres officieel mag worden gebruikt.

Koepas 4 is gelegen op kadastraal perceel VRY00R1872. Deze kadastrale aanduiding is uniek en wordt gebruikt door het Kadaster om eigendomsrechten en andere zakelijke rechten vast te leggen. Het perceel maakt onderdeel uit van de kadastrale gemeente Venray.

Het perceel waarop Koepas 4 staat heeft een oppervlakte van 7225 m². Dit is een zeer groot perceel. De perceeloppervlakte wordt geregistreerd door het Kadaster. Gedetailleerde informatie over de maten van dit perceel kunt u vinden in het rapport Kadastrale kaart met maatvoering van Koepas 4.

De eigenaar van Koepas 4 is op te vragen op deze pagina

De informatie over dit adres is afkomstig uit officiële overheidsregistraties, voornamelijk de Basisregistratie Adressen en Gebouwen (BAG) en de Basisregistratie Kadaster (BRK). Deze gegevens worden beheerd door respectievelijk gemeenten en het Kadaster, en worden regelmatig bijgewerkt. Energielabelgegevens komen uit de database van de Rijksdienst voor Ondernemend Nederland (RVO).

Maatvoeringsrapport

Biedadvies

Loop uw droomhuis niet mis met ons biedadvies.
Loop uw droomhuis niet mis met ons biedadvies.
Maatvoeringsrapport

Bestel het adrespakket

Kom alles te weten over Koepas 4 met het adrespakket.
Kom alles te weten over Koepas 4 met het adrespakket.

360°-foto's van de omgeving

Google Street View
Upgrade nu voor 360° Street View foto's

Zon en schaduw rondom adres

Buurt
Oirlo
Inwoners: 1.230
Woningen: 506
Wijk
Oirlo
Inwoners: 1.230
Woningen: 506
Gemeente
Venray
Inwoners: 44.662
Woningen: 19.509