
Bestseweg 63 is een adres in Oirschot, dat zich bevindt binnen de gemeentegrenzen van Oirschot en de grenzen van de provincie Noord-Brabant. De oppervlakte bedraagt 215 m², waarmee het adres groter dan gemiddeld is. De grootte van het perceel waarop het adres ligt is 1,9 ha. Het adres is klein vergeleken met andere objecten in de straat. Het grootste object in de straat heeft een oppervlakte van 8521 m², het kleinste is 54 m² groot. Bestseweg 63 ligt in een gebouw uit het jaar 2006. Daarmee behoort het tot de groep panden van na 1984, die we als relatief nieuw bestempelen. Veel andere gebouwen in de straat zijn ouder dan dit pand. Het oudste pand komt uit het jaar 1880 en het nieuwste uit 2022. De volgende gebruiksdoelen zijn geregistreerd voor dit adres: 'woonfunctie'.
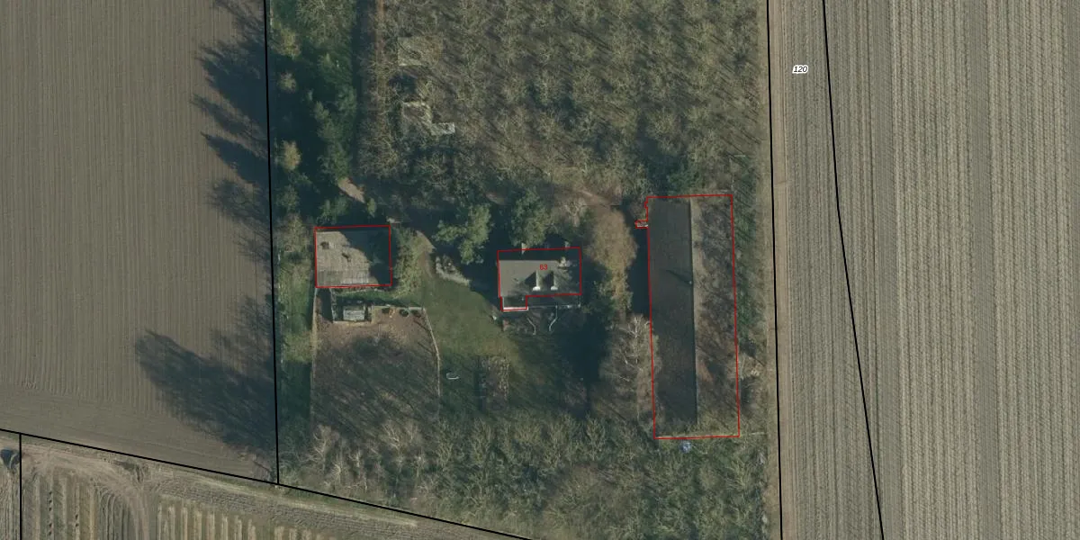
Het adres ligt op het perceel OST00-N-119, dat zich in de kadastrale gemeente Oirschot bevindt. De oppervlakte van het perceel is 1,9 ha. Dat is groter dan gemiddeld in Oirschot, waar de gemiddelde perceeloppervlakte op 6549,16 m² ligt. Het grootste perceel in de kadastrale gemeente is 3,51 km². Het kleinste perceel heeft een oppervlakte van 0 m². Er zijn geen andere adressen aanwezig op het perceel. De huidige grenzen van het perceel zijn digitaal in de Basisregistratie Kadaster (BRK) geregistreerd op 10-03-2009.
Er is geen energielabel geregistreerd voor het adres. Het hoogste energielabel in de straat is A+; het laagste is G. Het gemiddelde energielabel is er C. Het adres Bestseweg 63 heeft als status: 'verblijfsobject in gebruik'. Het pand waarin dit adres ligt heeft als status: 'pand in gebruik'.
Bestseweg 63 is een adres gelegen in de gemeente Oirschot, provincie Noord-Brabant. Dit adres is geregistreerd in de Basisregistratie Adressen en Gebouwen (BAG) met als unieke identificatie 0823010000008848.
Het pand op Bestseweg 63 is gebouwd in 2006, wat betekent dat het 20 jaar oud is. Dit is een relatief modern pand. Ten opzichte van de nationale woningvoorraad is het pand relatief modern, maar er kunnen enkele verouderde elementen zijn die aandacht nodig hebben.
De woning op Bestseweg 63 heeft een gebruiksoppervlakte van 215 m². Dit is ruim vergeleken met de gemiddelde Nederlandse woning, die een oppervlakte heeft van ongeveer 119 m². De gebruiksoppervlakte is de maat die wordt gebruikt in de BAG-registratie, de landelijke registratie van de Nederlandse overheid.
Bestseweg 63 heeft als functie: wonen. Deze gebruiksfunctie(s) zijn vastgelegd in de BAG-registratie en geven aan waarvoor het adres officieel mag worden gebruikt.
Bestseweg 63 is gelegen op kadastraal perceel OST00N119. Deze kadastrale aanduiding is uniek en wordt gebruikt door het Kadaster om eigendomsrechten en andere zakelijke rechten vast te leggen. Het perceel maakt onderdeel uit van de kadastrale gemeente Oirschot.
Het perceel waarop Bestseweg 63 staat heeft een oppervlakte van 1,9 ha. Dit is een zeer groot perceel. De perceeloppervlakte wordt geregistreerd door het Kadaster. Gedetailleerde informatie over de maten van dit perceel kunt u vinden in het rapport Kadastrale kaart met maatvoering van Bestseweg 63.
De eigenaar van Bestseweg 63 is op te vragen op deze pagina.
De informatie over dit adres is afkomstig uit officiële overheidsregistraties, voornamelijk de Basisregistratie Adressen en Gebouwen (BAG) en de Basisregistratie Kadaster (BRK). Deze gegevens worden beheerd door respectievelijk gemeenten en het Kadaster, en worden regelmatig bijgewerkt. Energielabelgegevens komen uit de database van de Rijksdienst voor Ondernemend Nederland (RVO).
