
Lazarusbocht 6 is gelegen in de plaats Oirschot, de gemeente Oirschot en de provincie Noord-Brabant. De oppervlakte van het verblijfsobject is met 342 m² aan de grote kant. Het perceel heeft een oppervlakte van 798 m². De oppervlakte van dit adres is groot vergeleken met de oppervlaktes van andere adressen in de straat. De kleinste oppervlakte bedraagt er 130 m², de grootste 582 m². Lazarusbocht 6 ligt in een gebouw uit het jaar 1992. Daarmee behoort het tot de groep panden van na 1984, die we als relatief nieuw bestempelen. Dit object is relatief nieuw in de straat. Het nieuwste gebouw komt er uit het jaar 1996 en het oudste uit het jaar 1936. Voor het verblijfsobject gelden deze gebruiksdoelen: 'woonfunctie', 'industriefunctie' en 'kantoorfunctie'.
Deze woning is voor het laatst verkocht op 1 augustus 1999. Meer informatie over deze transactie? Bestel het Woningtransactierapport om de verkoopprijs en andere informatie te zien.
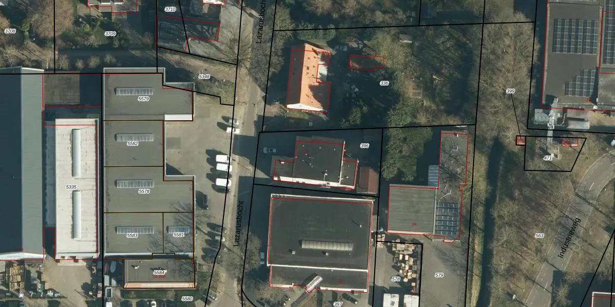
Het adres ligt op het perceel OST00-N-396, dat zich in de kadastrale gemeente Oirschot bevindt. De gemiddelde perceelgrootte in Oirschot is 6549,87 m². Dit perceel is kleiner: de perceeloppervlakte bedraagt 798 m². Het grootste perceel in de kadastrale gemeente is 3,51 km². Het kleinste perceel heeft een oppervlakte van 0 m². Op het perceel bevinden zich geen andere adressen. De laatste wijziging in het de Basisregistratie Kadaster (BRK) was op 07-12-2005.
Er is geen energielabel geregistreerd voor het adres. Het hoogste energielabel in de straat is A++; het laagste is G. Het gemiddelde energielabel is er C. Het adres Lazarusbocht 6 heeft als status: 'verblijfsobject in gebruik'. Het pand waarin dit adres ligt heeft als status: 'pand in gebruik'.
Lazarusbocht 6 is een adres gelegen in de gemeente Oirschot, provincie Noord-Brabant. Dit adres is geregistreerd in de Basisregistratie Adressen en Gebouwen (BAG) met als unieke identificatie 0823010000006425.
Het pand op Lazarusbocht 6 is gebouwd in 1992, wat betekent dat het 34 jaar oud is. Dit is een pand van middelbare leeftijd. Het pand is van gemiddelde leeftijd en zal waarschijnlijk verouderde elementen bevatten.
De woning op Lazarusbocht 6 heeft een gebruiksoppervlakte van 342 m². Dit is ruim vergeleken met de gemiddelde Nederlandse woning, die een oppervlakte heeft van ongeveer 119 m². De gebruiksoppervlakte is de maat die wordt gebruikt in de BAG-registratie, de landelijke registratie van de Nederlandse overheid.
Lazarusbocht 6 heeft als functie: wonen, industrie en kantoor. Deze gebruiksfunctie(s) zijn vastgelegd in de BAG-registratie en geven aan waarvoor het adres officieel mag worden gebruikt.
Lazarusbocht 6 is gelegen op kadastraal perceel OST00N396. Deze kadastrale aanduiding is uniek en wordt gebruikt door het Kadaster om eigendomsrechten en andere zakelijke rechten vast te leggen. Het perceel maakt onderdeel uit van de kadastrale gemeente Oirschot.
Het perceel waarop Lazarusbocht 6 staat heeft een oppervlakte van 798 m². Dit is een groot perceel. De perceeloppervlakte wordt geregistreerd door het Kadaster. Gedetailleerde informatie over de maten van dit perceel kunt u vinden in het rapport Kadastrale kaart met maatvoering van Lazarusbocht 6.
De eigenaar van Lazarusbocht 6 is op te vragen op deze pagina.
De informatie over dit adres is afkomstig uit officiële overheidsregistraties, voornamelijk de Basisregistratie Adressen en Gebouwen (BAG) en de Basisregistratie Kadaster (BRK). Deze gegevens worden beheerd door respectievelijk gemeenten en het Kadaster, en worden regelmatig bijgewerkt. Energielabelgegevens komen uit de database van de Rijksdienst voor Ondernemend Nederland (RVO).
